Benvenuto Ospite

Forum Entomologi Italiani

www.entomologiitaliani.net/forum
 
Oggi è 09/11/2025, 15:19

Tutti gli orari sono UTC + 1 ora [ ora legale ]

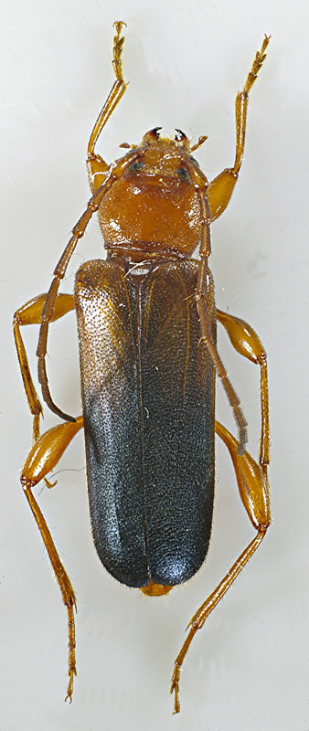
Phymatodes testaceus (Linnaeus, 1758) Dettagli della specie

24.V.2011 - ITALIA - Umbria - PG, Magione circa 560 m slm


nuovo argomento
rispondi
Pagina 1 di 1 [ 3 messaggi ]
Autore Messaggio
MessaggioInviato: 25/05/2011, 17:27 
 

Iscritto il: 02/02/2011, 11:51
Messaggi: 275
Località: Magione (PG)
Nome: ilio rocchi
è anche questo Phymatodes testaceus (Linnaeus, 1758)?
trovato in casa
14 mm
6001r.jpg


_________________
_____________________
ilio rocchi


Top
profilo
MessaggioInviato: 25/05/2011, 17:44 
Avatar utente

Iscritto il: 21/05/2009, 14:59
Messaggi: 6994
Località: Parigi
Nome: Riccardo Poloni
:ok: :ok:

_________________
Riccardo Poloni
La dignità degli elementi
la libertà della poesia,
al di là dei tradimenti degli uomini
è magia, è magia, è magia...
Negrita, Rotolando verso sud


Top
profilo
MessaggioInviato: 25/05/2011, 18:06 
 

Iscritto il: 02/02/2011, 11:51
Messaggi: 275
Località: Magione (PG)
Nome: ilio rocchi
oltre alle variazioni cromatiche, anche le dimensioni sono quindi molto variabili: io li ho trovati da 8 a 14 mm
vanno anche oltre?

_________________
_____________________
ilio rocchi


Top
profilo
Visualizza ultimi messaggi:  Ordina per  
nuovo argomento
rispondi
Pagina 1 di 1 [ 3 messaggi ]

Tutti gli orari sono UTC + 1 ora [ ora legale ]


Chi c’è in linea

Visitano il forum: Nessuno e 0 ospiti


Non puoi aprire nuovi argomenti
Non puoi rispondere negli argomenti
Non puoi modificare i tuoi messaggi
Non puoi cancellare i tuoi messaggi
Non puoi inviare allegati

Cerca per:
Vai a: