| Autore |
Messaggio |
|
AleP
|
Inviato: 09/06/2013, 17:47 |
|
Iscritto il: 23/09/2009, 15:14 Messaggi: 1394 Località: Verona
Nome: Alessandro Pinna
|
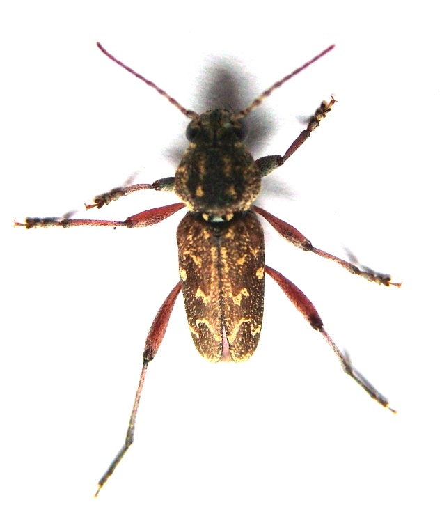
Con enorme gioia oggi ho trovato i primi sfarfallamenti da Pupulus nigra prelevato a Campogalliano! Si tratta di Rusticoclytus rusticus (Linnaeus, 1758). 
_________________ AleP
|
|
| Top |
|
 |
|
Entomarci
|
Inviato: 09/06/2013, 18:18 |
|
Iscritto il: 05/08/2009, 18:02 Messaggi: 2264
Nome: Marcello Benelli
|
|
un bel maschietto!
_________________ Marci "S'i fosse fuoco, arderei 'l mondo, S'i fosse vento, lo tempesterei, S'i fosse acqua, i' l'annegherei s'i fosse dio, mandereil' en profondo" ( Cecco Angiolieri).
|
|
| Top |
|
 |
|
AleP
|
Inviato: 09/06/2013, 21:43 |
|
Iscritto il: 23/09/2009, 15:14 Messaggi: 1394 Località: Verona
Nome: Alessandro Pinna
|
Entomarci ha scritto: un bel maschietto! Si e non é solo, un altro maschio gli fa compagnia! Vediamo se nei prossimi giorni esce qualche femmina che magari li metto al lavoro e li faccio figliare! 
_________________ AleP
|
|
| Top |
|
 |
|
Plagionotus
|
Inviato: 09/06/2013, 22:34 |
|
Iscritto il: 21/05/2009, 14:59 Messaggi: 6994 Località: Parigi
Nome: Riccardo Poloni
|
Molto interessante, se te ne escono altri, sarei interessato ad averne uno o due, ovviamente in cambio di altri di località diverse  . Noi li abbiamo trovati sempre in collina, anche perchè giriamo sempre nei soliti posti 
_________________ Riccardo Poloni La dignità degli elementi la libertà della poesia, al di là dei tradimenti degli uomini è magia, è magia, è magia... Negrita, Rotolando verso sud
|
|
| Top |
|
 |
|
Entomarci
|
Inviato: 10/06/2013, 8:12 |
|
Iscritto il: 05/08/2009, 18:02 Messaggi: 2264
Nome: Marcello Benelli
|
AleP ha scritto: Entomarci ha scritto: un bel maschietto! Si e non é solo, un altro maschio gli fa compagnia! Vediamo se nei prossimi giorni esce qualche femmina che magari li metto al lavoro e li faccio figliare!  Per intanto procurati un paio di grossi rami di pioppo tremolo o bianco dove farli deporre! Devi tagliare un ramo vivo però non roba vecchia! 
_________________ Marci "S'i fosse fuoco, arderei 'l mondo, S'i fosse vento, lo tempesterei, S'i fosse acqua, i' l'annegherei s'i fosse dio, mandereil' en profondo" ( Cecco Angiolieri).
|
|
| Top |
|
 |
|
AleP
|
Inviato: 10/06/2013, 9:15 |
|
Iscritto il: 23/09/2009, 15:14 Messaggi: 1394 Località: Verona
Nome: Alessandro Pinna
|
Entomarci ha scritto: AleP ha scritto: Entomarci ha scritto: un bel maschietto! Si e non é solo, un altro maschio gli fa compagnia! Vediamo se nei prossimi giorni esce qualche femmina che magari li metto al lavoro e li faccio figliare!  Per intanto procurati un paio di grossi rami di pioppo tremolo o bianco dove farli deporre! Devi tagliare un ramo vivo però non roba vecchia!  Si provvederò, devo trovare roba grossa. Secondo te un ramo tagliato 3 mesi fa è utilizzabile? Plagionotus ha scritto: Molto interessante, se te ne escono altri, sarei interessato ad averne uno o due, ovviamente in cambio di altri di località diverse  . Noi li abbiamo trovati sempre in collina, anche perchè giriamo sempre nei soliti posti  Oggi nessuna novità, ma se ne escono altri ti tengo presente! 
_________________ AleP
|
|
| Top |
|
 |
|
AleP
|
Inviato: 11/06/2013, 19:05 |
|
Iscritto il: 23/09/2009, 15:14 Messaggi: 1394 Località: Verona
Nome: Alessandro Pinna
|
Uscite anche due ff, hanno cominciato a fare subito i loro spurcellamenti sul tronchetto fresco fresco di P. nigra che ho messo a disposizione! 
_________________ AleP
|
|
| Top |
|
 |
|