Benvenuto Ospite

Forum Entomologi Italiani

www.entomologiitaliani.net/forum
 
Oggi è 09/11/2025, 7:52

Tutti gli orari sono UTC + 1 ora [ ora legale ]

Cerambyx miles Bonelli, 1812 Dettagli della specie

VII.1994 - CROAZIA - EE, Karlobag


nuovo argomento
rispondi
Pagina 1 di 1 [ 4 messaggi ]
Autore Messaggio
MessaggioInviato: 20/11/2015, 22:55 
Avatar utente

Iscritto il: 10/05/2009, 15:30
Messaggi: 7182
Località: Ancona
Nome: Giacomo Giovagnoli
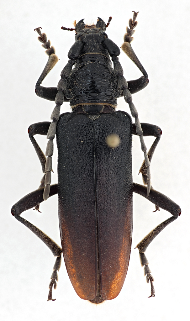
Cerambyx miles Bonelli, 1812.

Karlobag (Croazia); VII.1994; lg. M. Po

[grazie zio per le foto!!! :birra: ]

Dimensioni: 34mm
CombM1894_11zF5cr.jpg


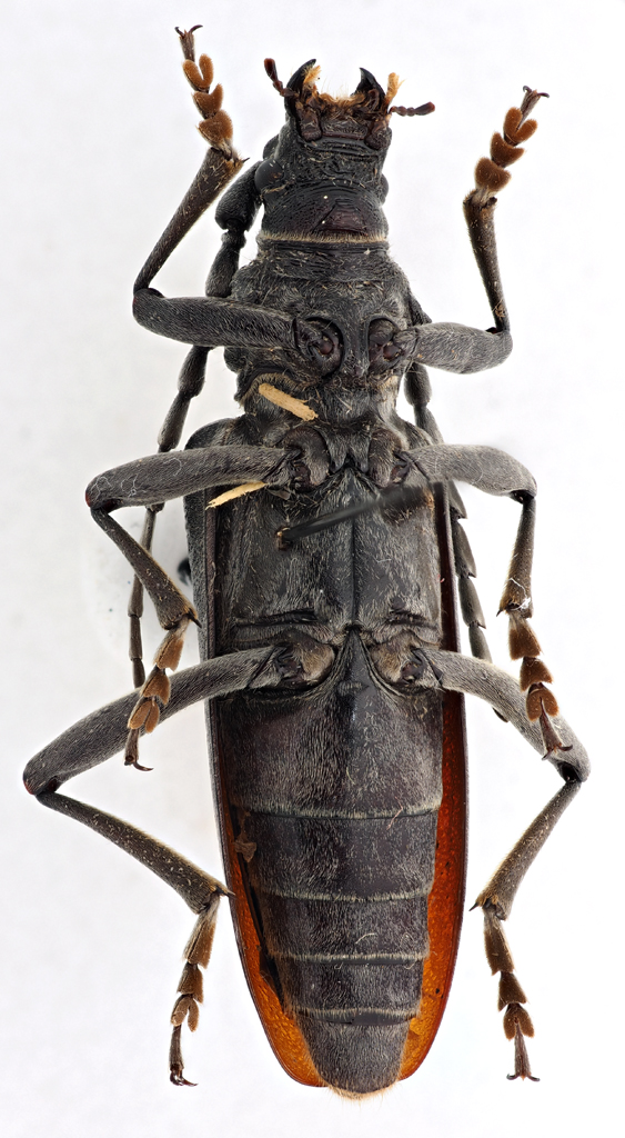
CombM1896_48zF5cr.jpg


CombM1895_21zF5cr.jpg


CombM1897_18zF5cr.jpg



Ciao :)

_________________
Immagine Giacomo


Top
profilo
MessaggioInviato: 21/11/2015, 15:21 
 

Iscritto il: 13/09/2009, 18:04
Messaggi: 881
Nome: Pierpaolo Rapuzzi
Ciao Giacomo,
a me sembra piuttosto una femmina di nodulosus anche se con qualche dubbio.
La località credo sia errata. Kralove è una città della Repubblica Ceca mentre penso possa essere Karlobag dove sia questa specie che miles sono frequenti.
Pierpaolo


Top
profilo
MessaggioInviato: 21/11/2015, 15:32 
Avatar utente

Iscritto il: 21/05/2009, 14:59
Messaggi: 6994
Località: Parigi
Nome: Riccardo Poloni
Ciao Giacomo, anche a me è venuto il dubbio sulla località. Conosco il raccoglitore, e il posto dove l'ha raccolto è senz'altro Karlobag, o Susanj o Vidovac senza dubbio.
Prova a guardare l'esemplare e vedere se la base delle elitre ha una rugosità che appare leggermente opaca, quasi sericea, oppure lucida. Nel primo caso è il miles, nel secondo nodulosus, anche se, lungi dal contraddire Pierpaolo, pare più un miles.

_________________
Riccardo Poloni
La dignità degli elementi
la libertà della poesia,
al di là dei tradimenti degli uomini
è magia, è magia, è magia...
Negrita, Rotolando verso sud


Top
profilo
MessaggioInviato: 21/11/2015, 15:37 
Avatar utente

Iscritto il: 10/05/2009, 15:30
Messaggi: 7182
Località: Ancona
Nome: Giacomo Giovagnoli
Hai ragione sulla località. Ero andato a memoria e assonano.

Però sono abbastanza sicuro su miles. Confrontandola con due maschi e due femmine di nodulosus (1coppia marchigiana e 1 croata) risalta l'opacita elitrale, le elitre meno granulose, le antenne molto più corte e con i primi articoli molto meno ingrossati ed il pronoto con rughe molto più leggere in quella che considero miles.

Ciao

_________________
Immagine Giacomo


Top
profilo
Visualizza ultimi messaggi:  Ordina per  
nuovo argomento
rispondi
Pagina 1 di 1 [ 4 messaggi ]

Tutti gli orari sono UTC + 1 ora [ ora legale ]


Chi c’è in linea

Visitano il forum: Nessuno e 0 ospiti


Non puoi aprire nuovi argomenti
Non puoi rispondere negli argomenti
Non puoi modificare i tuoi messaggi
Non puoi cancellare i tuoi messaggi
Non puoi inviare allegati

Cerca per:
Vai a: