Benvenuto Ospite

Forum Entomologi Italiani

www.entomologiitaliani.net/forum
 
Oggi è 09/11/2025, 2:12

Tutti gli orari sono UTC + 1 ora [ ora legale ]

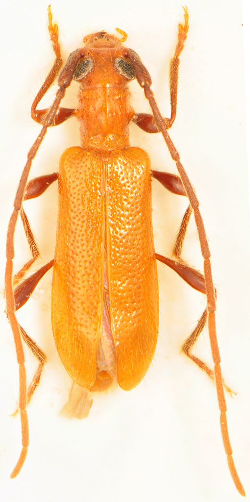
Obrium cantharinum (Linnaeus, 1767) Dettagli della specie

12.V.1995 - ITALIA - Puglia - LE, Laghi Alimini


nuovo argomento
rispondi
Pagina 1 di 1 [ 13 messaggi ]
Autore Messaggio
MessaggioInviato: 15/03/2011, 13:51 
Avatar utente

Iscritto il: 25/11/2009, 9:31
Messaggi: 8157
Località: Lecce
Nome: Maurizio Bollino
Dati: Puglia - Laghi Alimini (LE) - 12.V.1995 - ex Populus - Legit & coll. Bollino
Dimensoni: 5,5 mm

Cerambycidae-sp-ex-Populus.jpg



Ritrovato in una scatola in cui tenevo materiale allevato da un grosso ceppo di Populus, e da cui avevo ottenuto solo un centinaio di Aegomorphus clavipes e qualche Agrilus.
Non ho la più pallida idea di cosa possa essere, quindi ..... help me, thanks!!!

_________________
Maurizio Bollino


Top
profilo
 Oggetto del messaggio: Re: Cerambycidae sp. - Puglia
MessaggioInviato: 15/03/2011, 13:54 
Avatar utente

Iscritto il: 22/12/2009, 13:31
Messaggi: 9646
Località: Napoli
Nome: Francesco Izzillo
Obrium?

_________________
Francesco Izzillo


Top
profilo
 Oggetto del messaggio: Re: Cerambycidae sp. - Puglia
MessaggioInviato: 15/03/2011, 13:56 
Avatar utente

Iscritto il: 16/02/2009, 23:39
Messaggi: 1368
Località: Mirano (Venezia)
Nome: Enrico Ruzzier
Obrium cantharinum (Linnaeus, 1767)

:hi:

_________________
«Discendiamo da scimmie evolute, non da angeli caduti» Robert Ardrey


Top
profilo
 Oggetto del messaggio: Re: Cerambycidae sp. - Puglia
MessaggioInviato: 15/03/2011, 13:59 
Avatar utente

Iscritto il: 26/03/2010, 14:55
Messaggi: 5977
Località: Romania
Nome: Cosmin-Ovidiu Manci
Obrium cantharinum (Linnaeus, 1767), maschio... ma una conferma da parte di Gianfranco sarà buona.

_________________
Cosmin-Ovidiu Manci
**********************
cosmln's place - my blog
just insects
Dragonflies of Romania


Top
profilo
MessaggioInviato: 15/03/2011, 14:30 
Avatar utente

Iscritto il: 25/11/2009, 9:31
Messaggi: 8157
Località: Lecce
Nome: Maurizio Bollino
Se è lui, secondo CKMap sarebbe nuovo per la Puglia, e seconda segnalazione per l'Italia meridionale!!!

_________________
Maurizio Bollino


Top
profilo
MessaggioInviato: 15/03/2011, 16:06 
 

Iscritto il: 13/09/2009, 18:04
Messaggi: 881
Nome: Pierpaolo Rapuzzi
Bravo Maurizio!
si tratta proprio di Obrium cantharinum cantharinum (Linnaeus, 1767).E' la prima segnalazione per la Puglia. Prima era conosciuto per il meridione di Basilicata (Angelini & Montemurro, 1986; Gobbi, 2002). Bella cattura.
Pierpaolo


Top
profilo
MessaggioInviato: 15/03/2011, 16:30 
Avatar utente

Iscritto il: 21/05/2009, 14:59
Messaggi: 6994
Località: Parigi
Nome: Riccardo Poloni
:hp: :hp: Hai capito il LUCANO!!!! A proposito Maurizio, ma dato che ne hai ottenuti SOLO una centinaia e sono bestie comuni, senza contare che a te non inteneressano, me ne potresti portare un paio? Io del centro-ud Italia ne ho solo della prvincia di Pesaro :lov1: :lov1: :lov2: :lov2:

_________________
Riccardo Poloni
La dignità degli elementi
la libertà della poesia,
al di là dei tradimenti degli uomini
è magia, è magia, è magia...
Negrita, Rotolando verso sud


Top
profilo
MessaggioInviato: 15/03/2011, 16:30 
Avatar utente

Iscritto il: 25/11/2009, 9:31
Messaggi: 8157
Località: Lecce
Nome: Maurizio Bollino
Xylosteus ha scritto:
si tratta proprio di Obrium cantharinum cantharinum (Linnaeus, 1767).E' la prima segnalazione per la Puglia.


Grazie per la conferma, Pierpaolo. Adesso mi dovrò organizzare anche i prelievi di pioppo degli Alimini, oltre che per la cattura di altre Pedostrangalia (Neosphenalia) verticalis.

Giacchè ci sono, qualche idea sul diametro preferenziale dei rami attaccatti da Obrium? Questo è venuto fuori da un grosso ramo di pioppo caduto al suolo (diametro circa 30 cm). Ricordo che all'epoca, per fare il prelievo, affittai una motosega a scoppio al Bricocenter :lol1: :lol1: :lol1: .... e sudai sette camicie per tirar su dal fossato due ciocchi, lunghi ciascuno circa 90 cm. Alla fine attaccai una grossa corda e li issai sulla strada tirando con l'auto in retromarcia.

_________________
Maurizio Bollino


Top
profilo
MessaggioInviato: 15/03/2011, 16:33 
Avatar utente

Iscritto il: 25/11/2009, 9:31
Messaggi: 8157
Località: Lecce
Nome: Maurizio Bollino
Plagionotus ha scritto:
:hp: :hp: Hai capito il LUCANO!!!! A proposito Maurizio, ma dato che ne hai ottenuti SOLO una centinaia e sono bestie comuni, senza contare che a te non inteneressano, me ne potresti portare un paio? Io del centro-ud Italia ne ho solo della prvincia di Pesaro :lov1: :lov1: :lov2: :lov2:


Riccardo, un centinaio di Aegomorphus, non di Obrium, sia chiaro! Per gli Aegomorphus nessun problema, te li metto da parte.

_________________
Maurizio Bollino


Top
profilo
MessaggioInviato: 15/03/2011, 16:39 
Avatar utente

Iscritto il: 21/05/2009, 14:59
Messaggi: 6994
Località: Parigi
Nome: Riccardo Poloni
Certo, gli Aegomorphus. Grazie mille :lov1: :lov1: :lov2: :lov2:

_________________
Riccardo Poloni
La dignità degli elementi
la libertà della poesia,
al di là dei tradimenti degli uomini
è magia, è magia, è magia...
Negrita, Rotolando verso sud


Top
profilo
MessaggioInviato: 15/03/2011, 17:17 
Avatar utente

Iscritto il: 05/09/2009, 7:56
Messaggi: 3445
Località: Cesena
Nome: Gianfranco Sama
Maurizio, mi certifichi la località ? Sta sicure cientopeciento ? :mrgreen:

Tutti a benedire (giustamente) l'Obrium, ma anche l'Aegomorphus clavipes non è male: seconda località per la Puglia (!).
A proposito, mettimene da parte un paio. Grazie in anticipo :ok:

_________________
Gianfranco Sama

"Benedetto colui che ti aiuta a correggere i tuoi errori invece di scagliarteli contro"
___________________________________
Gershom Sholem


Top
profilo
MessaggioInviato: 15/03/2011, 18:29 
Avatar utente

Iscritto il: 25/11/2009, 9:31
Messaggi: 8157
Località: Lecce
Nome: Maurizio Bollino
Isotomus ha scritto:
Maurizio, mi certifichi la località ? Sta sicure cientopeciento ? :mrgreen:

Tutti a benedire (giustamente) l'Obrium, ma anche l'Aegomorphus clavipes non è male: seconda località per la Puglia (!).
A proposito, mettimene da parte un paio. Grazie in anticipo :ok:


Certificata cientopeciento, Gianfranco!!!! Ricordo ESATTAMENTE il momento che lo trovai zampettante nel sacco insieme agli Aegomorphus. Si sa, da anziani la memoria remota è più viva della recente ... a proposito .... cosa ho mangiato oggi???? :lol1: :lol1: :lol1: :lol1: :lol1:

_________________
Maurizio Bollino


Top
profilo
MessaggioInviato: 15/03/2011, 18:49 
Avatar utente

Iscritto il: 05/09/2009, 7:56
Messaggi: 3445
Località: Cesena
Nome: Gianfranco Sama
:ok:

_________________
Gianfranco Sama

"Benedetto colui che ti aiuta a correggere i tuoi errori invece di scagliarteli contro"
___________________________________
Gershom Sholem


Top
profilo
Visualizza ultimi messaggi:  Ordina per  
nuovo argomento
rispondi
Pagina 1 di 1 [ 13 messaggi ]

Tutti gli orari sono UTC + 1 ora [ ora legale ]


Chi c’è in linea

Visitano il forum: Nessuno e 1 ospite


Non puoi aprire nuovi argomenti
Non puoi rispondere negli argomenti
Non puoi modificare i tuoi messaggi
Non puoi cancellare i tuoi messaggi
Non puoi inviare allegati

Cerca per:
Vai a: