Benvenuto Ospite

Forum Entomologi Italiani

www.entomologiitaliani.net/forum
 
Oggi è 08/11/2025, 19:01

Tutti gli orari sono UTC + 1 ora [ ora legale ]

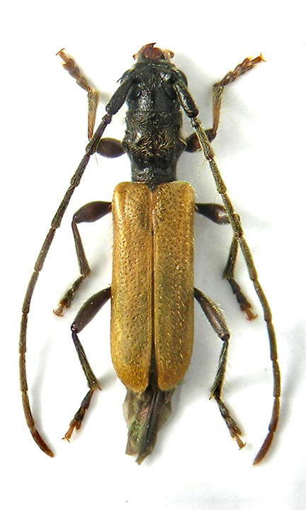
Stenhomalus (Obriopsis) bicolor (Kraatz, 1862) Dettagli della specie

10.IV.2016 - ITALIA - Abruzzo - PE, Micarone, Catignano, 160 m, fiume Nora


nuovo argomento
rispondi
Pagina 1 di 1 [ 5 messaggi ]
Autore Messaggio
MessaggioInviato: 22/04/2016, 14:23 
Avatar utente

Iscritto il: 23/06/2010, 19:05
Messaggi: 2588
Località: Pescara
Nome: Alessio Morelli
Dovrebbe essere lui, ma una conferma da voi è sempre gradita :D .
Ho scoperto per caso che è una specie potenzialmente interessante (magari per la località :roll: ); chissà quanti ne avrò visti sull'ombrello negli anni scorsi, e non li ho mai raccolti :lol1: .

Grazie :hi:

Ombrellando arbusti, in particolare biancospini e cornioli.
Dimensioni: 5,5 mm ca.

Stenhomalus bicolor - 10-IV-2016 Micarone - 5,5 mm.jpg



Top
profilo
MessaggioInviato: 22/04/2016, 14:42 
Avatar utente

Iscritto il: 22/12/2009, 13:31
Messaggi: 9646
Località: Napoli
Nome: Francesco Izzillo
:ok:

_________________
Francesco Izzillo


Top
profilo
MessaggioInviato: 22/04/2016, 21:59 
Avatar utente

Iscritto il: 23/06/2010, 19:05
Messaggi: 2588
Località: Pescara
Nome: Alessio Morelli
Grazie Francesco :birra:


Top
profilo
MessaggioInviato: 22/04/2016, 22:03 
Avatar utente

Iscritto il: 10/05/2010, 22:31
Messaggi: 4371
Località: Gavorrano (GR)
Nome: marco bastianini
Alessio89 ha scritto:
chissà quanti ne avrò visti sull'ombrello negli anni scorsi, e non li ho mai raccolti :lol1: .

Ecco, i prossimi vedi di prenderli :hi:

_________________
:to: Marco
"Le foreste a precedere le civiltà, i deserti a seguire."
François-René de Chateaubriand


Top
profilo
MessaggioInviato: 22/04/2016, 22:34 
Avatar utente

Iscritto il: 23/06/2010, 19:05
Messaggi: 2588
Località: Pescara
Nome: Alessio Morelli
hypotyphlus ha scritto:
Ecco, i prossimi vedi di prenderli

Ci provo... ma non ti preoccupare che per te ci sono di sicuramente :mrgreen: . Una volta che riesco a trovare un insetto che ti interessa! :gh:
Era quella bestiola di cui ti parlavo a Modena, di cui, in quel momento non ricordavo il nome (... anche ora mi tocca rileggerlo; era più facile per me quando il genere era Obriopsis :oooner: ).


Top
profilo
Visualizza ultimi messaggi:  Ordina per  
nuovo argomento
rispondi
Pagina 1 di 1 [ 5 messaggi ]

Tutti gli orari sono UTC + 1 ora [ ora legale ]


Chi c’è in linea

Visitano il forum: Nessuno e 1 ospite


Non puoi aprire nuovi argomenti
Non puoi rispondere negli argomenti
Non puoi modificare i tuoi messaggi
Non puoi cancellare i tuoi messaggi
Non puoi inviare allegati

Cerca per:
Vai a: