Benvenuto Ospite

Forum Entomologi Italiani

www.entomologiitaliani.net/forum
 
Oggi è 20/04/2026, 23:55

Tutti gli orari sono UTC + 1 ora [ ora legale ]

Filtro località

Filtro località

In questo pannello è possibile effettuare delle ricerche mirate in base alle località inserite nel forum.

Statistiche

Statistiche
In totale ci sono 90096 taxa:
- 86151 taxa con dati completi
- 2740 taxa con dati parziali, riconducibili ad un paese
- 1205 taxa con dati incompleti


escludi dalla ricerca i subforum
Distribuzione in Europa
Distribuzione in Italia
Filtro applicato: GUYANA FRANCESE

Pagina 1 di 1 [ 4 messaggi ]

# A B C D E F G H I J K L M N O P Q R S T U V W X Y Z
 Argomenti   Autore   Risposte   Visite    Ultimo messaggio 
Camaria parallela Champion, 1886 - Tenebrionidae
1.II.2016 - GUYANA FRANCESE - EE, vicino a Galmont
Allegato(i)
Camaria parallela Champion, 1886 - Tenebrionidae

in Tenebrionidae


Dati di raccolta: 1.II.2016 - GUYANA FRANCESE - EE, vicino a Galmont

cosmln

0

1004

30/12/2018, 22:09

cosmln Vedi ultimo messaggio

Emelinus sp. - Aderidae
1.II.2016 - GUYANA FRANCESE - EE, vicino a Galmot (Gite Moutouchi)
Allegato(i)
Emelinus sp. - Aderidae

in Aderidae


Dati di raccolta: 1.II.2016 - GUYANA FRANCESE - EE, vicino a Galmot (Gite Moutouchi)

cosmln

2

1329

01/12/2016, 12:55

cosmln Vedi ultimo messaggio

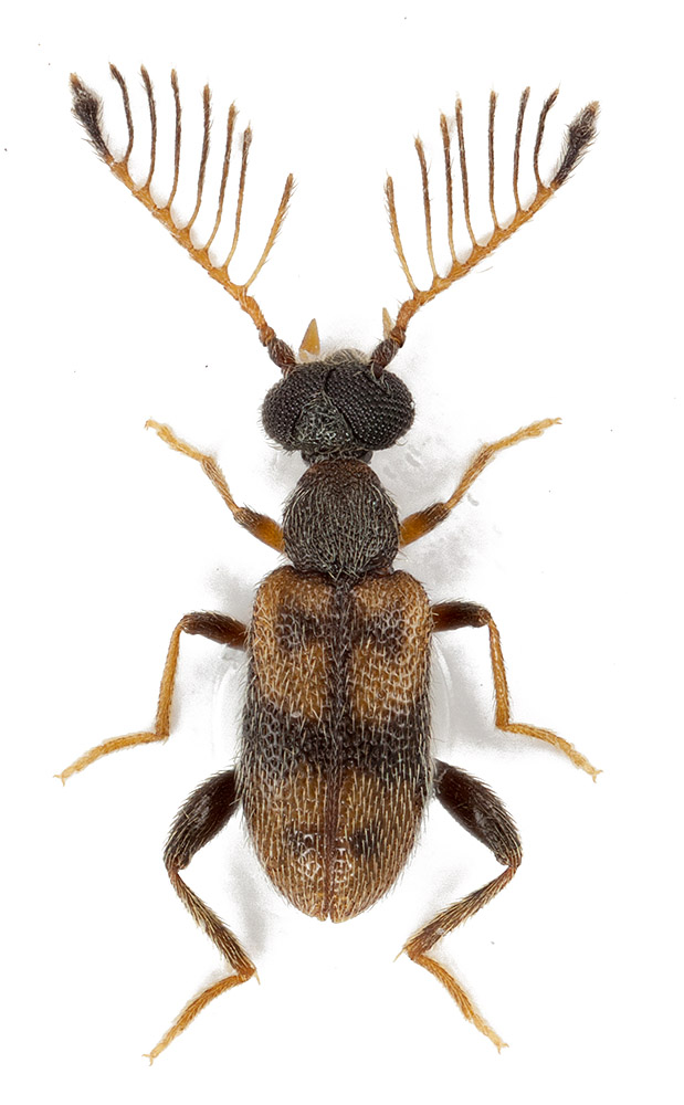
Physiomorphus sp. - Mycteridae Eurypinae
VIII.2015 - GUYANA FRANCESE - EE, Bélizon
Allegato(i)
Physiomorphus sp. - Mycteridae Eurypinae

in Mycteridae


Dati di raccolta: VIII.2015 - GUYANA FRANCESE - EE, Bélizon

Enoplium

4

1705

08/12/2017, 23:08

Enoplium Vedi ultimo messaggio

Polypria sp. - Oedemeridae Polypriinae
VII.2016 - GUYANA FRANCESE - EE, Bélizon
Allegato(i)
Polypria sp. - Oedemeridae Polypriinae

in Oedemeridae


Dati di raccolta: VII.2016 - GUYANA FRANCESE - EE, Bélizon

Enoplium

8

2317

27/06/2018, 10:00

Plagionotus Vedi ultimo messaggio


Inserisci un link per questa ricerca

Inserisci un link per questa ricerca URL
BBCode
HTML
Vai a: