Benvenuto Ospite

Forum Entomologi Italiani

www.entomologiitaliani.net/forum
 
Oggi è 09/11/2025, 21:31

Tutti gli orari sono UTC + 1 ora [ ora legale ]

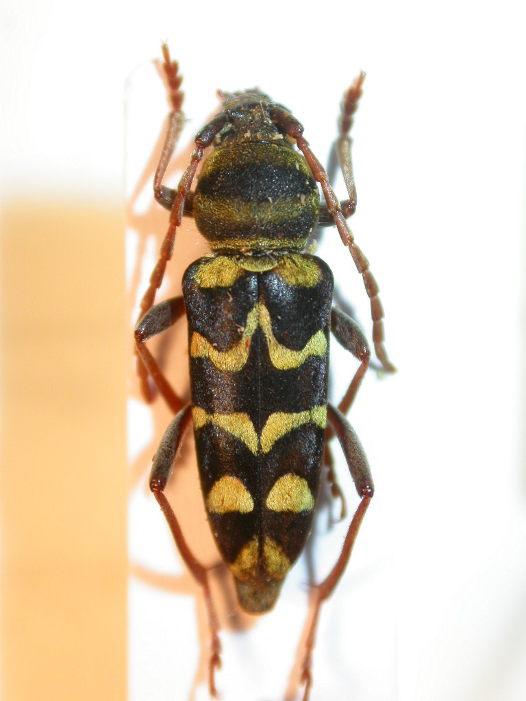
Plagionotus bobelayei (Brullé, 1832) - Cerambycidae

V.2011 - TURCHIA - EE, 1 km N-E Dereağzı (Aydin), 37.959 N, 28.333 E, leg. R. Rattu


nuovo argomento
rispondi
Pagina 1 di 1 [ 11 messaggi ]
Autore Messaggio
MessaggioInviato: 11/06/2011, 22:54 
Avatar utente

Iscritto il: 02/09/2009, 20:57
Messaggi: 8703
Località: Cagliari
Nome: Roberto Rattu
Questo esemplare, lungo circa 17 mm, ha avuto l'imprudenza di svolazzarmi davanti al naso:


DSCN7827.JPG

Top
profilo
 Oggetto del messaggio: Re: Cerambicide da id. - Cerambycidae
MessaggioInviato: 11/06/2011, 23:53 
Avatar utente

Iscritto il: 09/11/2010, 19:52
Messaggi: 4518
Località: Brescia
Nome: Luca Bodei
Plagionotus sp. :roll: :hi: :birra:

_________________
Tc70


Top
profilo
 Oggetto del messaggio: Re: Cerambicide da id. - Cerambycidae
MessaggioInviato: 12/06/2011, 7:58 
Avatar utente

Iscritto il: 30/12/2009, 22:20
Messaggi: 31564
Località: Roma
Nome: Maurizio Gigli
Neoplagionotus bobelayei (Brullé, 1832) (sempre che il genere sia ancora questo)

_________________
Maurizio Gigli
http://utenti.romascuola.net/bups
http://bup.xoom.it/


Top
profilo
 Oggetto del messaggio: Re: Cerambicide da id. - Cerambycidae
MessaggioInviato: 12/06/2011, 8:06 
Avatar utente

Iscritto il: 26/03/2010, 14:55
Messaggi: 5977
Località: Romania
Nome: Cosmin-Ovidiu Manci
Julodis ha scritto:
Neoplagionotus bobelayei (Brullé, 1832) (sempre che il genere sia ancora questo)


Penso che sarà meglio aspettare Gianfranco, dopo immagini che ho visto su ...

_________________
Cosmin-Ovidiu Manci
**********************
cosmln's place - my blog
just insects
Dragonflies of Romania


Top
profilo
 Oggetto del messaggio: Re: Cerambicide da id. - Cerambycidae
MessaggioInviato: 12/06/2011, 11:49 
Avatar utente

Iscritto il: 05/09/2009, 7:56
Messaggi: 3445
Località: Cesena
Nome: Gianfranco Sama
Il genere è Plagionotus e basta o, almeno, questa è la mia opinione.
A proposito di cambiamenti nomenclaturali Maurizio, tu continui a vedere le pagliuzze in casa altrui, ma non vedi le travi in casa tua. Quante volte avete cambiato i nomi dei generi e la nomenclatura voi Buprestidari per correre dietro (instancabilmente) alle stupidate russo-americane :mrgreen:
A proposito, in Turchia abbiamo trovato Agrilus su Ficus ; che sia finalmente Agrilus (sbg. Ficagrilus ) :birra:

_________________
Gianfranco Sama

"Benedetto colui che ti aiuta a correggere i tuoi errori invece di scagliarteli contro"
___________________________________
Gershom Sholem


Top
profilo
 Oggetto del messaggio: Re: Cerambicide da id. - Cerambycidae
MessaggioInviato: 12/06/2011, 16:10 
Avatar utente

Iscritto il: 02/09/2009, 20:57
Messaggi: 8703
Località: Cagliari
Nome: Roberto Rattu
Grazie a tutti :D !!! Allora lo accendiamo come Plagionotus bobelayei (Brullé, 1832)?


Top
profilo
 Oggetto del messaggio: Re: Cerambicide da id. - Cerambycidae
MessaggioInviato: 12/06/2011, 16:16 
Avatar utente

Iscritto il: 30/12/2009, 22:20
Messaggi: 31564
Località: Roma
Nome: Maurizio Gigli
Isotomus ha scritto:
Il genere è Plagionotus e basta o, almeno, questa è la mia opinione.
A proposito di cambiamenti nomenclaturali Maurizio, tu continui a vedere le pagliuzze in casa altrui, ma non vedi le travi in casa tua. Quante volte avete cambiato i nomi dei generi e la nomenclatura voi Buprestidari per correre dietro (instancabilmente) alle stupidate russo-americane :mrgreen:

Non è una critica. E' solo che non si riesce a starvi dietro!
Isotomus ha scritto:
A proposito, in Turchia abbiamo trovato Agrilus su Ficus ; che sia finalmente Agrilus (sbg. Ficagrilus ) :birra:

Mi spiace, ma Izzilo ti ha anticipato, e qui in Italia! :to:

_________________
Maurizio Gigli
http://utenti.romascuola.net/bups
http://bup.xoom.it/


Top
profilo
 Oggetto del messaggio: Re: Cerambicide da id. - Cerambycidae
MessaggioInviato: 12/06/2011, 17:20 
Avatar utente

Iscritto il: 21/05/2009, 14:59
Messaggi: 6994
Località: Parigi
Nome: Riccardo Poloni
Fumea crassiorella ha scritto:
Grazie a tutti :D !!! Allora lo accendiamo come Plagionotus bobelayei (Brullé, 1832)?


:ok: :ok:

_________________
Riccardo Poloni
La dignità degli elementi
la libertà della poesia,
al di là dei tradimenti degli uomini
è magia, è magia, è magia...
Negrita, Rotolando verso sud


Top
profilo
 Oggetto del messaggio: Re: Cerambicide da id. - Cerambycidae
MessaggioInviato: 12/06/2011, 18:23 
Avatar utente

Iscritto il: 25/11/2009, 9:31
Messaggi: 8157
Località: Lecce
Nome: Maurizio Bollino
Isotomus ha scritto:
abbiamo trovato Agrilus su Ficus ; che sia finalmente Agrilus (sbg. Ficagrilus ) :birra:


:roll: :roll: :roll: Se le cose stanno così, questo, raccolto su Rattu, sarà Rattuplagionotus????????????? :mrgreen: :mrgreen: :mrgreen: :mrgreen:

_________________
Maurizio Bollino


Top
profilo
 Oggetto del messaggio: Re: Cerambicide da id. - Cerambycidae
MessaggioInviato: 12/06/2011, 18:27 
Avatar utente

Iscritto il: 02/09/2009, 20:57
Messaggi: 8703
Località: Cagliari
Nome: Roberto Rattu
Maurizio Bollino ha scritto:
Isotomus ha scritto:
abbiamo trovato Agrilus su Ficus ; che sia finalmente Agrilus (sbg. Ficagrilus ) :birra:


:roll: :roll: :roll: Se le cose stanno così, questo, raccolto su Rattu, sarà Rattuplagionotus????????????? :mrgreen: :mrgreen: :mrgreen: :mrgreen:


Mi suona meglio il Ficagrilus.... :gh: :gh:


Top
profilo
 Oggetto del messaggio: Re: Cerambicide da id. - Cerambycidae
MessaggioInviato: 12/06/2011, 18:59 
Avatar utente

Iscritto il: 21/05/2009, 14:59
Messaggi: 6994
Località: Parigi
Nome: Riccardo Poloni
Fumea crassiorella ha scritto:
Maurizio Bollino ha scritto:
Isotomus ha scritto:
abbiamo trovato Agrilus su Ficus ; che sia finalmente Agrilus (sbg. Ficagrilus ) :birra:


:roll: :roll: :roll: Se le cose stanno così, questo, raccolto su Rattu, sarà Rattuplagionotus????????????? :mrgreen: :mrgreen: :mrgreen: :mrgreen:


Mi suona meglio il Ficagrilus.... :gh: :gh:


Se mi chiamate un Cerambycidae Rattuplagionotus mi do all'ippica :mrgreen: :mrgreen: :gh: :gh:

_________________
Riccardo Poloni
La dignità degli elementi
la libertà della poesia,
al di là dei tradimenti degli uomini
è magia, è magia, è magia...
Negrita, Rotolando verso sud


Top
profilo
Visualizza ultimi messaggi:  Ordina per  
nuovo argomento
rispondi
Pagina 1 di 1 [ 11 messaggi ]

Tutti gli orari sono UTC + 1 ora [ ora legale ]


Chi c’è in linea

Visitano il forum: Nessuno e 1 ospite


Non puoi aprire nuovi argomenti
Non puoi rispondere negli argomenti
Non puoi modificare i tuoi messaggi
Non puoi cancellare i tuoi messaggi
Non puoi inviare allegati

Cerca per:
Vai a: