Benvenuto Ospite

Forum Entomologi Italiani

www.entomologiitaliani.net/forum
 
Oggi è 09/11/2025, 11:41

Tutti gli orari sono UTC + 1 ora [ ora legale ]

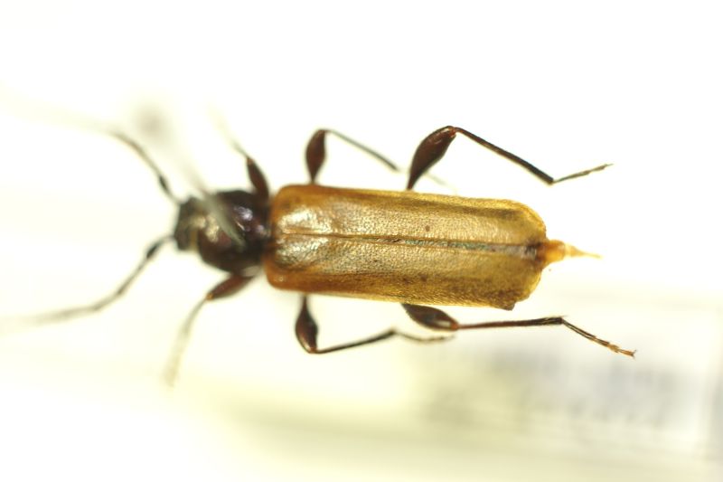
Phymatodes testaceus (Linnaeus, 1758) Dettagli della specie

25.VI.1994 - ITALIA - Toscana - PO, Il Cerro


nuovo argomento
rispondi
Pagina 1 di 1 [ 3 messaggi ]
Autore Messaggio
MessaggioInviato: 05/12/2014, 10:26 
 

Iscritto il: 09/08/2013, 15:35
Messaggi: 1260
Nome: Andrea marata
Salve,
...sono al buio.. aiutino?
Grazie
Andrea :hi:
Dimensioni: 1,1 cm


DSC05708.jpg

DSC05707.jpg

DSC05706.jpg

DSC05705.jpg

Top
profilo
 Oggetto del messaggio: Re: Cerambicidae chi?
MessaggioInviato: 05/12/2014, 10:57 
Avatar utente

Iscritto il: 12/07/2010, 15:33
Messaggi: 2313
Località: Casale Marittimo (PI)
Nome: Stefano Cosimi
dovrebbe essere Phymatodes testaceus (Linnaeus, 1758)

_________________
Stefano Cosimi


Top
profilo
MessaggioInviato: 05/12/2014, 13:48 
 

Iscritto il: 09/08/2013, 15:35
Messaggi: 1260
Nome: Andrea marata
Grazie
Andrea :hi:


Top
profilo
Visualizza ultimi messaggi:  Ordina per  
nuovo argomento
rispondi
Pagina 1 di 1 [ 3 messaggi ]

Tutti gli orari sono UTC + 1 ora [ ora legale ]


Chi c’è in linea

Visitano il forum: Nessuno e 1 ospite


Non puoi aprire nuovi argomenti
Non puoi rispondere negli argomenti
Non puoi modificare i tuoi messaggi
Non puoi cancellare i tuoi messaggi
Non puoi inviare allegati

Cerca per:
Vai a: