Benvenuto Ospite

Forum Entomologi Italiani

www.entomologiitaliani.net/forum
 
Oggi è 09/11/2025, 3:44

Tutti gli orari sono UTC + 1 ora [ ora legale ]

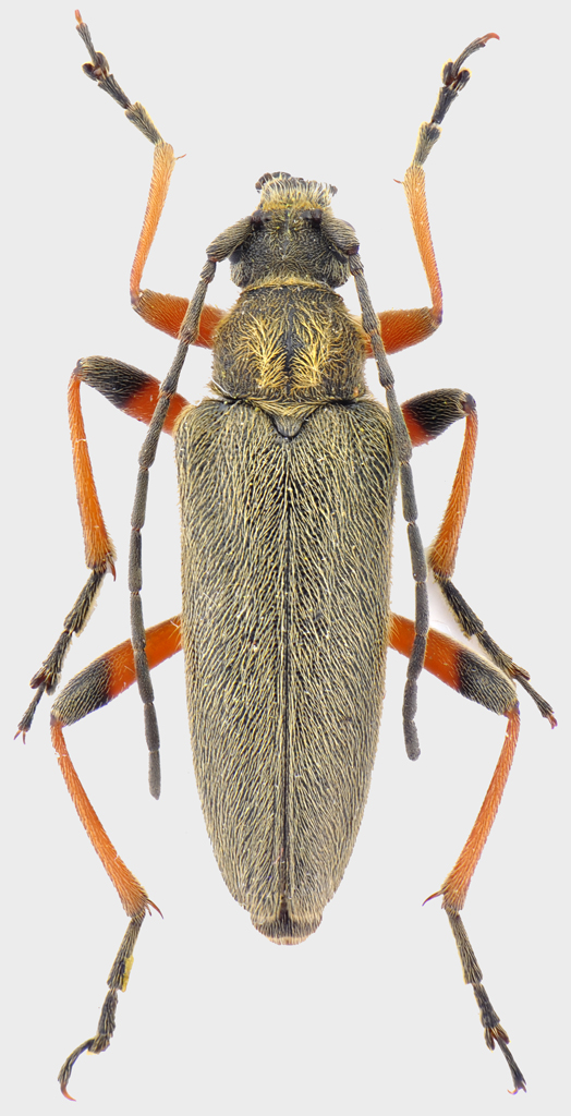
Cortodera schurmanni Sama, 1996 - Cerambycidae

26.IV.2013 - GRECIA - EE, vicino Keramidià (Ilia) - m 150


nuovo argomento
rispondi
Pagina 1 di 1 [ 6 messaggi ]
Autore Messaggio
MessaggioInviato: 07/05/2013, 12:17 
Avatar utente

Iscritto il: 25/11/2009, 9:31
Messaggi: 8157
Località: Lecce
Nome: Maurizio Bollino
Leggendo la descrizione originale dovrebbero essere loro, ma ovviamente necessita conferma o smentita.

Cortodera-Keramidia-2.jpg


Cortodera-Keramidia-1.jpg


_________________
Maurizio Bollino


Top
profilo
MessaggioInviato: 27/01/2019, 18:17 
Avatar utente

Iscritto il: 21/05/2009, 14:59
Messaggi: 6994
Località: Parigi
Nome: Riccardo Poloni
Questa me l'ero persa. É lei :ok: , io l'ho raccolta in serie vicino a Megalopoli, è stata ora messa in sinonimia con la flavimana da Danilevsky, poi io non sono nessuno e quindi non faccio commenti su fare 100 sottospecie e sinonimie dall'altra parte.

_________________
Riccardo Poloni
La dignità degli elementi
la libertà della poesia,
al di là dei tradimenti degli uomini
è magia, è magia, è magia...
Negrita, Rotolando verso sud


Top
profilo
MessaggioInviato: 27/01/2019, 19:12 
Avatar utente

Iscritto il: 25/11/2009, 9:31
Messaggi: 8157
Località: Lecce
Nome: Maurizio Bollino
Plagionotus ha scritto:
è stata ora messa in sinonimia con la flavimana da Danilevsky


Quindi? schurmanni o flavimana?

_________________
Maurizio Bollino


Top
profilo
MessaggioInviato: 28/01/2019, 11:35 
Avatar utente

Iscritto il: 21/05/2009, 14:59
Messaggi: 6994
Località: Parigi
Nome: Riccardo Poloni
Decidi tu, per me se hanno messo in sinonimia questa bisognerebbe mettere in sinonimia anche tutte le sottospecie della alpina per esempio, ma ripeto, non sono nessuno. Se vuoi seguire la nomenclatura corrente è Cortodera flavimana shurmanni Sama

_________________
Riccardo Poloni
La dignità degli elementi
la libertà della poesia,
al di là dei tradimenti degli uomini
è magia, è magia, è magia...
Negrita, Rotolando verso sud


Top
profilo
MessaggioInviato: 28/01/2019, 13:34 
Avatar utente

Iscritto il: 25/11/2009, 9:31
Messaggi: 8157
Località: Lecce
Nome: Maurizio Bollino
Plagionotus ha scritto:
Decidi tu, per me se hanno messo in sinonimia questa bisognerebbe mettere in sinonimia anche tutte le sottospecie della alpina per esempio, ma ripeto, non sono nessuno. Se vuoi seguire la nomenclatura corrente è Cortodera flavimana shurmanni Sama

A me Danilevsky è antipatico :lol: :lol: :lol: , per cui lascio Cortodera schurmanni Sama, 1996.

_________________
Maurizio Bollino


Top
profilo
MessaggioInviato: 28/01/2019, 17:53 
Avatar utente

Iscritto il: 21/05/2009, 14:59
Messaggi: 6994
Località: Parigi
Nome: Riccardo Poloni
Vedi tu :lol1: . Io non l'ho mai visto e non so se è antipatico, sicuramente è uno specialista con i fiocchi, però certe manie che gli sono venute ultimamente...

_________________
Riccardo Poloni
La dignità degli elementi
la libertà della poesia,
al di là dei tradimenti degli uomini
è magia, è magia, è magia...
Negrita, Rotolando verso sud


Top
profilo
Visualizza ultimi messaggi:  Ordina per  
nuovo argomento
rispondi
Pagina 1 di 1 [ 6 messaggi ]

Tutti gli orari sono UTC + 1 ora [ ora legale ]


Chi c’è in linea

Visitano il forum: Nessuno e 1 ospite


Non puoi aprire nuovi argomenti
Non puoi rispondere negli argomenti
Non puoi modificare i tuoi messaggi
Non puoi cancellare i tuoi messaggi
Non puoi inviare allegati

Cerca per:
Vai a:  
cron