Benvenuto Ospite

Forum Entomologi Italiani

www.entomologiitaliani.net/forum
 
Oggi è 27/10/2025, 9:01

Tutti gli orari sono UTC + 1 ora [ ora legale ]

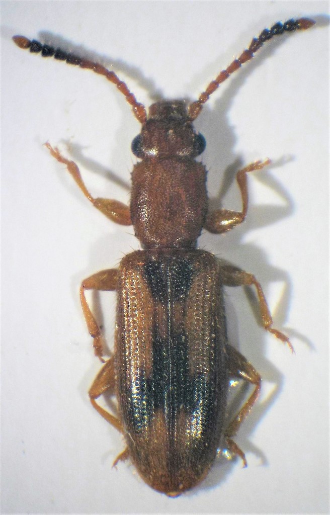
Cryptamorpha desjardinsii (Guérin-Méneville, 1844) - Silvanidae - da confermare

30.X.2019 - PORTOGALLO - EE, Azzorre - São Miguel - Ribeira Grande


nuovo argomento
rispondi
Pagina 1 di 1 [ 1 messaggio ]
Autore Messaggio
MessaggioInviato: 16/11/2019, 19:34 
Avatar utente

Iscritto il: 23/06/2010, 11:11
Messaggi: 2784
Località: Cagliari
Nome: Gianpaolo Ruzzante
mm 4.5
Penso si tratti di Cryptamorpha desjardinsii (Guérin-Méneville, 1844) ma chiedo conferma.
Alle Azzorre se non ci fossero specie invasive non ci sarebbero quasi artropodi :cry:
In caso di conferma, chiedo se l'origine della bestiola sia il Nord America :hi:


4.5 mm.jpg

Top
profilo
Visualizza ultimi messaggi:  Ordina per  
nuovo argomento
rispondi
Pagina 1 di 1 [ 1 messaggio ]

Tutti gli orari sono UTC + 1 ora [ ora legale ]


Chi c’è in linea

Visitano il forum: Nessuno e 0 ospiti


Non puoi aprire nuovi argomenti
Non puoi rispondere negli argomenti
Non puoi modificare i tuoi messaggi
Non puoi cancellare i tuoi messaggi
Non puoi inviare allegati

Cerca per:
Vai a: