Benvenuto Ospite

Forum Entomologi Italiani

www.entomologiitaliani.net/forum
 
Oggi è 07/11/2025, 16:07

Tutti gli orari sono UTC + 1 ora [ ora legale ]

Agapanthia (Epoptes) villosoviridescens (De Geer, 1775) Dettagli della specie

19.V.2009 - ITALIA - Emilia-Romagna - BO, Sasso Marconi, Palazzo Rossi


nuovo argomento
rispondi
Pagina 1 di 1 [ 14 messaggi ]
Autore Messaggio
MessaggioInviato: 01/02/2010, 20:52 
Avatar utente

Iscritto il: 05/02/2009, 17:25
Messaggi: 4894
Località: Zola Predosa (BO)
Nome: Loris Colacurcio
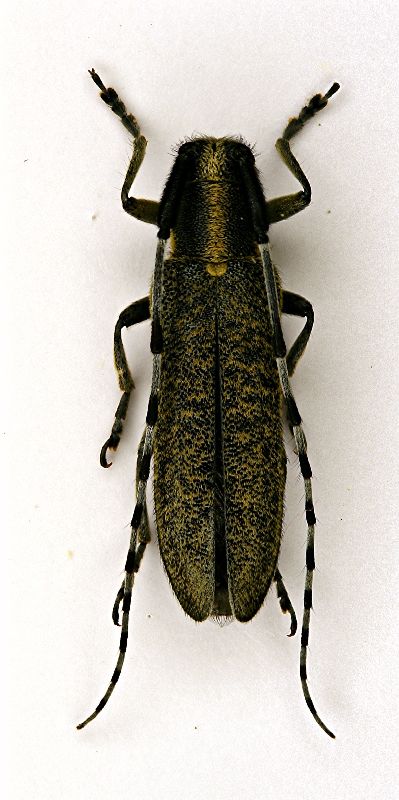
A me dispiace molto disturbare Isotomus...ma guardando la bestiola postata da Notoxus, nonostante non ne avessi prima, mi sovvengono ora dei dubbi :(

Questa è un'Agapanthia villosoviridescens (De Geer, 1775) , nevvero ? :oops:

Qui nel bolognese, non capisco se per mia colpa o meno è una specie estremamente difficile da trovare, tanto che sino ad ora ne ho raccolti solo 2 esemplari.

Sasso Marconi (BO) - Palazzo Rossi, 19.V.2009
Lunghezza: 15 mm.
(Cerambycide) Agapanthia villosoviridescens (De Geer, 1775).JPG


_________________
Loris


Top
profilo
MessaggioInviato: 01/02/2010, 20:58 
Avatar utente

Iscritto il: 04/02/2009, 17:49
Messaggi: 5510
Località: Cagliari
Nome: Daniele Sechi
Anche per me villosoviridescens

_________________
:hi:
Daniele


Top
profilo
MessaggioInviato: 01/02/2010, 21:58 
Avatar utente

Iscritto il: 21/05/2009, 14:59
Messaggi: 6994
Località: Parigi
Nome: Riccardo Poloni
al 100%, la distingui con molta sicurezza oltre per l'aspetto generale, per i ciuffi di peli, tipo Rosalia alpina che trovi nella sicula malmerendii sul terzo e quarto articolo. Qua nel modenese è molto comune, anche se molto meno della cardui, diciamo, in un prato favoloso che ho scoperto l'anno scorso, che non tagliano dal 2000 perchè è un sito archeologico, in rapporto 20:1, devi sfalciare sulle composite, soprattutto carduacee, ma si trova anche a vista, e soprattutto non rischi che ti saltino via quando il retino sbatte contro al massiccio stelo del cardo, non sono Gianfranco ma direi che dovrei aver azzeccato almeno la determinazione :D :)

_________________
Riccardo Poloni
La dignità degli elementi
la libertà della poesia,
al di là dei tradimenti degli uomini
è magia, è magia, è magia...
Negrita, Rotolando verso sud


Top
profilo
MessaggioInviato: 01/02/2010, 22:09 
Avatar utente

Iscritto il: 05/02/2009, 17:25
Messaggi: 4894
Località: Zola Predosa (BO)
Nome: Loris Colacurcio
Questa conferma mi rincuora alquanto. Altrimenti avrei dovuto davvero rimettere in discussione tante cose.
Spero solo che adesso non arrivi la mazzata che mi contraddica....

:hi:

_________________
Loris


Top
profilo
MessaggioInviato: 02/02/2010, 10:23 
Avatar utente

Iscritto il: 05/09/2009, 7:56
Messaggi: 3445
Località: Cesena
Nome: Gianfranco Sama
Nessuna mazzata; è lei al 200% - Normalmente bastano le antenne grigie per caratterizzare questa specie fra le Agapanthia italiane. Ma il carattere dei ciuffi antennali indicato da Dado è perfetto.
E' specie sciafila (alla lettera, predilige ambienti ombrosi) montana e submontana, ma in Romagna l'ho trovata anche in pianura. Oltre che sulle carduacee (Asteraceae per essere più precisi) io la trovo (o la trovavo) spesso sulle ortiche. (Dado, cosa intendi per Composite ?).
In Italia è nota di quasi tutte le regioni tranne Molise (se non mi sono perso qualche aggiornamento), Puglia e Sardegna. Nelle regioni sud orientali (Puglia, Basilicata e Calabra Jonica) viene (stranamente) vicariata quasi totalmente (per esempio in Puglia) da A. cynarae che qui è arrivata attraverso il ponte trans-jonico.

_________________
Gianfranco Sama

"Benedetto colui che ti aiuta a correggere i tuoi errori invece di scagliarteli contro"
___________________________________
Gershom Sholem


Top
profilo
MessaggioInviato: 03/02/2010, 15:44 
Avatar utente

Iscritto il: 21/05/2009, 14:59
Messaggi: 6994
Località: Parigi
Nome: Riccardo Poloni
mi rincuora che Gianfranco abbia confermato, io per Compositae intendevo piante tipo i cardi :oops: , l'ortica me l'aveva indicata anche Mauro, ma nel luogo qui a Casinalbo dove l'ho trovata c'erano un sacco di ortiche ma mai un'Agapanthia cynarae :cry: , ma sicuramente sono io che non so cercare :mrgreen: , al più presto guardo su un libro di botanica, se ce l'ho in casa :)

_________________
Riccardo Poloni
La dignità degli elementi
la libertà della poesia,
al di là dei tradimenti degli uomini
è magia, è magia, è magia...
Negrita, Rotolando verso sud


Top
profilo
MessaggioInviato: 03/02/2010, 15:48 
Avatar utente

Iscritto il: 30/12/2009, 22:20
Messaggi: 31564
Località: Roma
Nome: Maurizio Gigli
Composite o Asteracee, ma intendevate comunque la stessa cosa.
Anche qui intorno a Roma si trova anche sull'ortica, anzi soprattutto su questa pianta.

_________________
Maurizio Gigli
http://utenti.romascuola.net/bups
http://bup.xoom.it/


Top
profilo
MessaggioInviato: 03/02/2010, 16:40 
Avatar utente

Iscritto il: 05/09/2009, 7:56
Messaggi: 3445
Località: Cesena
Nome: Gianfranco Sama
dadopimpi ha scritto:
l'ortica me l'aveva indicata anche Mauro, ma nel luogo qui a Casinalbo dove l'ho trovata c'erano un sacco di ortiche ma mai un'Agapanthia cynarae :cry: , ma sicuramente sono io che non so cercare :mrgreen: ,

Asteraceae è il nome attualmente ritenuto corretto.
Hai voglia a cercare la A. cynarare sulle ortiche del Modenese. :lov1: Ma forse il tuo è un lapsus (intendevi scrivere A. villosoviridescens).
Agapanthia cynarae è presente in Italia solo in Venezia Giulia, Puglia, Basilicata e Calabria.

_________________
Gianfranco Sama

"Benedetto colui che ti aiuta a correggere i tuoi errori invece di scagliarteli contro"
___________________________________
Gershom Sholem


Top
profilo
MessaggioInviato: 03/02/2010, 17:12 
Avatar utente

Iscritto il: 05/09/2009, 7:56
Messaggi: 3445
Località: Cesena
Nome: Gianfranco Sama
Isotomus ha scritto:
Hai voglia a cercare la A. cynarare sulle ortiche del Modenese. :lov1: Ma forse il tuo è un lapsus (intendevi scrivere A. villosoviridescens).

Anche il mio è un lapsus. Intendevo scrivere A. cynarae. Sorry

_________________
Gianfranco Sama

"Benedetto colui che ti aiuta a correggere i tuoi errori invece di scagliarteli contro"
___________________________________
Gershom Sholem


Top
profilo
MessaggioInviato: 03/02/2010, 17:33 
Avatar utente

Iscritto il: 04/02/2009, 17:49
Messaggi: 5510
Località: Cagliari
Nome: Daniele Sechi
Isotomus ha scritto:
Isotomus ha scritto:
Hai voglia a cercare la A. cynarare sulle ortiche del Modenese. :lov1: Ma forse il tuo è un lapsus (intendevi scrivere A. villosoviridescens).

Anche il mio è un lapsus. Intendevo scrivere A. cynarae. Sorry


Gianfranco, se non erro, abbiamo 60 minuti di tempo per correggere i nostri messaggi... ;)

_________________
:hi:
Daniele


Top
profilo
MessaggioInviato: 03/02/2010, 18:42 
Avatar utente

Iscritto il: 21/05/2009, 14:59
Messaggi: 6994
Località: Parigi
Nome: Riccardo Poloni
sì, intendevo villosoviridescens :oops: , credo che neanche tu riusciresti a trovarne una :gh:, per Compositae intendevo proprio quel gruppo che adesso si vede che è diventato Asteraceae, che dovrebbe comprendere i Cardi, l'Achillea, varie specie di margherite etc.

_________________
Riccardo Poloni
La dignità degli elementi
la libertà della poesia,
al di là dei tradimenti degli uomini
è magia, è magia, è magia...
Negrita, Rotolando verso sud


Top
profilo
MessaggioInviato: 03/02/2010, 19:47 
Avatar utente

Iscritto il: 30/12/2009, 22:20
Messaggi: 31564
Località: Roma
Nome: Maurizio Gigli
dadopimpi ha scritto:
per Compositae intendevo proprio quel gruppo che adesso si vede che è diventato Asteraceae, che dovrebbe comprendere i Cardi, l'Achillea, varie specie di margherite etc.


I botanici ormai da diversi anni si sono uniformati alle regole per assegnare i nomi delle famiglie, derivandole da un genere tipo, quindi hanno dovuto cambiare tutti i nomi ti Composite, Umbellifere, Crucifere, Cupulifere, ecc. in Asteraceae, Apiaceae, Brassicaceae, Fagaceae, ecc., solo che spesso tornano fuori i vecchi nomi (molto spesso anche nei lavori di entomologia), anche su questo forum. Basta capirsi :)

_________________
Maurizio Gigli
http://utenti.romascuola.net/bups
http://bup.xoom.it/


Top
profilo
MessaggioInviato: 03/02/2010, 20:02 
Amministratore
Avatar utente

Iscritto il: 06/02/2009, 9:16
Messaggi: 6919
Località: Portici (Napoli)
Nome: Claudio Labriola
Buonasera a tutti,
approfitto di questa discussione per inserire una foto in natura fatta ad un esemplare di Agapanthia villosoviridescens (De Geer, 1775) l'estate scorsa o almeno ciò che io ho determinato come tale :D così me ne date anche conferma ;)

Laceno - Avellino 05 luglio 2009
Agapanthia_villosoviridescens_7399.jpg


_________________
Immagine Claudio Labriola
Buona Vita!!!!


Top
profilo
MessaggioInviato: 03/02/2010, 20:05 
Avatar utente

Iscritto il: 05/09/2009, 7:56
Messaggi: 3445
Località: Cesena
Nome: Gianfranco Sama
Giusto per essere pignoli
Agapanthia (Epoptes) villosoviridescens (De Geer, 1775) :ok:

_________________
Gianfranco Sama

"Benedetto colui che ti aiuta a correggere i tuoi errori invece di scagliarteli contro"
___________________________________
Gershom Sholem


Top
profilo
Visualizza ultimi messaggi:  Ordina per  
nuovo argomento
rispondi
Pagina 1 di 1 [ 14 messaggi ]

Tutti gli orari sono UTC + 1 ora [ ora legale ]


Chi c’è in linea

Visitano il forum: Nessuno e 3 ospiti


Non puoi aprire nuovi argomenti
Non puoi rispondere negli argomenti
Non puoi modificare i tuoi messaggi
Non puoi cancellare i tuoi messaggi
Non puoi inviare allegati

Cerca per:
Vai a: