Benvenuto Ospite

Forum Entomologi Italiani

www.entomologiitaliani.net/forum
 
Oggi è 09/11/2025, 10:00

Tutti gli orari sono UTC + 1 ora [ ora legale ]

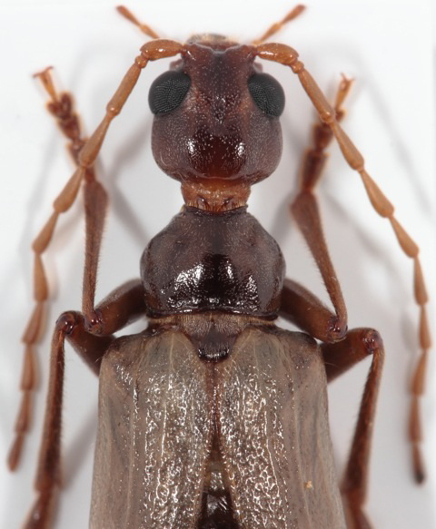
Vesperus luridus (Rossi, 1794) Dettagli della specie

29.VIII.2012 - ITALIA - Toscana - LI, Marciana (LI) - M.te Capanne 700m


nuovo argomento
rispondi
Pagina 1 di 1 [ 8 messaggi ]
Autore Messaggio
MessaggioInviato: 05/09/2012, 12:39 
Avatar utente

Iscritto il: 17/02/2009, 0:05
Messaggi: 8521
Località: Isola d'Elba - Arcipelago Toscano
Nome: Leonardo Forbicioni
Questa specie era già nota per l'Elba, ma la foto di una bella femmina non fa mai male!! :gh: :gh:
Ho deciso di postarla dopo essermi consultato con Pierpaolo che ha confermato l'ID, solo per la strana colorazione, molto scura e per il luogo del ritrovamento, circa 400m all'interno di una castagneta 700mt. s.l.m. battendo un'Edera secca, che batto ogni volta che passo di lì e tutte le volte mi regala qualche piacevole sorpresa.
Non mi era capitato mai di raccogliere questa specie così all'interno di un bosco, ma solitamente, tutti quelli che ho raccolto "battendo" li ho trovati ai margini del bosco e mai all'interno. :?
Tutto qui!

Vesperus_Monte_Capanne1.jpg

Vesperus_Monte_Capanne2.jpg

Vesperus_Monte_Capanne3.jpg

Vesperus_Monte_Capanne5.jpg

Vesperus_Monte_Capanne4.jpg


_________________
"Stay hungry, stay foolish".
Steve Jobs, 2005
___________________
jjuniper8(at)gmail.com
Twitter: @weevil_forbix
cell. 339/5275910
___________________


Top
profilo
MessaggioInviato: 05/09/2012, 13:12 
Avatar utente

Iscritto il: 10/05/2010, 22:31
Messaggi: 4371
Località: Gavorrano (GR)
Nome: marco bastianini
Bello! Sembra "laccato" :mrgreen: :mrgreen:
:hi:

_________________
:to: Marco
"Le foreste a precedere le civiltà, i deserti a seguire."
François-René de Chateaubriand


Top
profilo
MessaggioInviato: 05/09/2012, 13:55 
Avatar utente

Iscritto il: 21/05/2009, 14:59
Messaggi: 6994
Località: Parigi
Nome: Riccardo Poloni
Questa colorazione la assumono specialmente le femmine fresche che rilasciano grasso e col tempo quindi, scuriscono :D :)

_________________
Riccardo Poloni
La dignità degli elementi
la libertà della poesia,
al di là dei tradimenti degli uomini
è magia, è magia, è magia...
Negrita, Rotolando verso sud


Top
profilo
MessaggioInviato: 05/09/2012, 14:05 
Avatar utente

Iscritto il: 07/09/2010, 12:59
Messaggi: 1920
Località: Como
Nome: Matteo Zugno
Sempre una bella specie il caro Vesperus, mai visto in natura!
Ma prima o poi..
Bella foto Leonardo

:hi:


Top
profilo
MessaggioInviato: 05/09/2012, 15:43 
Avatar utente

Iscritto il: 04/02/2009, 17:49
Messaggi: 5510
Località: Cagliari
Nome: Daniele Sechi
Plagionotus ha scritto:
Questa colorazione la assumono specialmente le femmine fresche che rilasciano grasso e col tempo quindi, scuriscono :D :)


Non ho capito cosa intendi Riccardo, mi puoi spiegare un po' meglio? Secondo te diventano scure da vive o da morte?

_________________
:hi:
Daniele


Top
profilo
MessaggioInviato: 05/09/2012, 15:51 
Avatar utente

Iscritto il: 30/12/2009, 22:20
Messaggi: 31564
Località: Roma
Nome: Maurizio Gigli
Xylotrechus ha scritto:
Sempre una bella specie il caro Vesperus, mai visto in natura!
Ma prima o poi..
Bella foto Leonardo

:hi:

Credo che a Nord del Po sia estremamente raro, sempre che ci sia!

Daniele Sechi ha scritto:
Non ho capito cosa intendi Riccardo, mi puoi spiegare un po' meglio? Secondo te diventano scure da vive o da morte?

Credo intenda che scuriscono dopo morte, per il rilascio di sostanze grasse . In realtà penso accada solo quando seccano male, magari perchè tenute per un po' in un barattolo con poco etere che poi evapora, permettendo che inizi la decomposizione dei tessuti interni. Essendo i tegumenti semitrasparenti, se l'interno si scurisce prendono questa colorazione.
Ma nel caso della femmina di Leonardo credo che sia il colore di cui era già da viva.

_________________
Maurizio Gigli
http://utenti.romascuola.net/bups
http://bup.xoom.it/


Top
profilo
MessaggioInviato: 05/09/2012, 16:55 
Avatar utente

Iscritto il: 21/05/2009, 14:59
Messaggi: 6994
Località: Parigi
Nome: Riccardo Poloni
Intendevo proprio dire che dopo la cattura, se la femmina viene uccisa e lasciata per tanto tempo nel boccettino con l'etere (che estrae i grassi) è molto più probabile che questi e altri tessuti interni (specialmente i grassi però) scuriscano la cuticola esterna o facciano, come ha suggerito Maurizio (Julodis) vedere in tarsparenza il colore dell'interno. Questo avviene in molte altre specie; solo nei Cerambycidae si possono citare la Rosalia alpina, Molti Lepturinae con tegumenti gialli o chiari come Reptula maculata, e in alcuni casi anche i Dorcadion, in cui i peli bianchi o grigiastri tendono a diventare, negli esemplari sottoposti a trattamenti prima dell'uccisione che estraggono i grassi, giallini.
Altra causa e in altre specie è la decomposizione o più in generale il degrado dei pigmenti chimici.

_________________
Riccardo Poloni
La dignità degli elementi
la libertà della poesia,
al di là dei tradimenti degli uomini
è magia, è magia, è magia...
Negrita, Rotolando verso sud


Top
profilo
MessaggioInviato: 05/09/2012, 17:00 
Avatar utente

Iscritto il: 17/02/2009, 0:05
Messaggi: 8521
Località: Isola d'Elba - Arcipelago Toscano
Nome: Leonardo Forbicioni
Julodis ha scritto:
Ma nel caso della femmina di Leonardo credo che sia il colore di cui era già da viva.

Giustissimo Maurizio! :ok:
Non so da cosa dipenda, ma posso assicurare al 100% che nel momento in cui è caduta sull' Apoderus-Ombrello :lov2: aveva esattamente questa colorazione!!
Ho pensato che potesse dipendere dal tipo di alimentazione della larva, visto che era all'interno di una castagneta, se si fosse nutrita delle radici di questa essenza, ricche magari di tannini, l'adulto poteva presentare questa strana colorazione.....ma la mia è solo una ipotesi! :roll:

_________________
"Stay hungry, stay foolish".
Steve Jobs, 2005
___________________
jjuniper8(at)gmail.com
Twitter: @weevil_forbix
cell. 339/5275910
___________________


Top
profilo
Visualizza ultimi messaggi:  Ordina per  
nuovo argomento
rispondi
Pagina 1 di 1 [ 8 messaggi ]

Tutti gli orari sono UTC + 1 ora [ ora legale ]


Chi c’è in linea

Visitano il forum: Nessuno e 1 ospite


Non puoi aprire nuovi argomenti
Non puoi rispondere negli argomenti
Non puoi modificare i tuoi messaggi
Non puoi cancellare i tuoi messaggi
Non puoi inviare allegati

Cerca per:
Vai a: