Benvenuto Ospite

Forum Entomologi Italiani

www.entomologiitaliani.net/forum
 
Oggi è 05/11/2025, 0:50

Tutti gli orari sono UTC + 1 ora [ ora legale ]

Ebaeus flavicornis Erichson, 1840 (cf.) - Malachiidae?

7.VI.2015 - TURCHIA - EE, Esenyurt


nuovo argomento
rispondi
Pagina 1 di 1 [ 3 messaggi ]
Autore Messaggio
MessaggioInviato: 15/06/2015, 19:33 
Avatar utente

Iscritto il: 21/09/2014, 11:55
Messaggi: 1561
Località: Istanbul Turkey
Nome: Barış
?
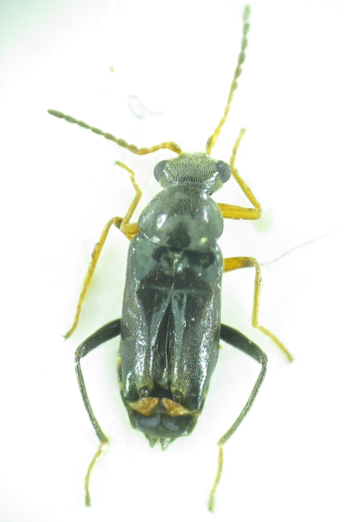
Size:4 mm
A very little Malachiidae.


Malachiidae sp 4mm 07-06-2015 Ev-2.jpg

Top
profilo
 Oggetto del messaggio: Re: Malachiidae?
MessaggioInviato: 15/06/2015, 22:30 
 

Iscritto il: 25/01/2012, 21:39
Messaggi: 496
Località: athens, greece
Nome: Kakiopoulos George
:ok: Yes, Malachiidae.
It's a male of the genus Ebaeus,
probably E. flavicornis Er., 1840

Ciao grom Athens, :hi: :hi:
George


Top
profilo
 Oggetto del messaggio: Re: Malachiidae?
MessaggioInviato: 16/06/2015, 10:28 
Avatar utente

Iscritto il: 21/09/2014, 11:55
Messaggi: 1561
Località: Istanbul Turkey
Nome: Barış
Thank you very much.
:hi:


Top
profilo
Visualizza ultimi messaggi:  Ordina per  
nuovo argomento
rispondi
Pagina 1 di 1 [ 3 messaggi ]

Tutti gli orari sono UTC + 1 ora [ ora legale ]


Chi c’è in linea

Visitano il forum: Nessuno e 2 ospiti


Non puoi aprire nuovi argomenti
Non puoi rispondere negli argomenti
Non puoi modificare i tuoi messaggi
Non puoi cancellare i tuoi messaggi
Non puoi inviare allegati

Cerca per:
Vai a: