Benvenuto Ospite

Forum Entomologi Italiani

www.entomologiitaliani.net/forum
 
Oggi è 09/11/2025, 12:59

Tutti gli orari sono UTC + 1 ora [ ora legale ]

Vesperus strepens (Fabricius, 1792) Dettagli della specie

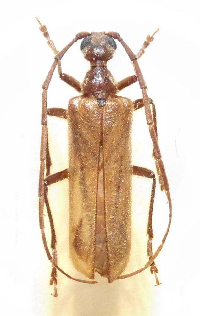
1.V.2003 - ITALIA - Liguria - IM, Dolceacqua


nuovo argomento
rispondi
Pagina 1 di 1 [ 10 messaggi ]
Autore Messaggio
MessaggioInviato: 13/08/2014, 10:38 
 

Iscritto il: 08/12/2013, 1:52
Messaggi: 7534
Località: Bagnacavallo (RA)
Nome: Giorgio Pezzi
Malgrado le ricerche anche su FEI non ho capito molto come vanno interpretati questi 3 exx che posto in successione e penso essere dello stesso "tipo" malgrado le differenti epoche di raccolta. Grazie. :hi: :hi:
1.V.2003, Dolceacqua (IM), 500 m
vesp dolce.jpg


8.VI.2012, Colle Scarassan (sopra Gola di Gouta, IM), 1225 m
vesper scarass.jpg


20.VII.2014, passo Muratone (IM), 1200 m
vesper murat.jpg



Top
profilo
 Oggetto del messaggio: Re: Vesperus liguria occidentale
MessaggioInviato: 13/08/2014, 13:42 
 

Iscritto il: 13/09/2009, 18:04
Messaggi: 881
Nome: Pierpaolo Rapuzzi
Ciao,
sono tutti Vesperus strepens.
Pierpaolo


Top
profilo
MessaggioInviato: 14/08/2014, 19:20 
 

Iscritto il: 08/12/2013, 1:52
Messaggi: 7534
Località: Bagnacavallo (RA)
Nome: Giorgio Pezzi
Grazie, come supponevo, ma ci sono opinioni "strane" circa le epoche di comparsa e volevo conferma.
:birra:


Top
profilo
MessaggioInviato: 14/08/2014, 20:42 
Avatar utente

Iscritto il: 19/06/2012, 14:35
Messaggi: 5637
Località: Alfonsine (RA)
Nome: Marco Villani
In effetti sono esemplari tardivi, dato che la specie compare normalmente a Febbraio-Marzo.


Top
profilo
MessaggioInviato: 15/08/2014, 10:55 
Avatar utente

Iscritto il: 05/08/2009, 18:02
Messaggi: 2264
Nome: Marcello Benelli
L'unico vesperus strepens che ho trovato nella mia vita era un maschio raccolto nelle Langhe in Febbraio durante un giro per cantine; era semischiacciato vicino ad un capannone stipato di casse di nebbiolo...

_________________
Marci
"S'i fosse fuoco, arderei 'l mondo,
S'i fosse vento, lo tempesterei,
S'i fosse acqua, i' l'annegherei
s'i fosse dio, mandereil' en profondo" ( Cecco Angiolieri).


Top
profilo
MessaggioInviato: 15/08/2014, 17:13 
Avatar utente

Iscritto il: 06/02/2009, 9:07
Messaggi: 1486
Località: Val Camonica (BS)
Nome: Davide Pedersoli
se l'insetto girava per cantine era un Vesperus stropens allora..... ahahah
PS: chi è pratico di dialetto bresciano e bergamasco capisce la battutaccia :D

_________________
Pedux Camuno


Top
profilo
MessaggioInviato: 16/08/2014, 9:29 
 

Iscritto il: 08/12/2013, 1:52
Messaggi: 7534
Località: Bagnacavallo (RA)
Nome: Giorgio Pezzi
Come il luridus, anche questi vengono alla luce bianca in volo. L'ultimo ex era invece su uno stelo d'erba. Non pensavo fosse raro da trovare. Ne ho tenuto uno per località, ma ne ho visti altri.
:hi:


Top
profilo
MessaggioInviato: 17/08/2014, 16:04 
Avatar utente

Iscritto il: 21/05/2009, 14:59
Messaggi: 6994
Località: Parigi
Nome: Riccardo Poloni
Ho tentato varie volte di raccogliere questa bestia nelle langhe, ma non essendo patentato fino all'ultima volta che ci sono andato, non mi è mai riuscito di trovarlo perchè sta leggermente più a est di dove vado io di solito (Castagnole Lanze). Sarebbe però utile quale sia il periodo in cui sono stati raccolti più esemplari.

_________________
Riccardo Poloni
La dignità degli elementi
la libertà della poesia,
al di là dei tradimenti degli uomini
è magia, è magia, è magia...
Negrita, Rotolando verso sud


Top
profilo
MessaggioInviato: 17/08/2014, 17:05 
Avatar utente

Iscritto il: 10/05/2010, 22:31
Messaggi: 4371
Località: Gavorrano (GR)
Nome: marco bastianini
Plagionotus ha scritto:
perchè sta leggermente più a est di dove vado io di solito (Castagnole Lanze)

I tre esemplari di questo post sono dell'imperiese;gli altri due presenti sul forum sono del cuneese, quindi immagino che volevi dire ...ovest. :hi:

_________________
:to: Marco
"Le foreste a precedere le civiltà, i deserti a seguire."
François-René de Chateaubriand


Top
profilo
MessaggioInviato: 17/08/2014, 18:32 
Avatar utente

Iscritto il: 21/05/2009, 14:59
Messaggi: 6994
Località: Parigi
Nome: Riccardo Poloni
Ovviamente :lol1: :lol1: . è la matematica che fa male :twisted: :gh:

_________________
Riccardo Poloni
La dignità degli elementi
la libertà della poesia,
al di là dei tradimenti degli uomini
è magia, è magia, è magia...
Negrita, Rotolando verso sud


Top
profilo
Visualizza ultimi messaggi:  Ordina per  
nuovo argomento
rispondi
Pagina 1 di 1 [ 10 messaggi ]

Tutti gli orari sono UTC + 1 ora [ ora legale ]


Chi c’è in linea

Visitano il forum: Nessuno e 1 ospite


Non puoi aprire nuovi argomenti
Non puoi rispondere negli argomenti
Non puoi modificare i tuoi messaggi
Non puoi cancellare i tuoi messaggi
Non puoi inviare allegati

Cerca per:
Vai a: