Benvenuto Ospite

Forum Entomologi Italiani

www.entomologiitaliani.net/forum
 
Oggi è 09/11/2025, 22:00

Tutti gli orari sono UTC + 1 ora [ ora legale ]

Pachytodes erraticus erraticus (Dalman, 1817) Dettagli della specie

5.VII.2011 - ROMANIA - EE, Romania: Moldavia: Bacau county: Comanesti


nuovo argomento
rispondi
Vai alla pagina 1, 2  Prossimo
Pagina 1 di 2 [ 20 messaggi ]
Autore Messaggio
MessaggioInviato: 05/07/2011, 17:14 
Avatar utente

Iscritto il: 31/08/2010, 7:16
Messaggi: 3040
Località: Romania
Nome: Pintilioaie Alexandru Mihai
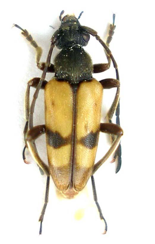
This is the first time when I found this species and only this specimen. It is Pachytodes erraticus ?


1.jpg


_________________
alexandrupintilioaie(AT)gmail.com
Top
profilo
 Oggetto del messaggio: Re: Pachytodes erraticus??? - Romania
MessaggioInviato: 05/07/2011, 17:40 
Avatar utente

Iscritto il: 30/12/2009, 22:20
Messaggi: 31564
Località: Roma
Nome: Maurizio Gigli
:ok:

_________________
Maurizio Gigli
http://utenti.romascuola.net/bups
http://bup.xoom.it/


Top
profilo
 Oggetto del messaggio: Re: Pachytodes erraticus??? - Romania
MessaggioInviato: 05/07/2011, 17:42 
Avatar utente

Iscritto il: 31/08/2010, 7:16
Messaggi: 3040
Località: Romania
Nome: Pintilioaie Alexandru Mihai
Julodis ha scritto:
:ok:


Thank you :)

_________________
alexandrupintilioaie(AT)gmail.com


Top
profilo
 Oggetto del messaggio: Re: Pachytodes erraticus??? - Romania
MessaggioInviato: 05/07/2011, 17:54 
Avatar utente

Iscritto il: 05/09/2009, 7:56
Messaggi: 3445
Località: Cesena
Nome: Gianfranco Sama
Scusa Maurizio, ma a me sembra piuttosto
Pachytodes cerambyciformis (Schrank, 1781) :no1:

_________________
Gianfranco Sama

"Benedetto colui che ti aiuta a correggere i tuoi errori invece di scagliarteli contro"
___________________________________
Gershom Sholem


Top
profilo
 Oggetto del messaggio: Re: Pachytodes erraticus??? - Romania
MessaggioInviato: 05/07/2011, 20:33 
Avatar utente

Iscritto il: 09/11/2010, 19:52
Messaggi: 4518
Località: Brescia
Nome: Luca Bodei
Isotomus ha scritto:
Scusa Maurizio, ma a me sembra piuttosto
Pachytodes cerambyciformis (Schrank, 1781) :no1:



Scusa Gianfranco, fammi capire,ma nel P.cerambyciformis c'è quella riga nera verticale come sutura elitrale :roll:,poi il pronoto sembrerebbe di scorgere della piccola peluria coricata tipica del P.erraticus,o sbaglio :? Help,illuminaci ;) :hi: :birra:

_________________
Tc70


Top
profilo
 Oggetto del messaggio: Re: Pachytodes erraticus??? - Romania
MessaggioInviato: 05/07/2011, 21:38 
Avatar utente

Iscritto il: 05/09/2009, 7:56
Messaggi: 3445
Località: Cesena
Nome: Gianfranco Sama
La colorazione elitrale (o il disegno) è variabilissimo tanto in cerambyciformis quanto in erraticus, quindi questo carattere, citato da Bense, ha un valore statistico, e non un è carattere diagnostico sicuro (possiedo esemplari di erraticus con elitre totalmente chiare inclusa la sutura). Le differenze sono nelle elitre, opache con setole corte e uncinate nella prima, lucide e con setole obliquamente erette nella seconda. Nella pubescenza del pronoto, più corta e più rada nella prima (cerambyciformis) e nettamente più lunga nella seconda (erraticus). C’è un altro carattere (citato da Villiers e da Bense (e, forse, da altri prima) più difficile da apprezzare, ma che potrebbe rivelarsi decisivo:ll’ultimo articolo dei tarsi è diviso solo all’apice in erraticus, molto più profondamente in cerambyciformis. Inoltre, le elitre sono generalmente rossicce nel quanrto apicale nei maschi di erraticus. Ora, per l’esemplare di Alexandru, mi sono fidato della foto in cui l’insetto appare opaco. Gli altri caratteri non sono bene visibili, ma, avendo schiarito l’immagine, la pubescenza del pronoto appare densa e le elitre sembrano lucide, quindi se Alexandru conferma questo e gli altri caratteri, faccio volentieri ammenda e mi correggo.
1.jpg


_________________
Gianfranco Sama

"Benedetto colui che ti aiuta a correggere i tuoi errori invece di scagliarteli contro"
___________________________________
Gershom Sholem


Top
profilo
 Oggetto del messaggio: Re: Pachytodes erraticus??? - Romania
MessaggioInviato: 05/07/2011, 22:38 
Avatar utente

Iscritto il: 30/12/2009, 22:20
Messaggi: 31564
Località: Roma
Nome: Maurizio Gigli
Gianfranco, a me a prima vista è parso un erraticus, anche perchè lo trovo abbastanza spesso qui intorno. Anche nei giorni scorsi mi è capitato di trovarne qua e là. Il cerambyciformis non lo trovo più da anni, da quando andavo sulle Alpi, ma me lo ricordo nettamente più largo come forma generale del corpo. Forse però è solo uno scherzo della memoria. Non ho controllato in collezione.

_________________
Maurizio Gigli
http://utenti.romascuola.net/bups
http://bup.xoom.it/


Top
profilo
 Oggetto del messaggio: Re: Pachytodes erraticus??? - Romania
MessaggioInviato: 06/07/2011, 1:56 
Avatar utente

Iscritto il: 28/07/2010, 11:11
Messaggi: 235
Località: Poland
Nome: Jacek Kurzawa
It's very interesting specimens.

I am not sure .... I see .... P.erraticus (more as P.cerambyciformis) on the basis a following remarks:

- elytral suture is black (a)
- apical black spot is a shape as P.erraticus (b)

a - black elytral sutura can missing in P.erraticus (I didn't know about this fact!) but P.cerambyciformis never have black elytral sutura (?),
b - apical spot are different - P.cerambyciformis have a convex spot [2], P.erraticus have a concave spot [1] in apical part of elytra (illustration).

Additional photos is needed (lateral view, shining hairs on surface of elytra?) because this remarks are invisible. They will be helpful in better, safe determination (to doubt lose).

This case is very interesting to study to better knowledge difference between this species.

(sorry for my poor english).


shape_of_apical_spot.gif

Top
profilo
 Oggetto del messaggio: Re: Pachytodes erraticus??? - Romania
MessaggioInviato: 06/07/2011, 8:14 
Avatar utente

Iscritto il: 31/08/2010, 7:16
Messaggi: 3040
Località: Romania
Nome: Pintilioaie Alexandru Mihai
Thank you all for your help :birra: , I will try today to provide a few more pics from different angles with this interesting specimen :D

Alex. :hi:

_________________
alexandrupintilioaie(AT)gmail.com


Top
profilo
 Oggetto del messaggio: Re: Pachytodes erraticus??? - Romania
MessaggioInviato: 06/07/2011, 10:37 
Avatar utente

Iscritto il: 31/08/2010, 7:16
Messaggi: 3040
Località: Romania
Nome: Pintilioaie Alexandru Mihai
I hope this images will be usefull :)

P1270950.JPG



P1270937.JPG


_________________
alexandrupintilioaie(AT)gmail.com


Top
profilo
 Oggetto del messaggio: Re: Pachytodes erraticus??? - Romania
MessaggioInviato: 06/07/2011, 10:51 
Avatar utente

Iscritto il: 28/07/2010, 11:11
Messaggi: 235
Località: Poland
Nome: Jacek Kurzawa
Thank you.
They are a black epipleura, middle spot is wide at epipleura - P.erraticus.
But - surface of elytra and colouration is as P.cerambyciformis.
Very strange specimen....

I'm not sure. :?:

Only ours Gianfranco can resolve this problem :-)


epipleura.jpg

Top
profilo
 Oggetto del messaggio: Re: Pachytodes erraticus??? - Romania
MessaggioInviato: 06/07/2011, 11:28 
Avatar utente

Iscritto il: 31/08/2010, 7:16
Messaggi: 3040
Località: Romania
Nome: Pintilioaie Alexandru Mihai
Phytoecia ha scritto:
Thank you.
They are a black epipleura, middle spot is wide at epipleura - P.erraticus.
But - surface of elytra and colouration is as P.cerambyciformis.
Very strange specimen....

I'm not sure. :?:

Only ours Gianfranco can resolve this problem :-)


Thank you :birra: ...waiting for Gianfranco than :mrgreen:

_________________
alexandrupintilioaie(AT)gmail.com


Top
profilo
 Oggetto del messaggio: Re: Pachytodes erraticus??? - Romania
MessaggioInviato: 06/07/2011, 19:25 
Avatar utente

Iscritto il: 05/09/2009, 7:56
Messaggi: 3445
Località: Cesena
Nome: Gianfranco Sama
I must think that I did never really study this genus before and my collection (together with the Schurmann collection) is not yet arranged. Therefore I had a look at the long series of P. erraticus from Italy, Balcan, Greece, Turkey and the series of P. cerambyciformis from the Alps (Italy and Austria).
The elytral and pronotal pubescence are the best distinguishing characters; the shape of apical spot on elytra (suggested by Jacek, for me a new character) works as well, but sometimes it is unclear.
Here the picture of last tarsomere according to Bense (1995) (432 = P. cerambyciformis; 433 = P. erraticus) which can be used with attention since not always clear.
Pachytodes_ 001.jpg


Here some bad pictures of specimens of my collection, including specimens of P. erraticus without black sutura. From Galiciça (Macedonia)
Pachytodes erraticus_ Galiciça planina_preparati 006.jpg

crop of pronotum and base of elytra to show the pubescence
Pachytodes erraticus_Galiciça_female_pubescenza_007.jpg


two males from Friuli (northern Italy) and one from Basilicata (southern Italy)
Pachytodes erraticus_male_Friuli_Cialla_014.jpg

Pachytodes erraticus_male_Friuli_Ciallapreparati 018.jpg

Pachytodes erraticus_male_Italia_Basilicata_Accettura 021.jpg


_________________
Gianfranco Sama

"Benedetto colui che ti aiuta a correggere i tuoi errori invece di scagliarteli contro"
___________________________________
Gershom Sholem


Top
profilo
 Oggetto del messaggio: Re: Pachytodes erraticus??? - Romania
MessaggioInviato: 06/07/2011, 19:34 
Avatar utente

Iscritto il: 05/09/2009, 7:56
Messaggi: 3445
Località: Cesena
Nome: Gianfranco Sama
A further male from Central Italy: Passo del Muraglione (Firenze)
Pachytodes erraticus_male_Italia_Muraglione_019.jpg


A female of P. cerambyciformis from Austria
Pachytodes cerambyciformis_Austra_ 024.jpg


The specimen of Alexandru resembles my series of P. erraticus from Macedonia (Galiciça planina) (see above), somewhat different from, for an example, Italian or Turkish population.
At the end, it is not totally clear for me, but I prefer to refer it, provisorily, to P. erraticus :no1:

_________________
Gianfranco Sama

"Benedetto colui che ti aiuta a correggere i tuoi errori invece di scagliarteli contro"
___________________________________
Gershom Sholem


Top
profilo
 Oggetto del messaggio: Re: Pachytodes erraticus??? - Romania
MessaggioInviato: 06/07/2011, 20:06 
Avatar utente

Iscritto il: 31/08/2010, 7:16
Messaggi: 3040
Località: Romania
Nome: Pintilioaie Alexandru Mihai
Many thanks Gianfranco :lov2: , I will try to get a photo with the last tarsomere, but I can't be sure that I will get a good enought photo :(

_________________
alexandrupintilioaie(AT)gmail.com


Top
profilo
Visualizza ultimi messaggi:  Ordina per  
nuovo argomento
rispondi
Vai alla pagina 1, 2  Prossimo
Pagina 1 di 2 [ 20 messaggi ]

Tutti gli orari sono UTC + 1 ora [ ora legale ]


Chi c’è in linea

Visitano il forum: Nessuno e 1 ospite


Non puoi aprire nuovi argomenti
Non puoi rispondere negli argomenti
Non puoi modificare i tuoi messaggi
Non puoi cancellare i tuoi messaggi
Non puoi inviare allegati

Cerca per:
Vai a: