Benvenuto Ospite

Forum Entomologi Italiani

www.entomologiitaliani.net/forum
 
Oggi è 08/11/2025, 9:31

Tutti gli orari sono UTC + 1 ora [ ora legale ]

Agapanthia (Agapanthia) suturalis (Fabricius, 1787) Dettagli della specie

13.IV.2017 - ITALIA - Sardegna - OT, SS 125, dint. Arzachena


nuovo argomento
rispondi
Pagina 1 di 1 [ 5 messaggi ]
Autore Messaggio
MessaggioInviato: 09/01/2018, 12:10 
 

Iscritto il: 08/12/2013, 1:52
Messaggi: 7534
Località: Bagnacavallo (RA)
Nome: Giorgio Pezzi
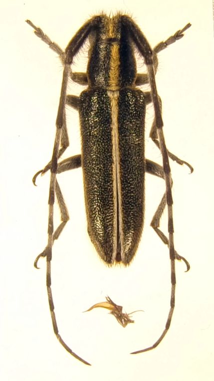
Presso Arzachena, ho prelevato due esemplari. Secondo voi possono essere entrambi A. suturalis? La specie è nota di Sardegna? I due esemplari proposti differiscono in effetti per le elitre diversamente acuminate ma paradossalmente quello che le ha più acuminate ha edeago con lobo inferiore meno pronunciato (in foto tali lobi appaiono meno evidenti che dal vero). Grazie per le info e pareri.
Giorgio. :hi:
sutur2 ed 3.jpg



sutur2.jpg

sutur1 ed.jpg

sutr1.jpg

Top
profilo
 Oggetto del messaggio: Re: Agapanthia suturalis o A. cardui?
MessaggioInviato: 09/01/2018, 15:08 
Avatar utente

Iscritto il: 21/05/2009, 14:59
Messaggi: 6994
Località: Parigi
Nome: Riccardo Poloni
Determinare le Agapanthia cardui e suturalis da foto é sicuro solo con determinate provenienze e caratteri piuttosto pronunciati. A guardarle così neanche la prima mi pare una suturalis ma l'edeago toglie ogni dubbio. Ma va visto più ingrandito.

_________________
Riccardo Poloni
La dignità degli elementi
la libertà della poesia,
al di là dei tradimenti degli uomini
è magia, è magia, è magia...
Negrita, Rotolando verso sud


Top
profilo
 Oggetto del messaggio: Re: Agapanthia suturalis o A. cardui?
MessaggioInviato: 09/01/2018, 18:24 
 

Iscritto il: 08/12/2013, 1:52
Messaggi: 7534
Località: Bagnacavallo (RA)
Nome: Giorgio Pezzi
Grazie Riccardo! E circa la sua conferma per la regione?
:hi:


Top
profilo
 Oggetto del messaggio: Re: Agapanthia suturalis o A. cardui?
MessaggioInviato: 09/01/2018, 21:28 
Avatar utente

Iscritto il: 21/05/2009, 14:59
Messaggi: 6994
Località: Parigi
Nome: Riccardo Poloni
Scusami, sì, in Sardegna c'è: io ho degli esemplari delle saline di Cagliari e anche di Sinnai mi pare. É presente anche la cardui in ogni caso, e per quel che so io sono spesso simpatriche.

_________________
Riccardo Poloni
La dignità degli elementi
la libertà della poesia,
al di là dei tradimenti degli uomini
è magia, è magia, è magia...
Negrita, Rotolando verso sud


Top
profilo
 Oggetto del messaggio: Re: Agapanthia suturalis o A. cardui?
MessaggioInviato: 09/01/2018, 22:06 
 

Iscritto il: 08/12/2013, 1:52
Messaggi: 7534
Località: Bagnacavallo (RA)
Nome: Giorgio Pezzi
Grazie. :hi:


Top
profilo
Visualizza ultimi messaggi:  Ordina per  
nuovo argomento
rispondi
Pagina 1 di 1 [ 5 messaggi ]

Tutti gli orari sono UTC + 1 ora [ ora legale ]


Chi c’è in linea

Visitano il forum: Nessuno e 2 ospiti


Non puoi aprire nuovi argomenti
Non puoi rispondere negli argomenti
Non puoi modificare i tuoi messaggi
Non puoi cancellare i tuoi messaggi
Non puoi inviare allegati

Cerca per:
Vai a: