Benvenuto Ospite

Forum Entomologi Italiani

www.entomologiitaliani.net/forum
 
Oggi è 09/11/2025, 18:57

Tutti gli orari sono UTC + 1 ora [ ora legale ]

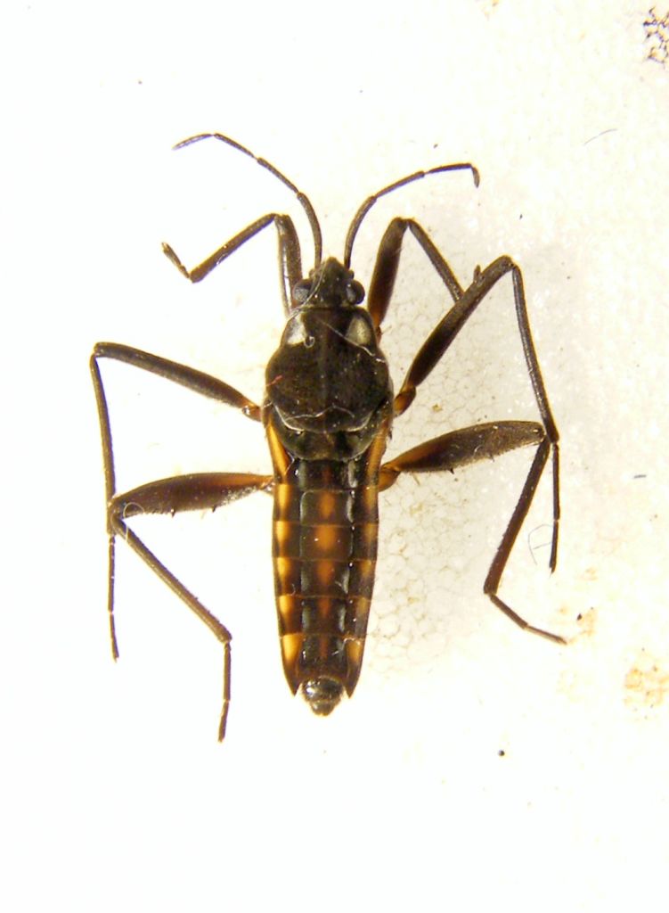
Velia (Plesiovelia) sarda Tamanini, 1947 (cf.) - Veliidae

29.X.2016 - ITALIA - Sardegna - CA, San Gregorio (Sìnnai)


nuovo argomento
rispondi
Pagina 1 di 1 [ 4 messaggi ]
Autore Messaggio
MessaggioInviato: 30/10/2016, 11:45 
Avatar utente

Iscritto il: 01/11/2009, 9:51
Messaggi: 2330
Nome: Andrea Rattu
Nei tratti di un ruscello dove la corrente era più calma erano presenti in discreto numero queste Velia. Dimensioni: mm. 7,5. Potrebbe essere Velia (Plesiovelia) sarda Tamanini, 1947? Grazie a tutti.


5.jpg

4a.jpg

4.jpg

3.jpg

2.jpg

1.jpg


_________________
Se gettassi su di un piatto della bilancia tutto ciò che ho imparato a comprendere in quelle ore di meditazione di fronte all'acquario, e sull'altro tutto ciò che ho ricavato dai libri, come rimarrebbe leggero il secondo!
Konrad Lorenz
Top
profilo
 Oggetto del messaggio: Re: Velia da ID
MessaggioInviato: 31/10/2016, 12:54 
Avatar utente

Iscritto il: 21/09/2014, 11:55
Messaggi: 1561
Località: Istanbul Turkey
Nome: Barış
Apex of the abdomen of the female reminds V. sarda. I will check it again later today.


Top
profilo
 Oggetto del messaggio: Re: Velia da ID
MessaggioInviato: 31/10/2016, 13:18 
Avatar utente

Iscritto il: 01/11/2009, 9:51
Messaggi: 2330
Nome: Andrea Rattu
Thank you Baris :) .

_________________
Se gettassi su di un piatto della bilancia tutto ciò che ho imparato a comprendere in quelle ore di meditazione di fronte all'acquario, e sull'altro tutto ciò che ho ricavato dai libri, come rimarrebbe leggero il secondo!
Konrad Lorenz


Top
profilo
 Oggetto del messaggio: Re: Velia da ID
MessaggioInviato: 01/11/2016, 17:46 
Avatar utente

Iscritto il: 21/09/2014, 11:55
Messaggi: 1561
Località: Istanbul Turkey
Nome: Barış
Unfortunately, I cannot confirm my identification,male genitalia is involved...


Top
profilo
Visualizza ultimi messaggi:  Ordina per  
nuovo argomento
rispondi
Pagina 1 di 1 [ 4 messaggi ]

Tutti gli orari sono UTC + 1 ora [ ora legale ]


Chi c’è in linea

Visitano il forum: Nessuno e 0 ospiti


Non puoi aprire nuovi argomenti
Non puoi rispondere negli argomenti
Non puoi modificare i tuoi messaggi
Non puoi cancellare i tuoi messaggi
Non puoi inviare allegati

Cerca per:
Vai a: