Benvenuto Ospite

Forum Entomologi Italiani

www.entomologiitaliani.net/forum
 
Oggi è 08/11/2025, 22:35

Tutti gli orari sono UTC + 1 ora [ ora legale ]

Leiopus nebulosus nebulosus (Linnaeus, 1758) Dettagli della specie

2.VI.2013 - ITALIA - Marche - MC, Esanatoglia


nuovo argomento
rispondi
Pagina 1 di 1 [ 3 messaggi ]
Autore Messaggio
MessaggioInviato: 04/06/2013, 19:39 
Avatar utente

Iscritto il: 10/05/2009, 15:30
Messaggi: 7182
Località: Ancona
Nome: Giacomo Giovagnoli
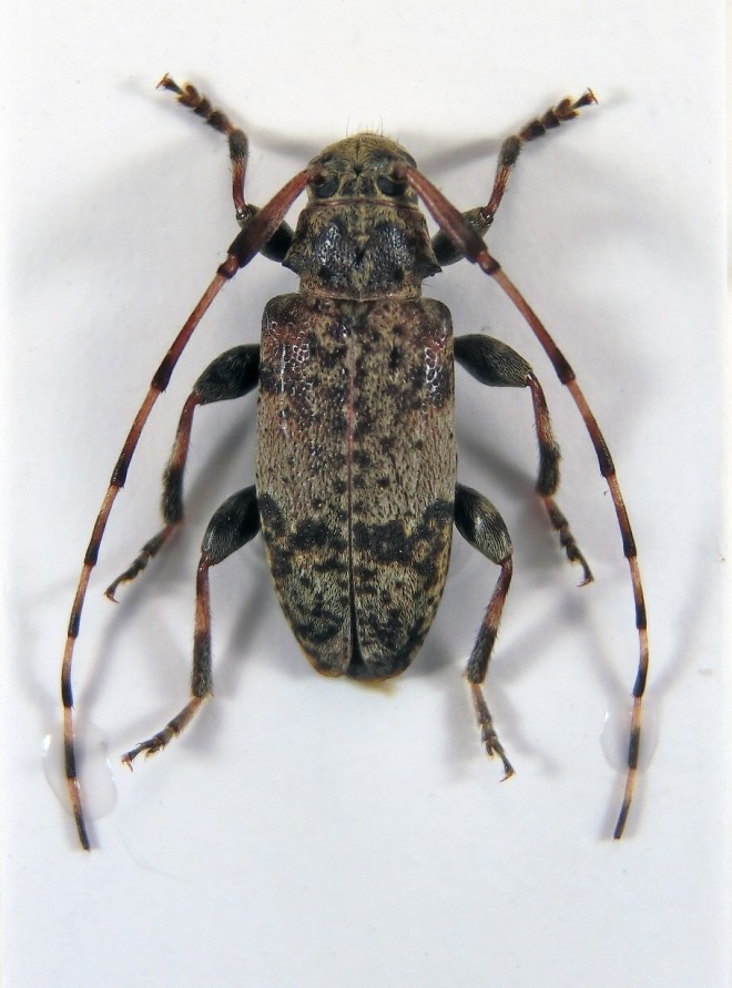
Esanatoglia (Macerata); 02.VI.2013.

E' un Leiopus nebulosus nebulosus (Linnaeus, 1758)?

Dimensioni: 8,5mm
CIMG0636.jpg


CIMG0653.jpg



Ciao :)

_________________
Immagine Giacomo


Top
profilo
MessaggioInviato: 04/06/2013, 21:35 
Avatar utente

Iscritto il: 23/04/2010, 15:29
Messaggi: 604
Località: Morgano (TV)
Nome: Michele Carraretto
:ok:
:hi: michele
PS: ma le antenne sono mozzate o sbaglio?


Top
profilo
MessaggioInviato: 05/06/2013, 13:05 
Avatar utente

Iscritto il: 10/05/2009, 15:30
Messaggi: 7182
Località: Ancona
Nome: Giacomo Giovagnoli
Temo se le sia rotte nel flacone! :(

_________________
Immagine Giacomo


Top
profilo
Visualizza ultimi messaggi:  Ordina per  
nuovo argomento
rispondi
Pagina 1 di 1 [ 3 messaggi ]

Tutti gli orari sono UTC + 1 ora [ ora legale ]


Chi c’è in linea

Visitano il forum: Nessuno e 1 ospite


Non puoi aprire nuovi argomenti
Non puoi rispondere negli argomenti
Non puoi modificare i tuoi messaggi
Non puoi cancellare i tuoi messaggi
Non puoi inviare allegati

Cerca per:
Vai a: