Benvenuto Ospite

Forum Entomologi Italiani

www.entomologiitaliani.net/forum
 
Oggi è 09/11/2025, 2:01

Tutti gli orari sono UTC + 1 ora [ ora legale ]

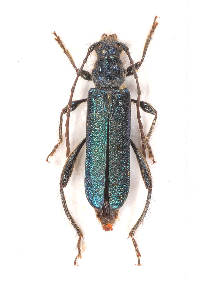
Callimus angulatus angulatus (Schrank, 1789) Dettagli della specie

31.V.2015 - ITALIA - Lombardia - VA, Valganna Pendici Mte Martica m 700


nuovo argomento
rispondi
Pagina 1 di 1 [ 5 messaggi ]
Autore Messaggio
MessaggioInviato: 07/11/2015, 20:32 
 

Iscritto il: 01/06/2012, 12:24
Messaggi: 315
Nome: Danilo Baratelli
Questa è una bestiolina mica male che ho trovato questa primavera. Il bello è che viene da una zona, la Valganna che conosco come le mie tasche. Non solo ma ci ho anche fatto un lavoretto entomologico per alcuni anni. Ho cacciato, allevato, trappolato, ombrellato etc. e mai visto un solo Callimellum. una domenica di maggio vado a fare un giro, non dico a funghi ma quasi ed eccolo lì, su di un rametto di quercia. Begli animaletti i Cerambicidi, neh...... ma da prendere a sberle!!!!!!!! :no1: Ciao Danilo


CallimellumDSC_0059RID.jpg

Top
profilo
MessaggioInviato: 07/11/2015, 21:13 
Avatar utente

Iscritto il: 05/08/2009, 18:02
Messaggi: 2264
Nome: Marcello Benelli
Noni stancherò mai di ribadire che conosciamo la distribuzione dei cerambicidi in Italia ancora molto marginalmente. ..

_________________
Marci
"S'i fosse fuoco, arderei 'l mondo,
S'i fosse vento, lo tempesterei,
S'i fosse acqua, i' l'annegherei
s'i fosse dio, mandereil' en profondo" ( Cecco Angiolieri).


Top
profilo
MessaggioInviato: 18/11/2015, 12:23 
 

Iscritto il: 01/06/2012, 12:24
Messaggi: 315
Nome: Danilo Baratelli
Oh, ma questo nessuno me lo archivia? E' pur sempre un Cermbycidae, per altro anche poco frequente!
Ciao
danilo


Top
profilo
MessaggioInviato: 18/11/2015, 13:05 
Avatar utente

Iscritto il: 17/02/2009, 0:05
Messaggi: 8521
Località: Isola d'Elba - Arcipelago Toscano
Nome: Leonardo Forbicioni
Il Baratelli ha scritto:
Oh, ma questo nessuno me lo archivia? E' pur sempre un Cermbycidae, per altro anche poco frequente!
Ciao
danilo

:ok: Fatto!

_________________
"Stay hungry, stay foolish".
Steve Jobs, 2005
___________________
jjuniper8(at)gmail.com
Twitter: @weevil_forbix
cell. 339/5275910
___________________


Top
profilo
MessaggioInviato: 18/11/2015, 15:32 
 

Iscritto il: 01/06/2012, 12:24
Messaggi: 315
Nome: Danilo Baratelli
Grazie leonardo, a dir poco fulmineo!
Danilo


Top
profilo
Visualizza ultimi messaggi:  Ordina per  
nuovo argomento
rispondi
Pagina 1 di 1 [ 5 messaggi ]

Tutti gli orari sono UTC + 1 ora [ ora legale ]


Chi c’è in linea

Visitano il forum: Nessuno e 2 ospiti


Non puoi aprire nuovi argomenti
Non puoi rispondere negli argomenti
Non puoi modificare i tuoi messaggi
Non puoi cancellare i tuoi messaggi
Non puoi inviare allegati

Cerca per:
Vai a: