Benvenuto Ospite

Forum Entomologi Italiani

www.entomologiitaliani.net/forum
 
Oggi è 07/11/2025, 10:46

Tutti gli orari sono UTC + 1 ora [ ora legale ]

A zonzo per i colli di Brendola (VI)



nuovo argomento
rispondi
Pagina 1 di 1 [ 15 messaggi ]
Autore Messaggio
 Oggetto del messaggio: A zonzo per i colli di Brendola (VI)
MessaggioInviato: 09/05/2018, 22:28 
Avatar utente

Iscritto il: 03/04/2016, 15:25
Messaggi: 620
Località: Creazzo (VI)
Nome: Giulio Montanaro
Salve a tutti! :hi:
Qualche giorno fa l'amico Nicolai Albrecht (Nicolai qui sul Forum) è stato in terra padovana per un breve soggiorno e, complice il bel tempo di domenica mattina (il 6), ne abbiamo approfittato per trovarci e fare una gitarella entomologica dalle mie parti.

La meta prescelta è stata i Monti Comunali di Brendola (VI), sulla propaggine occidentale dei Colli Berici, un luogo da me molto amato e frequentato per via della splendida varietà di ambienti - e insettacci - che vi si trova.
La fa da padrone un bel bosco misto con prevalenza, a seconda delle zone, ora di carpino, nocciolo e orno, ora soprattutto di roverella (o rovere? ho un lapsus :? ); quest'ultima essenza, in particolare, è dominante in un versante di bosco caratterizzato dalla massiccia presenza di rocce basaltiche, che danno luogo a un microclima xerico estremamente bello. Sono inoltre presenti, cinti dalla selva, radure e ampi tratti di prato incolto, qualche piccola pozza - in questo periodo disseccata - e, per la mia gioia di coprofagaro, un allevamento di capre e un maneggio (a cui però non siamo andati).

Giunti, coi mezzi motorizzati, in cima alla collina, iniziamo ad avventurarci giù per la stradina, accolti dall’ombra delle piante. Purtroppo i fiori dei biancospini e degli orni, da poco appassiti, non fruttano molto, così ci gettiamo in un praterello verde brillante a lato della strada; sugli steli d’erba sono frequenti gli Elateridi (di una sola specie purtroppo, credo del genere Cidnopus), sui fiori le Oxythyrea e le Tropinota squalida. Nicolai, esultante, avvista un’Anthaxia, ma quella non ne vuole sapere di farsi pigliare e gli sfugge. Ci mettiamo così a scrutare i cespugli di rosa canina in cerca di qualche bestiola floricola, in particolare Cetonini, le prede più ambite da Nicolai: d’un tratto un inconfondibile ronzio ci avverte del decollo di una Cetonia che però, nonostante l’ausilio del mio validissimo retino (vedi foto :mrgreen: ), ci sfugge e, a parte qualche serafico Brachypteroma ottomanum, non troviamo altro.

Per rifarci decidiamo di cambiare lato della strada: ci buttiamo in un secondo e più ampio prato, e la fortuna inizia già a volgere a nostro favore (più che altro mio :gh: ). Da sotto un escremento (forse di volpe) ormai tutt'uno col terreno saltano fuori – per modo di dire – parecchie specie di Onthophagus: taurus, coenobita, medius, ovatus e soprattutto lemur. Quest’ultima specie, ho notato in molte occasioni, è la più frequente in tutto l’ambiente e in un singolo escremento se ne possono trovare letteralmente decine!
Rinfrancati dalla bellezza di cotanti merdaioli, continuiamo a spulciare fiori ed erbe, trovando ancora Elateridi e poco altro. Finalmente, dopo un paio di tentativi falliti, Nicolai becca un’Anthaxia su una margheritona. Rimaniamo entrambi colpiti dalla presenza di certi Carabidi dal pronoto ceruleo (credo Poecilus) che se ne stanno a penzoloni sulle spighe, in bella vista; se non ricordo male dovrebbero nutrirsi di semi.

Decidiamo di proseguire e, dopo aver preso un paio di meravigliose Capnodis tenebrionis che, come pezzetti di carbone, se ne stavano immobili su un biancospino, setacciamo qualche altro prato per poi gettarci nel folto del bosco.

[To be continued...]


Nicolai che mette in saccoccia qualche Tropinota
immagine_1.jpg

Lo sporco lavoro...
immagine_3.jpg

Alcuni degli Onthophagus lemur dissotterrati
immagine_4.jpg

Capnodis tenebrionis
immagine_5.jpg

immagine_6.jpg

Nicolai che adopera il mio professionale e mascolinissimo retino
immagine_7.jpg

Anthaxia sp. (quale?) in copula
immagine_8.jpg

Tropinota squalida
immagine_9.jpg


_________________
:hi:

Giulio
Top
profilo
MessaggioInviato: 10/05/2018, 14:03 
Avatar utente

Iscritto il: 24/11/2015, 19:04
Messaggi: 992
Località: Marina Romea (RA)
Nome: Nicola Cuffiani
Siete mitici ragazzi :D :birra: , voglio vedere il continuo ;) , mettereste le foto dei Carabidi presi? Ah Giulio, ieri ho riaperto la scatola con la roba da scambiare, e mi sono accorto che ho ancora della roba da darti!

_________________
Nel mezzo del cammin di nostra vita mi ritrovai per una selva oscura, ché la diritta via era smarrita... (Inferno canto I)


Top
profilo
MessaggioInviato: 10/05/2018, 21:07 
Avatar utente

Iscritto il: 03/04/2016, 15:25
Messaggi: 620
Località: Creazzo (VI)
Nome: Giulio Montanaro
Tra carpini, olmi, pungitopo e qualche castagno il sentiero serpeggia costeggiando l’alveo disseccato di un profondo torrente. Proviamo a scendere sul fondo di quest’ultimo ma, a parte qualche Eterottero subcorticicolo, non c’è moltissimo, e per di più lì giù fa un certo freddino!
Gradualmente i carpini vengono sostituiti dalle querce e dagli orni e le rocce ignee si mischiano a quelle calcaree. Lungo il tracciato rinveniamo diversi escrementi (che puntualmente mi sono dimenticato di fotografare) sia di uccelli che di piccoli mammiferi, colmi di resti di una bestiola ben nota: Calosoma inquisitor. Mi è capitato più volte di trovare questo bel Carabide in questa zona e in un’occasione esso era presente in quantità considerevoli assieme a chili di bruchi che rodevano le piante circostanti, secondo un fenomeno ben riportato e descritto dal nostro Silvano Biondi e da Roberto Battiston in questo interessante articolo. Le (o i?) Calosoma però le/li manchiamo di poco perché, nonostante il voltare sassi e cercare nel sottobosco, oltre ai resti di loro non c’è traccia. In compenso sul corniolo Nicolai becca qualche cetonia e io, in copula su una foglia, un paio di bei Cerambicidi (Ropalopus o simili).
Un po’ riluttanti ad abbandonare l’ombra del sentiero – inizia in effetti a fare un certo caldo – sbuchiamo davanti all’allevamento di capre. Le padrone di casa non ci sono e noi due, armati di professionali bastoncini, ci diamo al saccheggio dei loro rifiuti metabolici. Il fresco profumo di certi sambuchi dai fiori candidi ed abbondanti copre – un po' a stento – l’odor de cavron che aleggia a rasoterra; velocemente dal pabulum caprino sbucano fuori, oltre ai copiosi O. lemur, altri O. ovatus e taurus, un Euoniticellus fulvus e qualche Afodiino, tra cui – mi pare, ma devo ancora controllare – il mio primo Aphodius foetidus. Soddisfatti, ci dirigiamo ora verso la parte più interessante del percorso.


In basso, l'alveo asciutto del torrente
immagine_10.jpg

immagine_11.jpg

Scortecciando una quercia
immagine_12.jpg

Iris sp.
immagine_13.jpg

Il secondo sporco lavoro...
immagine_14.jpg


_________________
:hi:

Giulio
Top
profilo
MessaggioInviato: 10/05/2018, 21:26 
Avatar utente

Iscritto il: 03/04/2016, 15:25
Messaggi: 620
Località: Creazzo (VI)
Nome: Giulio Montanaro
Come accennavo, alcune aree di questi colli sono caratterizzati dalla presenza di rocce basaltiche che prendono il posto di quelle calcaree, a testimonianza del passato vulcanico della zona. Imboccando un antico sentiero lastricato a basalto – risalente, se non erro, al Settecento, e usato dai mercanti della zona -, in cui si riconoscono ancora i solchi lasciati dai carri, l’ambiente inizia a cambiare con una certa rapidità. La roverella assume un ruolo dominante, il terreno si fa più secco ed erboso, e iniziano a spuntare certi fiori bianchi e generosi, su cui si abboffano di nettare diverse creature. Finalmente ci immettiamo in una piccola e splendida radura: i fiori bianchi (a proposito, qualcuno sa il loro nome per caso?) brulicano di Anthaxia, ed iniziamo a raccogliere Crisomelidi, edemere e altre cosette, finché – la stavamo cercando da un po’! – eccola lì, con il muso tuffato tra i petali: Hoplia argentea! :hp: Sarà anche la più comune delle nostre Hoplia, ma questo Scarabeide resta indubbiamente un animale di grande bellezza. Peraltro ne trovai solo un altro esemplare qualche anno fa, e da quella volta era un mio desiderio rivederla. Ne troviamo un’altra ancora, un po’ ciancicata, e, visibilmente contenti, proseguiamo verso la meta finale del giro.
Rituffandoci per poco nel bosco giungiamo infatti ad una seconda, più ampia e più bella radura. Qui il basalto, affiorante dal fianco della collina e praticamente nudo, è costellato di fichi d'India nani (Opuntia humifusa), che hanno l'abitudine, a tarda primavera, di fiore copiosamente. Tra l'erba crescono diverse specie di orchidee selvatiche (Serapias vomeracea, Anacamptis pyramidalis, Orchis e sporadiche Ophrys), gladioli selvatici (credo l'italicus) e diverse specie di Ombrellifere, oltre ovviamente ai soliti fiori bianchi. E’ un tripudio di Anthaxia - anche se sempre della medesima specie credo. Davanti a noi si stende la vasta (e un po’ infelice) pianura. Mentre sono lì che mi accingo a spulciare ogni fiore, Nicolai manda un urlo di tripudio: in un’area di qualche metro quadro si trovano poco meno di una ventina di Hoplia: diverse coppiette in amore, qualcuna che mangia, qualcuna adagiata mollemente tra gli steli dei fiori. Un maschio in particolare attira la mia attenzione perché, aggrappato alla sua bella, la sta stuzzicando con le zampe posteriori, muovendole rapidamente in modo da accarezzare e solleticare i lati del suo ventre squamoso.
Contenti di quell’ultimo incontro, raccogliamo qualche Hoplia – Nicolai, da ottimo naturalista, è molto attento a non torcere una squama a nessuno degli esemplari in copula - e ci incamminiamo nuovamente su per il colle. Il caldo e l’umidità sono diventati nel frattempo abbastanza fastidiosi (è l’una passata) ma, dopo gli ultimi gradini di basalto, il chiocciare di alcune galline ci accoglie nel punto in cui i mezzi motorizzati ci attendono. Ahimè, son pigro e la patente ancora non ce l’ho! :mrgreen:

Spero, nonostante la prolissità scrittoria patologica e nonostante le foto, poche e brutte, di non avervi annoiato, bensì d’avervi dato un’idea dello splendido ambiente collinare in cui siamo stati e magari d’avervi messo voglia di fare un giro da queste parti! Rivolgo ancora un grande ringraziamento a Nicolai (il quale, per inciso, finita la gita è dovuto scappare per non rischiare di perdere il volo per Amsterdam) per la bella mattinata passata insieme! :birra:

Domani vedrò di postare qualche foto degli insetti presi.


L'inizio della prima "radura"
immagine_15.jpg

Nicolai che ispeziona i fiori bianchi
immagine_16.jpg

Exosoma lusitanicum e (mi pare) una Oxythyrea funesta
immagine_17.jpg

immagine_18.jpg

Una Liliacea?
immagine_19.jpg

La strada dei mercanti lastricata a basalto
immagine_20.jpg

La seconda radura
immagine_21.jpg

Il basalto affiorante
immagine_22.jpg

Opuntia hemifusa
immagine_23.jpg


_________________
:hi:

Giulio


Ultima modifica di Liatongus il 10/05/2018, 21:47, modificato 1 volta in totale.
Top
profilo
MessaggioInviato: 10/05/2018, 21:33 
Avatar utente

Iscritto il: 03/04/2016, 15:25
Messaggi: 620
Località: Creazzo (VI)
Nome: Giulio Montanaro
Qualche altra foto...


Anacamptis pyramidalis
immagine_24.jpg

Gladioli
immagine_25.jpg

Dove saranno 'ste oplie?
immagine_31.jpg

Una coppia di Hoplia imboscata tra i fiori
immagine_28.jpg

immagine_29.jpg

immagine_30.jpg

Il panorama
immagine_32.jpg

immagine_33.jpg

immagine_34.jpg

I due ceffi...
immagine_35.jpg


_________________
:hi:

Giulio
Top
profilo
MessaggioInviato: 10/05/2018, 21:44 
Avatar utente

Iscritto il: 03/04/2016, 15:25
Messaggi: 620
Località: Creazzo (VI)
Nome: Giulio Montanaro
Nicola ha scritto:
Siete mitici ragazzi :D :birra: , voglio vedere il continuo ;) , mettereste le foto dei Carabidi presi?


Grazie Nicola :mrgreen: I Carabidi li fotografo domani col resto, ma mi sa proprio che abbiamo trovato solo quella specie sulle spighe; ho controllato e mi pare sia l'Harpalus dimidiatus che se non mi sbaglio, per quanto bello, è pure parecchio comune... Ad ogni modo te li metto via.

Nicola ha scritto:
Ah Giulio, ieri ho riaperto la scatola con la roba da scambiare, e mi sono accorto che ho ancora della roba da darti!


Mannaggia Nicola, grazie :oops: Ma con tutta quella che mi hai dato a Modena... non faccio altro che accumulare debiti con te! :lol1: :lol: Quest'estate i Carabidi di montagna non avranno tregua :gun:

_________________
:hi:

Giulio


Top
profilo
MessaggioInviato: 11/05/2018, 21:19 
Avatar utente

Iscritto il: 03/04/2016, 15:25
Messaggi: 620
Località: Creazzo (VI)
Nome: Giulio Montanaro
Ecco, per concludere, alcuni degli insetti presi.
Sui Carabidi mi sbagliavo... C'è anche un Abax, che probabilmente è una delle specie più comuni di tutto il bosco :lol:


caccia_1.jpg

I Carabidi: Harpalus dimidiatus (?) e Abax (parallelepipedus?)
caccia_2.jpg

Le Hoplia e una Tropinota squalida
caccia_3.jpg

I coprofagi
caccia_4.jpg

Buprestidi, Cidnopus (?), Stafilinidi ed Edemeridi
caccia_5.jpg

Cerambicidi, curchi e miscellanea
caccia_6.jpg


_________________
:hi:

Giulio
Top
profilo
MessaggioInviato: 12/05/2018, 12:59 
Avatar utente

Iscritto il: 24/09/2009, 20:40
Messaggi: 1947
Nome: Giuseppe Platia
:hp: :hp: Si gli elateridi sono tutti Cidnopus pilosus (Leske, 1785).

:hi: :hi: :hi:


Top
profilo
MessaggioInviato: 12/05/2018, 14:03 
Avatar utente

Iscritto il: 19/06/2012, 14:35
Messaggi: 5636
Località: Alfonsine (RA)
Nome: Marco Villani
I Carabidi sono 3 Harpalus (Harpalus) dimidiatus e 1 Abax (Abax) parallelepipedus euganensis.
Marco.


Top
profilo
MessaggioInviato: 12/05/2018, 15:01 
Avatar utente

Iscritto il: 03/04/2016, 15:25
Messaggi: 620
Località: Creazzo (VI)
Nome: Giulio Montanaro
Ottimo, grazie Giuseppe e grazie Marco! :hp: :birra:

_________________
:hi:

Giulio


Top
profilo
MessaggioInviato: 12/05/2018, 17:36 
 

Iscritto il: 14/10/2011, 14:54
Messaggi: 226
Località: Castelnuovo Bocca d'Adda (LO)
Nome: Luciano Arcorace
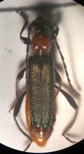
Ciao i cerambici dovrebbero essere Ropalopus femoratus e Stenurella nigra

fate una foto più da vicino a questo
Senza nome.jpg


potrebbe essere interessante per la località

_________________
Ciao Lucio


Top
profilo
MessaggioInviato: 12/05/2018, 19:25 
Avatar utente

Iscritto il: 03/04/2016, 15:25
Messaggi: 620
Località: Creazzo (VI)
Nome: Giulio Montanaro
Grazie Luciano! :birra: Domani provvedo a fare la foto. Mi pare comunque sia un Callidium.

_________________
:hi:

Giulio


Top
profilo
MessaggioInviato: 15/05/2018, 21:09 
Avatar utente

Iscritto il: 03/04/2016, 15:25
Messaggi: 620
Località: Creazzo (VI)
Nome: Giulio Montanaro
Liatongus ha scritto:
Mi pare comunque sia un Callidium.

*Callimus

Con un po' di ritardo, eccolo qui.


cerambicide_2.jpg

cerambicide_1.jpg


_________________
:hi:

Giulio
Top
profilo
MessaggioInviato: 15/05/2018, 21:56 
 

Iscritto il: 14/10/2011, 14:54
Messaggi: 226
Località: Castelnuovo Bocca d'Adda (LO)
Nome: Luciano Arcorace
è proprio una femmina di Callimus abdominalis , bel reperto! :birra:
non mi pare sia mai stata segnalata per il Veneto

_________________
Ciao Lucio


Top
profilo
MessaggioInviato: 15/05/2018, 22:45 
Avatar utente

Iscritto il: 03/04/2016, 15:25
Messaggi: 620
Località: Creazzo (VI)
Nome: Giulio Montanaro
Grazie ancora, Luciano! :birra:

_________________
:hi:

Giulio


Top
profilo
Visualizza ultimi messaggi:  Ordina per  
nuovo argomento
rispondi
Pagina 1 di 1 [ 15 messaggi ]

Tutti gli orari sono UTC + 1 ora [ ora legale ]


Chi c’è in linea

Visitano il forum: Nessuno e 0 ospiti


Non puoi aprire nuovi argomenti
Non puoi rispondere negli argomenti
Non puoi modificare i tuoi messaggi
Non puoi cancellare i tuoi messaggi
Non puoi inviare allegati

Cerca per:
Vai a:  
cron