| Autore | 
		Messaggio | 
	
	
			| 
				
				StagBeetle
			 | 
			
				
				
				
					 Inviato: 13/09/2014, 12:01   | 
				 
				 
			 | 
		
		
			
				
				
					 Iscritto il: 10/05/2009, 15:30 Messaggi: 7182 Località: Ancona
						 Nome: Giacomo Giovagnoli
					
				
			 | 
			
				
				
					
					
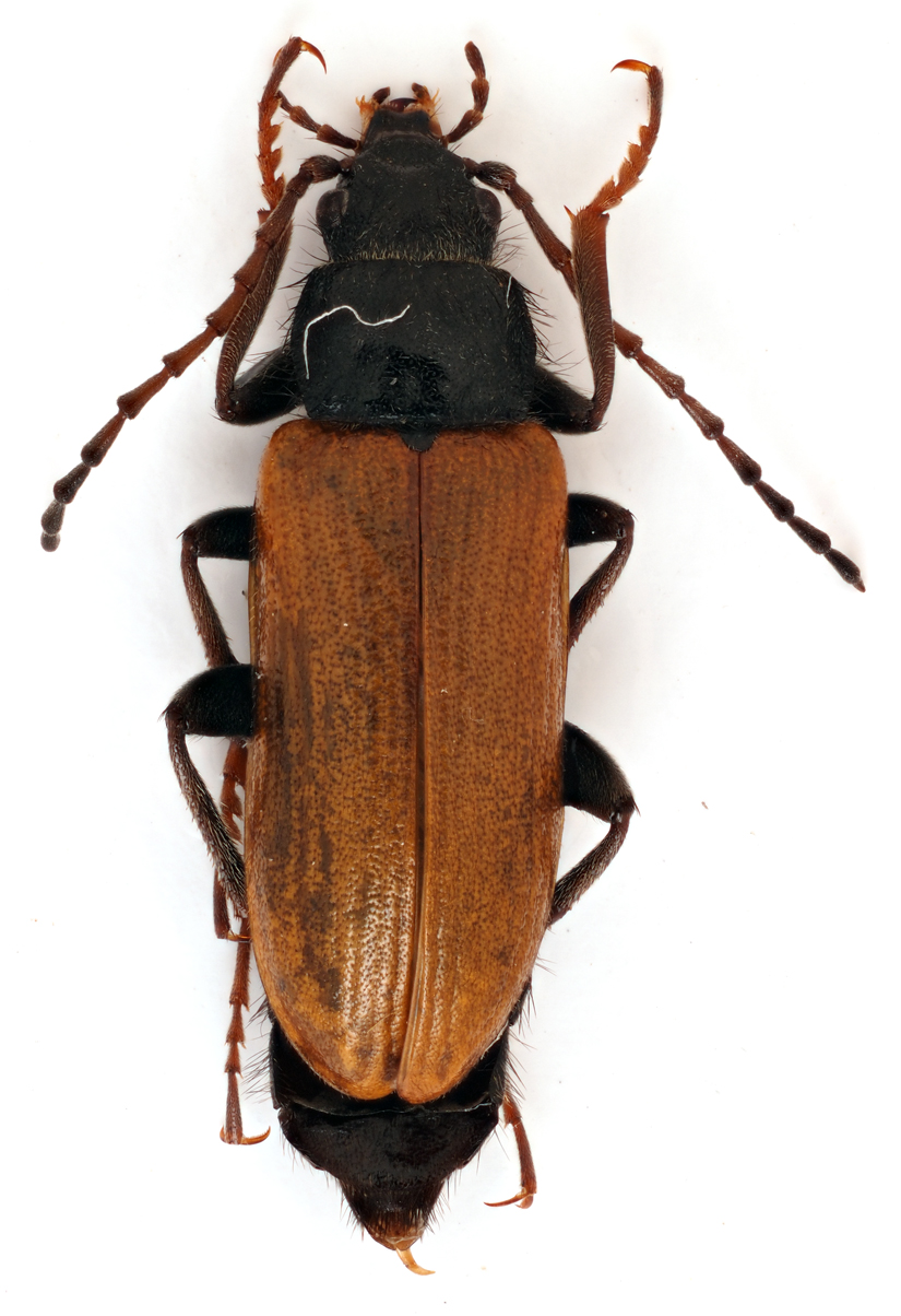
						Fonte Vetica (Campo Imperatore, L'Aquila); 05.VII.2014.    Alessio mi aveva detto il nome... ma mi sono scordato...     [grazie zio per le foto!!!    ] Dimensioni: 10mm Ciao    
					
						_________________   Giacomo  
					
  
					 | 
				 
				 
			 | 
		
		
			| Top | 
			
				
					
				
				
				
				 
				
				 
			 | 
	
		
		
			  | 
		
	
			| 
				
				Daniele Maccapani
			 | 
			
				
				
				
					 Inviato: 13/09/2014, 12:11   | 
				 
				 
			 | 
		
		
			
				
				
					 Iscritto il: 09/06/2012, 20:57 Messaggi: 4282 Località: Mesola (FE)
						 Nome: Daniele Maccapani
					
				
			 | 
			
				
				
					
					
						Vedo che hai risolto egregiamente l'eterno dilemma sul preparare con le antenne sopra o sotto le zampe!       
					
						_________________ "Lasciate questo mondo un po' migliore di come lo avete trovato"   (Sir Robert Baden Powell)   Daniele 
					
  
					 | 
				 
				 
			 | 
		
		
			| Top | 
			
				
					
				
				
				
				 
				
				 
			 | 
	
		
		
			  | 
		
	
			| 
				
				StagBeetle
			 | 
			
				
				
				
					 Inviato: 13/09/2014, 12:23   | 
				 
				 
			 | 
		
		
			
				
				
					 Iscritto il: 10/05/2009, 15:30 Messaggi: 7182 Località: Ancona
						 Nome: Giacomo Giovagnoli
					
				
			 | 
			
				
				
					
					
						
					
						_________________   Giacomo  
					
  
					 | 
				 
				 
			 | 
		
		
			| Top | 
			
				
					
				
				
				
				 
				
				 
			 | 
	
		
		
			  | 
		
	
			| 
				
				Daniele Maccapani
			 | 
			
				
				
				
					 Inviato: 13/09/2014, 18:24   | 
				 
				 
			 | 
		
		
			
				
				
					 Iscritto il: 09/06/2012, 20:57 Messaggi: 4282 Località: Mesola (FE)
						 Nome: Daniele Maccapani
					
				
			 | 
			
				
				
					
					
						StagBeetle ha scritto: Diciamo che non ho tempo per preparare... Diciamo che ti capisco bene...          
					
						_________________ "Lasciate questo mondo un po' migliore di come lo avete trovato"   (Sir Robert Baden Powell)   Daniele 
					
  
					 | 
				 
				 
			 | 
		
		
			| Top | 
			
				
					
				
				
				
				 
				
				 
			 | 
	
		
		
			  | 
		
	
			| 
				
				alebisca
			 | 
			
				
				
				
					 Inviato: 14/09/2014, 9:01   | 
				 
				 
			 | 
		
		
			
				
				
					 Iscritto il: 02/12/2012, 18:53 Messaggi: 204 Località: roma
						 Nome: alessandro bruno biscaccianti
					
				
			 | 
			
				
				
					| 
					
						 ciao giacomo, è un Omophlus picipes, specie non molto frequente, spesso associato sulle stesse piante ad altre specie molto simili... se ne hai raccolti in serie controlla bene tutti gli exx. a presto, ale 
					
  
					 | 
				 
				 
			 | 
		
		
			| Top | 
			
				
					
				
				
				
				 
				
				 
			 | 
	
		
		
			  | 
		
	
			| 
				
				Honza
			 | 
			
				
				
				
					 Inviato: 14/09/2014, 10:37   | 
				 
				 
			 | 
		
		
			
				
				
					 Iscritto il: 09/11/2009, 14:12 Messaggi: 5145 Località: Hradec Kralove,Czech republik
						 Nome: Jan Matějíček
					
				
			 | 
			
				
				
					| 
					
						
					
						  _________________ Research Fields Taxonomy, ecology, biomonitoring , faunistic of Staphylinidae 
					
  
					 | 
				 
				 
			 | 
		
		
			| Top | 
			
				
					
				
				
				
				 
				
				 
			 | 
	
		
		
			  | 
		
	
			| 
				
				Alessio89
			 | 
			
				
				
				
					 Inviato: 14/09/2014, 18:28   | 
				 
				 
			 | 
		
		
			
				
				
					 Iscritto il: 23/06/2010, 19:05 Messaggi: 2588 Località: Pescara
						 Nome: Alessio Morelli
					
				
			 | 
			
				
				
					
					
						Ciao Alessandro     , se non erro quelli che ti ho portato in bustina, raccolti durante la stessa uscita con Giacomo, me li avevi determinati come  O. rufitarsis, mi sbaglio?  
					
  
					 | 
				 
				 
			 | 
		
		
			| Top | 
			
				
					
				
				
				
				 
				
				 
			 | 
	
		
		
			  | 
		
	
			| 
				
				alebisca
			 | 
			
				
				
				
					 Inviato: 14/09/2014, 22:07   | 
				 
				 
			 | 
		
		
			
				
				
					 Iscritto il: 02/12/2012, 18:53 Messaggi: 204 Località: roma
						 Nome: alessandro bruno biscaccianti
					
				
			 | 
			
				
				
					| 
					
						 ha ragione alessio, chiedo venia per il lapsus... in effetti quando ho visto il post ero rimasto un po' interdetto per la colorazione che è tipica di O. picipes per cui ho ricontrollato i caratteri e i miei esemplari ed ero giunto alla conclusione che si trattava di un esemplare insolito di O. rufitarsis... ma purtroppo mi è rimasto in testa il picipes e così ho scritto senza rileggermi...! ad ogni modo un carattere sicuro (che però dalla foto non si capisce) è la presenza di setole erette nere anche sul disco del pronoto in rufitarsis, assenti in picipes. normalmente O. rufitarsis ha appendici nere eccetto i tarsi, qualche volta, specie nell'appennino centrale, si trovano exx con colorazione appena rossiccia dei primi articoli antennali e dell'apice delle tibie anteriori, che sembra però insolitamente estesa ed evidente in questo ex... se ne avete altri con questa colorazione avrei piacere di controllarli. aggiungo che il nome attualmente valido per O. rufitarsis sarebbe O. pubescens: non ho ancora approfondito la questione, che è un po' articolata, ma sembra invece che il nome pubescens di Linnaeus sia un nomen oblitum e quindi resterebbe valido rufitarsis (nomen protectum). ma non è detto perché la cosa è più complessa perché esiste anche un altro nome forse applicabile, comunque tornerò a breve sull'argomento, nel frattempo uso il nome più noto per questa specie in attesa di definire e pubblicare la nomenclatura corretta da applicare. a presto, ale 
					
  
					 | 
				 
				 
			 | 
		
		
			| Top | 
			
				
					
				
				
				
				 
				
				 
			 | 
	
		
		
			  | 
		
	
			| 
				
				Alessio89
			 | 
			
				
				
				
					 Inviato: 14/09/2014, 22:30   | 
				 
				 
			 | 
		
		
			
				
				
					 Iscritto il: 23/06/2010, 19:05 Messaggi: 2588 Località: Pescara
						 Nome: Alessio Morelli
					
				
			 | 
			
				
				
					
					
						alebisca ha scritto: ha ragione alessio, chiedo venia per il lapsus... in effetti quando ho visto il post ero rimasto un po' interdetto per la colorazione che è tipica di O. picipes per cui ho ricontrollato i caratteri e i miei esemplari ed ero giunto alla conclusione che si trattava di un esemplare insolito di O. rufitarsis... ma purtroppo mi è rimasto in testa il picipes e così ho scritto senza rileggermi...! Immaginavo     
					
  
					 | 
				 
				 
			 | 
		
		
			| Top | 
			
				
					
				
				
				
				 
				
				 
			 | 
	
		
		
			  | 
		
	
			| 
				
				alebisca
			 | 
			
				
				
				
					 Inviato: 15/09/2014, 19:20   | 
				 
				 
			 | 
		
		
			
				
				
					 Iscritto il: 02/12/2012, 18:53 Messaggi: 204 Località: roma
						 Nome: alessandro bruno biscaccianti
					
				
			 | 
			
				
				
					| 
					
						 si alessio, stamattina poi ho rivisto anche i tuoi esemplari che mi hai lasciato e infatti hanno le appendici nere. fra l'altro O. picipes e O. rufitarsis sono appunto due specie che talvolta convivono sugli stessi fiori, però non credo si ibridino. tu ne hai raccolti esemplari con appendici rossicce? 
					
  
					 | 
				 
				 
			 | 
		
		
			| Top | 
			
				
					
				
				
				
				 
				
				 
			 | 
	
		
		
			  | 
		
	
			| 
				
				Alessio89
			 | 
			
				
				
				
					 Inviato: 15/09/2014, 20:30   | 
				 
				 
			 | 
		
		
			
				
				
					 Iscritto il: 23/06/2010, 19:05 Messaggi: 2588 Località: Pescara
						 Nome: Alessio Morelli
					
				
			 | 
			
				
				
					| 
					
						 Non conoscendo i caratteri che permettono di dividere le due specie ho dato per scontato che fossero tutti uguali. Ho controllato in collezione e devo dire che anche fra i miei ce n'è uno con le antenne rossicce, dallo scapo fino all'ottavo antennomero come quello di Giacomo. Pure le protibie sembrano abbastanza chiare verso l'apice. I peli sul disco del pronoto sono eretti in tutti gli individui.
  Ho notato però che alcune parti delle appendici, quali tibie e antenne, non sono mai completamente nere, bensì di colore bruno scuro. 
					
  
					 | 
				 
				 
			 | 
		
		
			| Top | 
			
				
					
				
				
				
				 
				
				 
			 | 
	
		
		
			  | 
		
	
			| 
				
				alebisca
			 | 
			
				
				
				
					 Inviato: 16/09/2014, 18:59   | 
				 
				 
			 | 
		
		
			
				
				
					 Iscritto il: 02/12/2012, 18:53 Messaggi: 204 Località: roma
						 Nome: alessandro bruno biscaccianti
					
				
			 | 
			
				
				
					| 
					
						 no infatti dipende dal tipo e dall'intensità della luce, comunque in genere non così chiare. 
					
  
					 | 
				 
				 
			 | 
		
		
			| Top | 
			
				
					
				
				
				
				 
				
				 
			 | 
	
		
		
			  | 
		
	
	
		 |