Benvenuto Ospite

Forum Entomologi Italiani

www.entomologiitaliani.net/forum
 
Oggi è 05/11/2025, 12:25

Tutti gli orari sono UTC + 1 ora [ ora legale ]

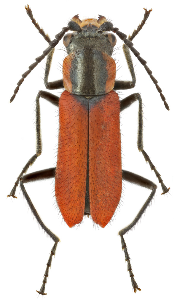
Malachius coccineus Waltl, 1838 - Malachiidae - Turkey

17.IV.2015 - TURCHIA - EE, Antalia prov., Kemer reg., Goynuk env.


nuovo argomento
rispondi
Pagina 1 di 1 [ 4 messaggi ]
Autore Messaggio
MessaggioInviato: 10/05/2020, 21:20 
 

Iscritto il: 01/05/2020, 0:49
Messaggi: 53
Nome: Maxim Smirnov
It`s very similar to Malachius coccineus gabitually. But this frontal outgrowth - it`s normal for this species? Or it`s something another? :roll:


Malachius_head.jpg

Malachius_top.jpg

Top
profilo
 Oggetto del messaggio: Re: Malachius - Turkey
MessaggioInviato: 11/05/2020, 9:54 
 

Iscritto il: 10/08/2010, 14:39
Messaggi: 3218
Località: Milano
Nome: Carlo Monari
For your posts, please use the section 'Nuove richieste di determinazione e di conferma', there it is more likely that it will be noticed. The post will be moved to the proper systematic section only later, by a moderator. I will wait a little, then I will move this post to 'Nuove richieste'.

_________________
Ciao

Carlo


Top
profilo
 Oggetto del messaggio: Re: Malachius - Turkey
MessaggioInviato: 11/05/2020, 14:52 
Avatar utente

Iscritto il: 14/03/2009, 12:59
Messaggi: 3237
Località: Milano
Nome: Gabriele Franzini
Hello,
indeed this is a male of Malachius coccineus Waltl, 1838.
Cita:
But this frontal outgrowth - it`s normal for this species?

Yes, but only for males. In most Malachiidae, males have special structures used during courtship, called excitators: in genus Malachius they are located on forehead.

:hi: :hi: G.


Top
profilo
MessaggioInviato: 11/05/2020, 17:43 
 

Iscritto il: 01/05/2020, 0:49
Messaggi: 53
Nome: Maxim Smirnov
Thank You! :hi:


Top
profilo
Visualizza ultimi messaggi:  Ordina per  
nuovo argomento
rispondi
Pagina 1 di 1 [ 4 messaggi ]

Tutti gli orari sono UTC + 1 ora [ ora legale ]


Chi c’è in linea

Visitano il forum: Nessuno e 1 ospite


Non puoi aprire nuovi argomenti
Non puoi rispondere negli argomenti
Non puoi modificare i tuoi messaggi
Non puoi cancellare i tuoi messaggi
Non puoi inviare allegati

Cerca per:
Vai a: