Benvenuto Ospite

Forum Entomologi Italiani

www.entomologiitaliani.net/forum
 
Oggi è 09/11/2025, 22:07

Tutti gli orari sono UTC + 1 ora [ ora legale ]

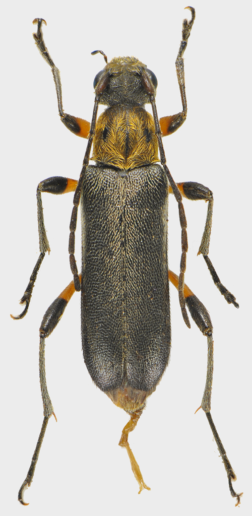
Grammoptera auricollis Mulsant & Rey, 1863 - Cerambycidae (da confermare)

4.V.2011 - GRECIA - EE, Kalogria (Achaia)


nuovo argomento
rispondi
Pagina 1 di 1 [ 6 messaggi ]
Autore Messaggio
MessaggioInviato: 17/05/2011, 23:41 
Avatar utente

Iscritto il: 25/11/2009, 9:31
Messaggi: 8157
Località: Lecce
Nome: Maurizio Bollino
Pochi esemplari ottenuti ombrellando Quercus macrolepis fiorite.

Dimensioni: 7 mm

Grammoptera.jpg



Del Peloponneso è riportata Grammoptera auricollis bipustulata Steiner, 1975, che, però, avrebbe il pronoto solo bordato di peluria dorata e la fronte più glabra. Variabilità individuale? (ammesso che l'esemplare sia identificato correttamente).

_________________
Maurizio Bollino


Top
profilo
MessaggioInviato: 18/05/2011, 13:59 
Avatar utente

Iscritto il: 21/05/2009, 14:59
Messaggi: 6994
Località: Parigi
Nome: Riccardo Poloni
Adesso sono azzoppato e non posso consultare testi, ma la specie direi di poterla confermare. Per quanto riguarda la validità di tale sottospecie lascio la parola agli altri, perchè non la conosco. Comunque bella specie, spero che tu ne abbia trovate a valanghe!! :mrgreen: :mrgreen: :gh: :gh:

_________________
Riccardo Poloni
La dignità degli elementi
la libertà della poesia,
al di là dei tradimenti degli uomini
è magia, è magia, è magia...
Negrita, Rotolando verso sud


Top
profilo
MessaggioInviato: 18/05/2011, 14:09 
Avatar utente

Iscritto il: 25/11/2009, 9:31
Messaggi: 8157
Località: Lecce
Nome: Maurizio Bollino
Plagionotus ha scritto:
spero che tu ne abbia trovate a valanghe!!


Maurizio Bollino ha scritto:
Pochi esemplari ottenuti ombrellando Quercus macrolepis fiorite.

_________________
Maurizio Bollino


Top
profilo
MessaggioInviato: 18/05/2011, 14:59 
Avatar utente

Iscritto il: 21/05/2009, 14:59
Messaggi: 6994
Località: Parigi
Nome: Riccardo Poloni
L'ho scritto apposta...

_________________
Riccardo Poloni
La dignità degli elementi
la libertà della poesia,
al di là dei tradimenti degli uomini
è magia, è magia, è magia...
Negrita, Rotolando verso sud


Top
profilo
MessaggioInviato: 18/05/2011, 16:31 
Avatar utente

Iscritto il: 18/02/2009, 0:24
Messaggi: 3909
Località: Asciano (Siena)
Nome: Andrea Petrioli
Mai vista; davvero molto elegante :ok: :ok: :ok: :p

_________________
:hi:
______
Andrea


Top
profilo
MessaggioInviato: 20/11/2014, 14:52 
Avatar utente

Iscritto il: 22/12/2009, 13:31
Messaggi: 9646
Località: Napoli
Nome: Francesco Izzillo
Dovrebbe trattarsi della Grammoptera auricollis ssp bipustulata Steiner, 1975, presente nel sud della Grecia.

_________________
Francesco Izzillo


Top
profilo
Visualizza ultimi messaggi:  Ordina per  
nuovo argomento
rispondi
Pagina 1 di 1 [ 6 messaggi ]

Tutti gli orari sono UTC + 1 ora [ ora legale ]


Chi c’è in linea

Visitano il forum: Nessuno e 0 ospiti


Non puoi aprire nuovi argomenti
Non puoi rispondere negli argomenti
Non puoi modificare i tuoi messaggi
Non puoi cancellare i tuoi messaggi
Non puoi inviare allegati

Cerca per:
Vai a: