Benvenuto Ospite

Forum Entomologi Italiani

www.entomologiitaliani.net/forum
 
Oggi è 27/10/2025, 6:01

Tutti gli orari sono UTC + 1 ora [ ora legale ]

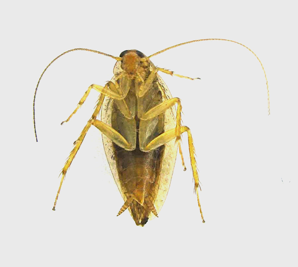
Ectobius vittiventris (Costa, 1847) Dettagli della specie

10.IX.2010 - ITALIA - Lombardia - LO, Comazzo


nuovo argomento
rispondi
Pagina 1 di 1 [ 8 messaggi ]
Autore Messaggio
MessaggioInviato: 25/10/2010, 14:12 
Avatar utente

Iscritto il: 31/08/2009, 8:42
Messaggi: 270
Località: Milano
Nome: Giampaolo Bosi
Lombardia - Comazzo - trappola aerea su quercia - 10.IX.2010 - 11 mm


New-Out99995 elab01.jpg

New-Out99996 elab01.jpg


_________________
:hi: Giampaolo
Top
profilo
 Oggetto del messaggio: Re: Blatta Lombarda numero 1
MessaggioInviato: 25/10/2010, 15:06 
Avatar utente

Iscritto il: 06/02/2009, 9:01
Messaggi: 5005
Località: Castel Mella (Brescia)
Nome: Livio Mola
Ectobius sp. maschio.
Riusciresti ad allargare tegmine ed ali e fotografare la fossetta sul settimo urotergite (appena le allarghi la noti sulla parte distale dell'addome)? Anche lo stilo (è quella sorta di ... "cilindretto" all'apice dell'addome) sarebbe interessante da esaminare.
Grazie per il contenuto del messaggio privato :D
Livio

_________________
L'oca è ritenuto l'animale simbolo della stupidità, a causa delle sciocchezze che gli uomini hanno scritto con le sue penne.


Top
profilo
 Oggetto del messaggio: Re: Blatta Lombarda numero 1
MessaggioInviato: 25/10/2010, 15:14 
Avatar utente

Iscritto il: 02/09/2009, 20:57
Messaggi: 8703
Località: Cagliari
Nome: Roberto Rattu
Molto interessante che siano andati nelle trappole aeree :shock: : come le hai innescate? Frutta?

:hi:


Top
profilo
MessaggioInviato: 25/10/2010, 15:50 
Avatar utente

Iscritto il: 31/08/2009, 8:42
Messaggi: 270
Località: Milano
Nome: Giampaolo Bosi
trappole innescate con mix di vino+zucchero+sale+banana frullata come indicato in questa discussione http://www.entomologiitaliani.net/public/forum/phpBB3/viewtopic.php?f=342&t=2088&start=15

_________________
:hi: Giampaolo


Top
profilo
MessaggioInviato: 25/10/2010, 15:51 
Avatar utente

Iscritto il: 02/09/2009, 20:57
Messaggi: 8703
Località: Cagliari
Nome: Roberto Rattu
Hydropaulus ha scritto:
trappole innescate con mix di vino+zucchero+sale+banana frullata come indicato in questa discussione http://www.entomologiitaliani.net/public/forum/phpBB3/viewtopic.php?f=342&t=2088&start=15


:ok: :ok:


Top
profilo
MessaggioInviato: 25/10/2010, 15:52 
Avatar utente

Iscritto il: 31/08/2009, 8:42
Messaggi: 270
Località: Milano
Nome: Giampaolo Bosi
Livio ha scritto:
Ectobius sp. maschio.
Riusciresti ad allargare tegmine ed ali e fotografare la fossetta sul settimo urotergite (appena le allarghi la noti sulla parte distale dell'addome)? Anche lo stilo (è quella sorta di ... "cilindretto" all'apice dell'addome) sarebbe interessante da esaminare.
Livio


ah dimenticavo :) appena posso eseguo, ma serve un po' di pazienza :D

_________________
:hi: Giampaolo


Top
profilo
MessaggioInviato: 08/11/2010, 15:43 
Avatar utente

Iscritto il: 31/08/2009, 8:42
Messaggi: 270
Località: Milano
Nome: Giampaolo Bosi
ecco le foto dell'estremità addominale in norma dorsale e ventrale.
New-Out99998 elab01.jpg



New-Out99997 elab01.jpg


_________________
:hi: Giampaolo
Top
profilo
MessaggioInviato: 08/11/2010, 16:46 
Avatar utente

Iscritto il: 06/02/2009, 9:01
Messaggi: 5005
Località: Castel Mella (Brescia)
Nome: Livio Mola
Mi sa tanto che è ancora il nostro caro, inseparabile Ectobius vittiventris :D
... E tu chiamala "specie banale"!

_________________
L'oca è ritenuto l'animale simbolo della stupidità, a causa delle sciocchezze che gli uomini hanno scritto con le sue penne.


Top
profilo
Visualizza ultimi messaggi:  Ordina per  
nuovo argomento
rispondi
Pagina 1 di 1 [ 8 messaggi ]

Tutti gli orari sono UTC + 1 ora [ ora legale ]


Chi c’è in linea

Visitano il forum: Nessuno e 0 ospiti


Non puoi aprire nuovi argomenti
Non puoi rispondere negli argomenti
Non puoi modificare i tuoi messaggi
Non puoi cancellare i tuoi messaggi
Non puoi inviare allegati

Cerca per:
Vai a:  
cron