Benvenuto Ospite

Forum Entomologi Italiani

www.entomologiitaliani.net/forum
 
Oggi è 08/11/2025, 18:49

Tutti gli orari sono UTC + 1 ora [ ora legale ]

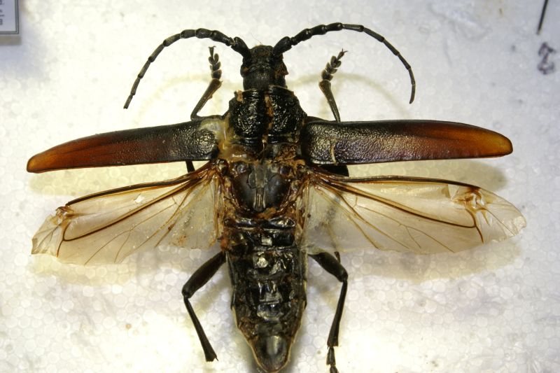
Cerambyx miles Bonelli, 1812 Dettagli della specie

14.VII.1995 - ITALIA - Toscana - PO, Vernio


nuovo argomento
rispondi
Pagina 1 di 1 [ 9 messaggi ]
Autore Messaggio
MessaggioInviato: 25/11/2014, 17:46 
 

Iscritto il: 09/08/2013, 15:35
Messaggi: 1260
Nome: Andrea marata
Salve,
...giusto?.. questo era vecchio e non volevo buttarlo... è incollato da fare schifo ma è “un ricordo”... ;)
Grazie
Andrea :hi:
Dimensioni: 4,5 cm


DSC05576.jpg

DSC05575.jpg

DSC05574.jpg

DSC05573.jpg

DSC05572.jpg

Top
profilo
 Oggetto del messaggio: Re: Cerambyx cerdo?
MessaggioInviato: 25/11/2014, 18:02 
Avatar utente

Iscritto il: 30/12/2009, 22:20
Messaggi: 31564
Località: Roma
Nome: Maurizio Gigli
Ho l'impressione che sia più un C. welensii, ma tra il protorace spaccato e la preparazione particolare, non è che si capisca molto.

Ma li preparavi tutti ad ali aperte?

_________________
Maurizio Gigli
http://utenti.romascuola.net/bups
http://bup.xoom.it/


Top
profilo
 Oggetto del messaggio: Re: Cerambyx cerdo?
MessaggioInviato: 25/11/2014, 18:49 
 

Iscritto il: 09/08/2013, 15:35
Messaggi: 1260
Nome: Andrea marata
...noo... ne ho solo 3 ad ali aperte :lol: speravo in Cerambyx cerdo perché gli apici delle elitre sono rossastre :(
Grazie
Andrea :hi:


Top
profilo
 Oggetto del messaggio: Re: Cerambyx cerdo?
MessaggioInviato: 25/11/2014, 18:59 
 

Iscritto il: 13/09/2009, 18:04
Messaggi: 881
Nome: Pierpaolo Rapuzzi
Ciao Andrea,
messo così non è facile, è abbastanza una schi..zza. Ad ogni modo si tratta di una femmina di Cerambyx miles.
Ciao
Pierpaolo


Top
profilo
 Oggetto del messaggio: Re: Cerambyx cerdo?
MessaggioInviato: 25/11/2014, 20:00 
 

Iscritto il: 09/08/2013, 15:35
Messaggi: 1260
Nome: Andrea marata
Grazie
Andrea :hi:


Top
profilo
 Oggetto del messaggio: Re: Cerambyx cerdo?
MessaggioInviato: 25/11/2014, 20:17 
Avatar utente

Iscritto il: 30/12/2009, 22:20
Messaggi: 31564
Località: Roma
Nome: Maurizio Gigli
Xylosteus ha scritto:
Ad ogni modo si tratta di una femmina di Cerambyx miles.

Che io ancora non sono riuscito a trovare, almeno in Italia!

_________________
Maurizio Gigli
http://utenti.romascuola.net/bups
http://bup.xoom.it/


Top
profilo
 Oggetto del messaggio: Re: Cerambyx cerdo?
MessaggioInviato: 25/11/2014, 21:18 
Avatar utente

Iscritto il: 21/05/2009, 14:59
Messaggi: 6994
Località: Parigi
Nome: Riccardo Poloni
Sì, ti conviene tenerlo perchè anche se è messo maluccio è un bel reperto. In Italia non è per niente comune.

_________________
Riccardo Poloni
La dignità degli elementi
la libertà della poesia,
al di là dei tradimenti degli uomini
è magia, è magia, è magia...
Negrita, Rotolando verso sud


Top
profilo
MessaggioInviato: 25/11/2014, 22:48 
Avatar utente

Iscritto il: 05/08/2009, 18:02
Messaggi: 2264
Nome: Marcello Benelli
L'unico miles italiano che ho preso è stato nel 2013 trappolando nelle Marche, alle pendici del monte Nerone!
È sicuramente più comune in Grecia...

_________________
Marci
"S'i fosse fuoco, arderei 'l mondo,
S'i fosse vento, lo tempesterei,
S'i fosse acqua, i' l'annegherei
s'i fosse dio, mandereil' en profondo" ( Cecco Angiolieri).


Top
profilo
MessaggioInviato: 26/11/2014, 0:28 
 

Iscritto il: 09/08/2013, 15:35
Messaggi: 1260
Nome: Andrea marata
L'ho preso a 19 anni ma non ricordo più come.. Comunque allora di insetti ce ne erano di più, anche se dove abitano i miei, sull'Appennino tosco-emiliano a 500 metri di altitudine, c'è sempre da divertirsi le poche volte che vado a trovarli..
Grazie
Andrea :hi:


Top
profilo
Visualizza ultimi messaggi:  Ordina per  
nuovo argomento
rispondi
Pagina 1 di 1 [ 9 messaggi ]

Tutti gli orari sono UTC + 1 ora [ ora legale ]


Chi c’è in linea

Visitano il forum: Nessuno e 1 ospite


Non puoi aprire nuovi argomenti
Non puoi rispondere negli argomenti
Non puoi modificare i tuoi messaggi
Non puoi cancellare i tuoi messaggi
Non puoi inviare allegati

Cerca per:
Vai a: