Benvenuto Ospite

Forum Entomologi Italiani

www.entomologiitaliani.net/forum
 
Oggi è 10/11/2025, 9:37

Tutti gli orari sono UTC + 1 ora [ ora legale ]

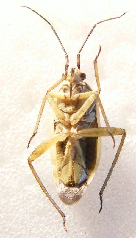
Brachycoleus sexvittatus Reuter, 1877 - Miridae

11.V.2012 - ITALIA - Sardegna - CA, Sadali


nuovo argomento
rispondi
Pagina 1 di 1 [ 6 messaggi ]
Autore Messaggio
MessaggioInviato: 13/05/2012, 12:51 
Avatar utente

Iscritto il: 01/11/2009, 9:51
Messaggi: 2330
Nome: Andrea Rattu
Sulla ferula (Ferula communis), ho trovato (lo rinvengo spesso anche in altre località) questo miride di 7,5 mm. Qualcuno sa di che specie si tratta? Se necessario posso fare altre foto. Grazie a tutti.


3.jpg

2.jpg

1.jpg


_________________
Se gettassi su di un piatto della bilancia tutto ciò che ho imparato a comprendere in quelle ore di meditazione di fronte all'acquario, e sull'altro tutto ciò che ho ricavato dai libri, come rimarrebbe leggero il secondo!
Konrad Lorenz
Top
profilo
 Oggetto del messaggio: Re: Miride da determinare
MessaggioInviato: 13/05/2012, 21:16 
Avatar utente

Iscritto il: 07/02/2011, 21:42
Messaggi: 265
Nome: Alessandro Girodo
mmmh, assomiglia molto a Brachycoleus decolor, ma non sono del tutto convinto...che dicono gli esperti?

_________________
_________
Ale


Top
profilo
 Oggetto del messaggio: Re: Miride da determinare
MessaggioInviato: 14/05/2012, 0:06 
Avatar utente

Iscritto il: 01/11/2009, 9:51
Messaggi: 2330
Nome: Andrea Rattu
Grazie Alessandro: in effetti ci somiglia molto.

_________________
Se gettassi su di un piatto della bilancia tutto ciò che ho imparato a comprendere in quelle ore di meditazione di fronte all'acquario, e sull'altro tutto ciò che ho ricavato dai libri, come rimarrebbe leggero il secondo!
Konrad Lorenz


Top
profilo
 Oggetto del messaggio: Re: Miride da determinare
MessaggioInviato: 30/10/2012, 20:55 
Avatar utente

Iscritto il: 09/07/2011, 13:43
Messaggi: 2210
Località: Marmirolo (MN)
Nome: Maura Bocci
La forma del disegno sullo scutello (banda nera centrale, anzicchè macchia chiara a forma di cuore) e le quattro linee gialle sul pronoto farebbero pensare più a Brachycoleus sexvittatus Reuter, 1877.
L'intervento di un esperto sarebbe in effetti opportuno...

:hi:

_________________
Maura
(Mitakuye oyasin)


Top
profilo
 Oggetto del messaggio: Re: Miride da determinare
MessaggioInviato: 23/01/2013, 3:37 
Avatar utente

Iscritto il: 05/02/2009, 17:34
Messaggi: 894
Località: Sondrio - Lombardia - Italia
Nome: Paride Dioli
Maura ha ragione. A conferma si può osservare anche l'anello apicale scuro sui femori posteriori.
Ne ho qualche exx sardo in collezione, donatomi dal compianto Carlo Meloni.

_________________
Link: https://www.ndsu.edu/pubweb/~rider/Pentatomoidea/Researchers/Dioli_Paride.htm
Papers in PDF format: https://www.researchgate.net/profile/Paride_Dioli/?ev=hdr_xprf/


Top
profilo
MessaggioInviato: 23/01/2013, 15:11 
Avatar utente

Iscritto il: 01/11/2009, 9:51
Messaggi: 2330
Nome: Andrea Rattu
Grazie Maura, grazie Paride per la conferma :birra: :hp: .

_________________
Se gettassi su di un piatto della bilancia tutto ciò che ho imparato a comprendere in quelle ore di meditazione di fronte all'acquario, e sull'altro tutto ciò che ho ricavato dai libri, come rimarrebbe leggero il secondo!
Konrad Lorenz


Top
profilo
Visualizza ultimi messaggi:  Ordina per  
nuovo argomento
rispondi
Pagina 1 di 1 [ 6 messaggi ]

Tutti gli orari sono UTC + 1 ora [ ora legale ]


Chi c’è in linea

Visitano il forum: Nessuno e 1 ospite


Non puoi aprire nuovi argomenti
Non puoi rispondere negli argomenti
Non puoi modificare i tuoi messaggi
Non puoi cancellare i tuoi messaggi
Non puoi inviare allegati

Cerca per:
Vai a: