Benvenuto Ospite

Forum Entomologi Italiani

www.entomologiitaliani.net/forum
 
Oggi è 09/11/2025, 19:11

Tutti gli orari sono UTC + 1 ora [ ora legale ]

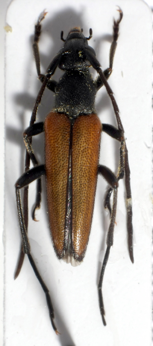
Stenurella melanura (Linnaeus, 1758) Dettagli della specie

13.VI.2010 - ITALIA - Emilia-Romagna - RE, Borzano


nuovo argomento
rispondi
Pagina 1 di 1 [ 13 messaggi ]
Autore Messaggio
MessaggioInviato: 13/03/2011, 23:25 
Avatar utente

Iscritto il: 09/06/2009, 13:19
Messaggi: 1229
Località: Modena
Nome: Omar Pacchioni
lunghezza 9 mm circa
grazie ciao


cerRE.jpg


_________________
..OOOO.......OOO.....OO......OOO......OOOO
OO.....OO....OO..O.O..O....OO....O....OO....O
OO.....OO....OO....O...O....OOOOO....OOOO
..OOOO.......OO.........O....OO....O....OO....O
Top
profilo
 Oggetto del messaggio: Re: cerambicidae
MessaggioInviato: 13/03/2011, 23:30 
Avatar utente

Iscritto il: 09/11/2010, 19:52
Messaggi: 4518
Località: Brescia
Nome: Luca Bodei
Corymbia sanguinolenta :roll: :hi: :birra:

_________________
Tc70


Top
profilo
 Oggetto del messaggio: Re: cerambicidae
MessaggioInviato: 13/03/2011, 23:35 
Avatar utente

Iscritto il: 21/05/2009, 14:59
Messaggi: 6994
Località: Parigi
Nome: Riccardo Poloni
Stenurella, bisogna però guardarla al binoculare, perchè potrebbe essere anche interessante :birra: :birra: .

_________________
Riccardo Poloni
La dignità degli elementi
la libertà della poesia,
al di là dei tradimenti degli uomini
è magia, è magia, è magia...
Negrita, Rotolando verso sud


Top
profilo
 Oggetto del messaggio: Re: cerambicidae
MessaggioInviato: 13/03/2011, 23:42 
Avatar utente

Iscritto il: 09/11/2010, 19:52
Messaggi: 4518
Località: Brescia
Nome: Luca Bodei
:ok: Potrebbe essere Stenurella melanura (maschietto) :? :hi: :birra:

_________________
Tc70


Top
profilo
 Oggetto del messaggio: Re: cerambicidae
MessaggioInviato: 13/03/2011, 23:47 
Avatar utente

Iscritto il: 21/05/2009, 14:59
Messaggi: 6994
Località: Parigi
Nome: Riccardo Poloni
O bifasciata? Io non riesco a capire da questa foto se il pronoto è densamente punteggiato o debolmente. Forse più debolmente e con i punti distanziati :D :)

_________________
Riccardo Poloni
La dignità degli elementi
la libertà della poesia,
al di là dei tradimenti degli uomini
è magia, è magia, è magia...
Negrita, Rotolando verso sud


Top
profilo
 Oggetto del messaggio: Re: cerambicidae
MessaggioInviato: 13/03/2011, 23:52 
Avatar utente

Iscritto il: 09/11/2010, 19:52
Messaggi: 4518
Località: Brescia
Nome: Luca Bodei
Plagionotus ha scritto:
O bifasciata? Io non riesco a capire da questa foto se il pronoto è densamente punteggiato o debolmente. Forse più debolmente e con i punti distanziati :D :)



Per distinguerle non sarebbe sufficiente vedere l'addome :roll: Se è rossiccio dovrebbe essere la S.bifasciata o sbaglio :? :hi: :birra:

_________________
Tc70


Top
profilo
 Oggetto del messaggio: Re: cerambicidae
MessaggioInviato: 13/03/2011, 23:54 
Avatar utente

Iscritto il: 21/05/2009, 14:59
Messaggi: 6994
Località: Parigi
Nome: Riccardo Poloni
Anche, ma siccome è incollata almeno io preferisco il carattere del pronoto :D :)

_________________
Riccardo Poloni
La dignità degli elementi
la libertà della poesia,
al di là dei tradimenti degli uomini
è magia, è magia, è magia...
Negrita, Rotolando verso sud


Top
profilo
 Oggetto del messaggio: Re: cerambicidae
MessaggioInviato: 14/03/2011, 18:49 
Avatar utente

Iscritto il: 05/09/2009, 7:56
Messaggi: 3445
Località: Cesena
Nome: Gianfranco Sama
Stenurella melanura (Linnaeus, 1758) :ok:

_________________
Gianfranco Sama

"Benedetto colui che ti aiuta a correggere i tuoi errori invece di scagliarteli contro"
___________________________________
Gershom Sholem


Top
profilo
MessaggioInviato: 14/03/2011, 19:30 
Avatar utente

Iscritto il: 21/05/2009, 14:59
Messaggi: 6994
Località: Parigi
Nome: Riccardo Poloni
Come hai fatto a capirlo Gianfranco? Per essere una sennii è troppo chiara? Occhio da Isotomus? :mrgreen: :mrgreen: :lol1: :lol1:

_________________
Riccardo Poloni
La dignità degli elementi
la libertà della poesia,
al di là dei tradimenti degli uomini
è magia, è magia, è magia...
Negrita, Rotolando verso sud


Top
profilo
MessaggioInviato: 21/03/2011, 21:05 
Avatar utente

Iscritto il: 05/08/2009, 18:02
Messaggi: 2264
Nome: Marcello Benelli
Se ho ben inteso i caratteri distintivi della sennii, il punto è la pubescenza elitrale, in questo caso scura, che dovrebbe essere più bionda nella nostra...!

_________________
Marci
"S'i fosse fuoco, arderei 'l mondo,
S'i fosse vento, lo tempesterei,
S'i fosse acqua, i' l'annegherei
s'i fosse dio, mandereil' en profondo" ( Cecco Angiolieri).


Top
profilo
MessaggioInviato: 21/03/2011, 21:57 
 

Iscritto il: 13/09/2009, 18:04
Messaggi: 881
Nome: Pierpaolo Rapuzzi
Si tratta di melanura perché la pubescenza è evidentemente nera. In sennii è evidentemente dorata.
Pierpaolo


Top
profilo
MessaggioInviato: 28/03/2011, 13:48 
Avatar utente

Iscritto il: 05/08/2009, 18:02
Messaggi: 2264
Nome: Marcello Benelli
Siamo già in grado di ipotizzare un areale di distribuzione di questa specie?

_________________
Marci
"S'i fosse fuoco, arderei 'l mondo,
S'i fosse vento, lo tempesterei,
S'i fosse acqua, i' l'annegherei
s'i fosse dio, mandereil' en profondo" ( Cecco Angiolieri).


Top
profilo
MessaggioInviato: 28/03/2011, 17:15 
 

Iscritto il: 13/09/2009, 18:04
Messaggi: 881
Nome: Pierpaolo Rapuzzi
La distribuzione attuale di Stenurella sennii non è chiara. Al momento è conosciuta di Francia, Svizzera, Spagna, Italia (provincia di Chieti) e Grecia. Inoltre ho in pubblicazione alcuni dati per la repubblica Ceca e la Croazia.
La specie molto probabilmente è diffusa in tutta l'Europa centro-meridionale e la mancanza di dati è da impuatre alla relativa difficoltà nella sua individuazione.
Mi aspetto che compaia un po' dappertutto nei Balcani dove sarà interessante vedere come si comporta e dove si ferma in prossimità dell'areale di Stenurella samai.
Ciao
Pierpaolo


Top
profilo
Visualizza ultimi messaggi:  Ordina per  
nuovo argomento
rispondi
Pagina 1 di 1 [ 13 messaggi ]

Tutti gli orari sono UTC + 1 ora [ ora legale ]


Chi c’è in linea

Visitano il forum: Nessuno e 1 ospite


Non puoi aprire nuovi argomenti
Non puoi rispondere negli argomenti
Non puoi modificare i tuoi messaggi
Non puoi cancellare i tuoi messaggi
Non puoi inviare allegati

Cerca per:
Vai a: