Benvenuto Ospite

Forum Entomologi Italiani

www.entomologiitaliani.net/forum
 
Oggi è 09/11/2025, 11:30

Tutti gli orari sono UTC + 1 ora [ ora legale ]

Xylosteus bartoni Obenberger & Maran, 1933 - Cerambycidae

BULGARIA - EE, Sofia, Vitosha Mts.


nuovo argomento
rispondi
Pagina 1 di 1 [ 4 messaggi ]
Autore Messaggio
MessaggioInviato: 04/03/2010, 10:15 
 

Iscritto il: 13/09/2009, 18:04
Messaggi: 881
Nome: Pierpaolo Rapuzzi
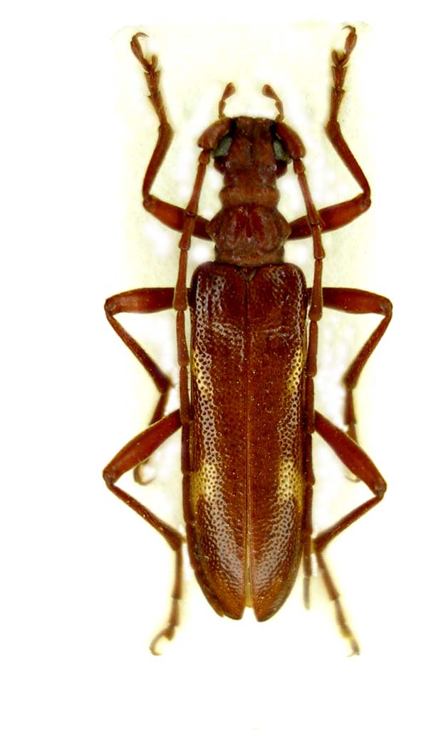
L'immagine postata si riferisce ad un maschio di Xylosteus bartoni Obenberger & Maran, 1933 che ho raccolto (assieme a Gianfranco/Isotomus) in Bulgaria l'estate scorsa. Questo esemplare arriva dalle montagne sopra Sofia (Vitosha Mts.) ed è sfarfallato da un ceppetto di Pinus.
Si tratta di una specie localizzata nell'Europa Sud-Orientale (Bulgaria e Macedonia) sui monti Rila e Rodopi. La larva si sviluppa sia su latifoglie (Corylus, Ostrya, Fagus) che su conifere (Pinus, Picea, Abies). Noi lo abbiamo trovato dalle quote medio basse sino al limite superiore delle vegetazione (1800 m sul Vitosha).
Come le altre specie di Xylosteus passa l'inverno come adulto in celletta pupale. Il ciclo completo richiede due anni.
Pierpaolo


Xylostgeus bartoni Obenberger & Maran, 1933 - Vitosha.JPG

Top
profilo
MessaggioInviato: 04/03/2010, 14:49 
Avatar utente

Iscritto il: 21/05/2009, 14:59
Messaggi: 6994
Località: Parigi
Nome: Riccardo Poloni
:o bellissimo anche questo! :mrgreen:

_________________
Riccardo Poloni
La dignità degli elementi
la libertà della poesia,
al di là dei tradimenti degli uomini
è magia, è magia, è magia...
Negrita, Rotolando verso sud


Top
profilo
MessaggioInviato: 27/12/2010, 15:42 
Avatar utente

Iscritto il: 05/09/2009, 7:56
Messaggi: 3445
Località: Cesena
Nome: Gianfranco Sama
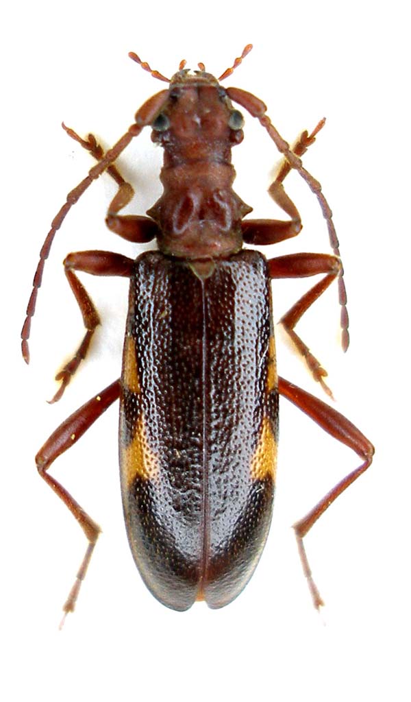
E' già presente nel Forum, ma non la femmina. Anche questi solleticheranno "l'appetito" di Marcello / Entomarci (e di altri :mrgreen: )
Intanto inserisco un maschio di Bulgaria, Rila planina, 30.VI.1975, leg. M. Spryal
Xylosteus bartoni_male.jpg

e quindi la femmina, ancora (of course) di Bulgaria, SW Bulgaria, Begovica env., 1650m, 18 km NE Sandanski, 29.VI/3.VII.2004 entrambi in coll. G. Sama
Xylosteus bartoni_female.jpg


_________________
Gianfranco Sama

"Benedetto colui che ti aiuta a correggere i tuoi errori invece di scagliarteli contro"
___________________________________
Gershom Sholem


Top
profilo
MessaggioInviato: 28/12/2010, 20:30 
Avatar utente

Iscritto il: 05/08/2009, 18:02
Messaggi: 2264
Nome: Marcello Benelli
gnam gnam.... ragazzi qua i casi sono due, o la smettete di postare bestie mitiche a manetta o dovro' prendere un semestre di aspettativa dal lavoro per cercarle tutte...
O, terza e saggia alternativa, semplicemente continuero' ad ammirarle e rimirarle, fin tanto che, con pazienza, gli anni (e le ferie) che verranno mi daranno la possibilità di raccoglierle tutte quante... nessuna esclusa!
Intanto quest'anno ho preso lo spinolae, e non è poco...

_________________
Marci
"S'i fosse fuoco, arderei 'l mondo,
S'i fosse vento, lo tempesterei,
S'i fosse acqua, i' l'annegherei
s'i fosse dio, mandereil' en profondo" ( Cecco Angiolieri).


Top
profilo
Visualizza ultimi messaggi:  Ordina per  
nuovo argomento
rispondi
Pagina 1 di 1 [ 4 messaggi ]

Tutti gli orari sono UTC + 1 ora [ ora legale ]


Chi c’è in linea

Visitano il forum: Nessuno e 1 ospite


Non puoi aprire nuovi argomenti
Non puoi rispondere negli argomenti
Non puoi modificare i tuoi messaggi
Non puoi cancellare i tuoi messaggi
Non puoi inviare allegati

Cerca per:
Vai a:  
cron