Benvenuto Ospite

Forum Entomologi Italiani

www.entomologiitaliani.net/forum
 
Oggi è 08/11/2025, 16:10

Tutti gli orari sono UTC + 1 ora [ ora legale ]

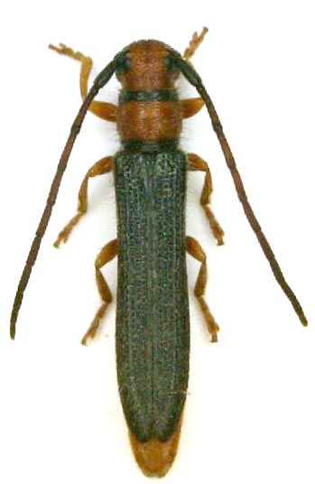
Oberea (Amaurostoma) erythrocephala erythrocephala (Schrank, 1776) Dettagli della specie

VI.2009 - ITALIA - Emilia-Romagna - BO, Sasso Marconi, Palazzo Rossi


nuovo argomento
rispondi
Vai alla pagina Precedente  1, 2
Pagina 2 di 2 [ 20 messaggi ]
Autore Messaggio
MessaggioInviato: 01/10/2009, 14:04 
Avatar utente

Iscritto il: 21/05/2009, 14:59
Messaggi: 6994
Località: Parigi
Nome: Riccardo Poloni
dico che è proprio così :D :)

_________________
Riccardo Poloni
La dignità degli elementi
la libertà della poesia,
al di là dei tradimenti degli uomini
è magia, è magia, è magia...
Negrita, Rotolando verso sud


Top
profilo
MessaggioInviato: 07/10/2009, 19:24 
Avatar utente

Iscritto il: 02/10/2009, 17:40
Messaggi: 924
Località: Osimo
Nome: Alberto Strocchi
Ho seguito e letto con interesse le vostre "botta e risposta" su Saperda carcharias e Cerambyx cerdo. Penso di poter dire la mia, anche se avevo già posto il quesito in altro luogo del forum. Ma ... una cosa alla volta.
Innanzi tutto dico subito che non vi conosco "bene": dadopimpi, Entomarci, Glaphyrus ... di dove siete? Perché potrebbe essere probabile che quel che dirò non vi sia affatto utile. Comunque ci provo.
Il C. cerdo è cerambicide dai costumi prettamente notturni e se beccate l'orario giusto (non troppo presto ma nemmeno troppo tardi ... diciamo grandi linee, dalle 23 all'1) li vederete andare e venire su e giù per il tronco della quercia che, data la mole della "bestia" presenta evidentissimi segni di parassitismo: da buchi grossi un dito a cortecce staccate e rosura a etti. Per il periodo l'elasticità, come spesso accade, va a braccetto con l'andamento stagionale (che ultimamente è proprio un casino!). Il periodo "classico" è giugno-luglio ... poi ...
Assieme a questa specie non è raro trovare anche il velutinus o il miles (quest'ultimo da me è assai più sporadico). Maschi e femmine si rincorrono sul tronco e non è difficile reperire ambedue i sessi.
Per la Saperda, di cui ho già scritto - o meglio chiesto - qualcosa, va detto che io le ho sempre raccolte, a suo tempo, nelle prime ore calde dei pomeriggi autunnali quando le femmine si portano alla base del tronco del pioppo per la deposizione delle uova. i maschi solitamente stazionano nei rami alti e la tecnica più semplice per reperirli è ... un bel calcione all'albero! Se non è abbastanza grosso, il tremore che si ripercuote ai rami alti fa cadere l'esemplare " a peso morto". Bisogna prestare attenzione con occhi e orecchie per individuare il posto dove si è sentito il tonfo e adocchiare l'insetto.
Scusate la lungaggine!
Buona caccia.
Alberto


Top
profilo
MessaggioInviato: 07/10/2009, 20:02 
Avatar utente

Iscritto il: 05/08/2009, 18:02
Messaggi: 2264
Nome: Marcello Benelli
Ora io sono di Ravenna, e caccio su e giu' per la Romagna...

_________________
Marci
"S'i fosse fuoco, arderei 'l mondo,
S'i fosse vento, lo tempesterei,
S'i fosse acqua, i' l'annegherei
s'i fosse dio, mandereil' en profondo" ( Cecco Angiolieri).


Top
profilo
MessaggioInviato: 09/10/2009, 17:14 
Avatar utente

Iscritto il: 21/05/2009, 14:59
Messaggi: 6994
Località: Parigi
Nome: Riccardo Poloni
e io, c'è anche scritto, abito a modena e caccio un po' dappertutto, soprattutto modenese, reggiano e bolognese, ma vado anche in Veneto e in Lombardia, ti ringrazio delle informazioni :D :)

_________________
Riccardo Poloni
La dignità degli elementi
la libertà della poesia,
al di là dei tradimenti degli uomini
è magia, è magia, è magia...
Negrita, Rotolando verso sud


Top
profilo
MessaggioInviato: 07/01/2011, 12:31 
Avatar utente

Iscritto il: 05/09/2009, 7:56
Messaggi: 3445
Località: Cesena
Nome: Gianfranco Sama
Modifico anche questa che mi sembra l'unica immagine della specie presente sul forum.
Oberea erythrocephala.jpg


_________________
Gianfranco Sama

"Benedetto colui che ti aiuta a correggere i tuoi errori invece di scagliarteli contro"
___________________________________
Gershom Sholem


Top
profilo
Visualizza ultimi messaggi:  Ordina per  
nuovo argomento
rispondi
Vai alla pagina Precedente  1, 2
Pagina 2 di 2 [ 20 messaggi ]

Tutti gli orari sono UTC + 1 ora [ ora legale ]


Chi c’è in linea

Visitano il forum: Nessuno e 2 ospiti


Non puoi aprire nuovi argomenti
Non puoi rispondere negli argomenti
Non puoi modificare i tuoi messaggi
Non puoi cancellare i tuoi messaggi
Non puoi inviare allegati

Cerca per:
Vai a: