Benvenuto Ospite

Forum Entomologi Italiani

www.entomologiitaliani.net/forum
 
Oggi è 07/11/2025, 10:31

Tutti gli orari sono UTC + 1 ora [ ora legale ]

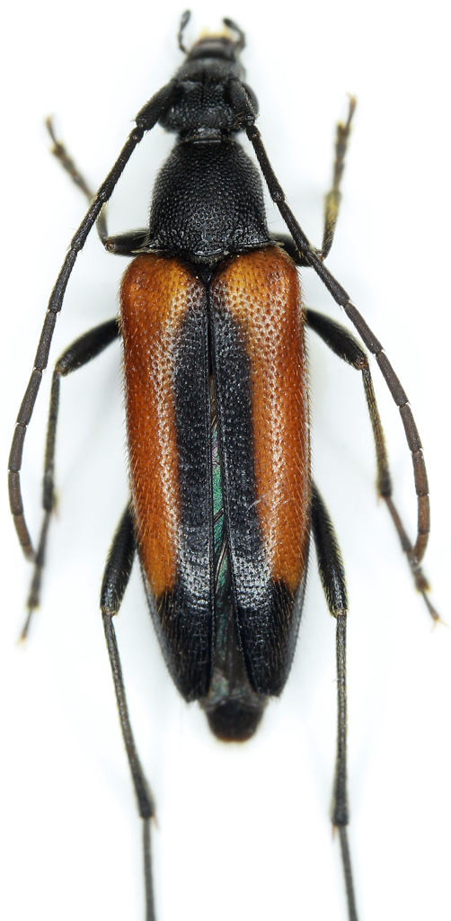
Stenurella sp. - Cerambycidae

27.VII.2023 - ITALIA - Emilia-Romagna - FC, Appennino tosco-romagnolo


nuovo argomento
rispondi
Pagina 1 di 1 [ 11 messaggi ]
Autore Messaggio
 Oggetto del messaggio: Stenurella sp. - Cerambycidae
MessaggioInviato: 30/07/2023, 14:44 
 

Iscritto il: 17/05/2014, 20:49
Messaggi: 375
Località: Prato
Nome: Daniele Totis
Salve,
mi confermate la sennii ? 10 mm.
Grazie.


stenurella_sennii1.jpg

Top
profilo
 Oggetto del messaggio: Re: Stenurella sennii
MessaggioInviato: 30/07/2023, 21:21 
Avatar utente

Iscritto il: 19/06/2012, 14:35
Messaggi: 5636
Località: Alfonsine (RA)
Nome: Marco Villani
Ciao, puoi fornire la località?


Top
profilo
 Oggetto del messaggio: Re: Stenurella sennii
MessaggioInviato: 30/07/2023, 21:42 
 

Iscritto il: 17/05/2014, 20:49
Messaggi: 375
Località: Prato
Nome: Daniele Totis
mi fermerei lì per la località. Ha comunque i peli dorati, segno distintivo, nei maschi, tra sennii e melanura.


Top
profilo
 Oggetto del messaggio: Re: Stenurella sennii
MessaggioInviato: 01/08/2023, 9:11 
Avatar utente

Iscritto il: 21/05/2009, 14:59
Messaggi: 6994
Località: Parigi
Nome: Riccardo Poloni
Non direi che si tratti di sennii. In più è una femmina...

_________________
Riccardo Poloni
La dignità degli elementi
la libertà della poesia,
al di là dei tradimenti degli uomini
è magia, è magia, è magia...
Negrita, Rotolando verso sud


Top
profilo
 Oggetto del messaggio: Re: Stenurella sennii
MessaggioInviato: 01/08/2023, 11:50 
 

Iscritto il: 17/05/2014, 20:49
Messaggi: 375
Località: Prato
Nome: Daniele Totis
Si è una femmina.. Il carattere chiaro dei peli allora non è più determinante, giusto? Leggevo su un vecchio post, Sama diceva che le femmine sono praticamente indistinguibili.


Top
profilo
 Oggetto del messaggio: Re: Stenurella sennii
MessaggioInviato: 01/08/2023, 19:19 
Avatar utente

Iscritto il: 21/05/2009, 14:59
Messaggi: 6994
Località: Parigi
Nome: Riccardo Poloni
Sì, esatto, nelle femmine non si riesce a capire, ma dalla provenienza mi pare strano che a Sama fosse sfuggita la presenza di una specie da lui descritta a pochi chilometri da casa. Poi, sulla validità di queste specie di stenurella, come sennii e samai io qualche dubbio ce l'ho. Per non parlare dei sottogeneri, che sono crollati come un castello di carte al primo accenno di filogenesi molecolare.

_________________
Riccardo Poloni
La dignità degli elementi
la libertà della poesia,
al di là dei tradimenti degli uomini
è magia, è magia, è magia...
Negrita, Rotolando verso sud


Top
profilo
 Oggetto del messaggio: Re: Stenurella sennii
MessaggioInviato: 01/08/2023, 19:28 
 

Iscritto il: 17/05/2014, 20:49
Messaggi: 375
Località: Prato
Nome: Daniele Totis
Che vuoi dire con questo?
Plagionotus ha scritto:
ma dalla provenienza mi pare strano che a Sama fosse sfuggita la presenza di una specie da lui descritta a pochi chilometri da casa.


Anche Berger, nel suo libro "Coléoptères cerambycidae de la faune de France continentale et de Corse", nutre qualche dubbio sulla validità di questa specie, come differenziata rispetto alla melanura.


Top
profilo
 Oggetto del messaggio: Re: Stenurella sennii
MessaggioInviato: 02/08/2023, 9:45 
Avatar utente

Iscritto il: 19/06/2012, 14:35
Messaggi: 5636
Località: Alfonsine (RA)
Nome: Marco Villani
Segnalo che nell'area delle foreste casentinesi la specie è già stata segnalata un paio di volte.
Sulla validità di questo taxon non mi pronuncio.
:hi:


Top
profilo
 Oggetto del messaggio: Re: Stenurella sennii
MessaggioInviato: 02/08/2023, 9:55 
Avatar utente

Iscritto il: 21/05/2009, 14:59
Messaggi: 6994
Località: Parigi
Nome: Riccardo Poloni
Bene, non sapevo fosse già stata segnalata delle foreste casentinesi! In tal caso, niente di strano. Bisognerà lasciare un sp. in questo esemplare, in ogni caso.

_________________
Riccardo Poloni
La dignità degli elementi
la libertà della poesia,
al di là dei tradimenti degli uomini
è magia, è magia, è magia...
Negrita, Rotolando verso sud


Top
profilo
 Oggetto del messaggio: Re: Stenurella sennii
MessaggioInviato: 02/08/2023, 10:18 
 

Iscritto il: 08/12/2013, 1:52
Messaggi: 7535
Località: Bagnacavallo (RA)
Nome: Giorgio Pezzi
marco villa ha scritto:
Segnalo che nell'area delle foreste casentinesi la specie è già stata segnalata un paio di volte.
Sulla validità di questo taxon non mi pronuncio.
:hi:

Una credo sia la mia, di un maschio preso al passo Mandrioli (FC-AR), m 1173, 13.VI.2007, un'altra è qui http://www.ssnr.it/43-5.pdf . :hi:


Top
profilo
 Oggetto del messaggio: Re: Stenurella sennii
MessaggioInviato: 02/08/2023, 21:12 
 

Iscritto il: 17/05/2014, 20:49
Messaggi: 375
Località: Prato
Nome: Daniele Totis
Plagionotus ha scritto:
Bisognerà lasciare un sp. in questo esemplare, in ogni caso.

Ok, poi ad entomodena la vedremo.


Top
profilo
Visualizza ultimi messaggi:  Ordina per  
nuovo argomento
rispondi
Pagina 1 di 1 [ 11 messaggi ]

Tutti gli orari sono UTC + 1 ora [ ora legale ]


Chi c’è in linea

Visitano il forum: Nessuno e 3 ospiti


Non puoi aprire nuovi argomenti
Non puoi rispondere negli argomenti
Non puoi modificare i tuoi messaggi
Non puoi cancellare i tuoi messaggi
Non puoi inviare allegati

Cerca per:
Vai a: