Benvenuto Ospite

Forum Entomologi Italiani

www.entomologiitaliani.net/forum
 
Oggi è 25/10/2025, 5:51

Tutti gli orari sono UTC + 1 ora [ ora legale ]

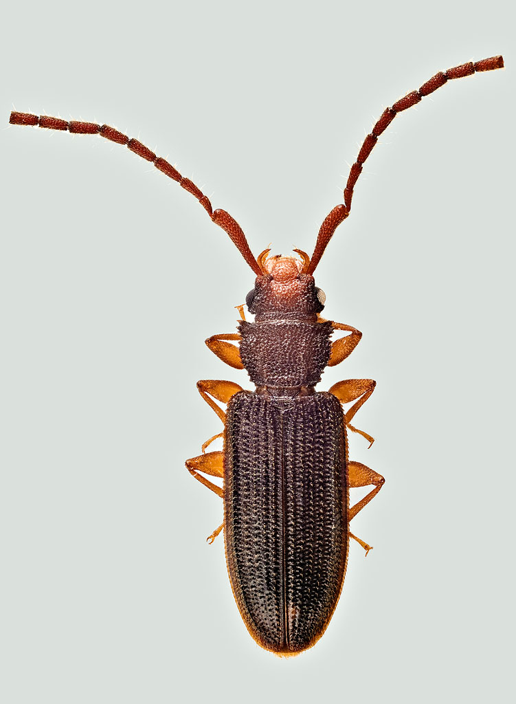
Uleiota planata (Linnaeus, 1761) - Silvanidae

15.III.2012 - ITALIA - Lazio - RM, Mentana - Macchia di Gattacieca


nuovo argomento
rispondi
Pagina 1 di 1 [ 5 messaggi ]
Autore Messaggio
MessaggioInviato: 16/03/2012, 17:07 
Avatar utente

Iscritto il: 10/06/2011, 10:05
Messaggi: 830
Località: Monterotondo (RM)
Nome: andrea hallgass
Non vado oltre coleottero :cry:

5 mm trovato sotto corteccia di quercia

:hi: :hi:


b1_1024.jpg

Top
profilo
 Oggetto del messaggio: Re: ID per coleottero
MessaggioInviato: 16/03/2012, 17:10 
Avatar utente

Iscritto il: 01/07/2010, 22:26
Messaggi: 5649
Località: Viterbo
Nome: Marco Selis
Dovrebbe essere Uleiota planata (Linnaeus, 1761) - Silvanidae , molto bella! :ok:


Top
profilo
 Oggetto del messaggio: Re: ID per coleottero
MessaggioInviato: 16/03/2012, 17:15 
Avatar utente

Iscritto il: 30/12/2009, 22:20
Messaggi: 31564
Località: Roma
Nome: Maurizio Gigli
Uno dei subcorticicoli più diffusi e caratteristici. Peccato che a questo esemplare manchino gli ultimi due antennomeri di ogni antenna!

_________________
Maurizio Gigli
http://utenti.romascuola.net/bups
http://bup.xoom.it/


Top
profilo
 Oggetto del messaggio: Re: ID per coleottero
MessaggioInviato: 16/03/2012, 17:41 
Avatar utente

Iscritto il: 10/06/2011, 10:05
Messaggi: 830
Località: Monterotondo (RM)
Nome: andrea hallgass
grazie di tutto .... andrea
:hi:

Julodis ha scritto:
Uno dei subcorticicoli più diffusi e caratteristici. Peccato che a questo esemplare manchino gli ultimi due antennomeri di ogni antenna!


mai che ne beccassi uno raro :mrgreen: :mrgreen: :mrgreen:


Top
profilo
 Oggetto del messaggio: Re: ID per coleottero
MessaggioInviato: 16/03/2012, 18:25 
 

Iscritto il: 21/09/2009, 9:34
Messaggi: 1535
Località: Padova
Nome: Gianfranco Salvato
Andricus ha scritto:
Dovrebbe essere Uleiota planata (Linnaeus, 1761) - Silvanidae , molto bella! :ok:



:ok: Non mi resta che confermare.
Ciao
Gianfranco :ok: :ok:


Top
profilo
Visualizza ultimi messaggi:  Ordina per  
nuovo argomento
rispondi
Pagina 1 di 1 [ 5 messaggi ]

Tutti gli orari sono UTC + 1 ora [ ora legale ]


Chi c’è in linea

Visitano il forum: Nessuno e 7 ospiti


Non puoi aprire nuovi argomenti
Non puoi rispondere negli argomenti
Non puoi modificare i tuoi messaggi
Non puoi cancellare i tuoi messaggi
Non puoi inviare allegati

Cerca per:
Vai a: