Benvenuto Ospite

Forum Entomologi Italiani

www.entomologiitaliani.net/forum
 
Oggi è 28/04/2026, 11:12

Tutti gli orari sono UTC + 1 ora [ ora legale ]


70% 
186 taxa correttamente determinati su 266 presenti in archivio

Oedemeridae


[ AFROTROPICALE ] [ ANTARTICO ] [ AUSTRALASIANO ] [ NEARTICO ] [ NEOTROPICALE ] [ ORIENTALE ] [ PALEARTICO ]


nuovo argomento
Vai alla pagina 1, 2, 3, 4, 5 ... 8  Prossimo
Pagina 1 di 8 [ 363 argomenti ]
 Argomenti   Ordine   Autore   Risposte   Visite    Ultimo messaggio 
Annunci
Nessun messaggio da leggere
Allegato(i)
Incontri entomologici della Società Entomologica Italiana 2025-2026
 

Velvet Ant

0

54382

17/11/2025, 19:41

Velvet Ant Vedi ultimo messaggio

Nessun messaggio da leggere
Allegato(i)
Incontri entomologici telematici organizzati dalla Società Entomologica Italiana nel 2022 e nel 2023

[ Vai alla paginaVai alla pagina: 1, 2, 3 ]

 

Velvet Ant

44

2056807

03/03/2023, 15:55

Velvet Ant Vedi ultimo messaggio

Nessun messaggio da leggere  
Allegato(i)
Sondaggio sul declino dell'entomofauna in Italia

[ Vai alla paginaVai alla pagina: 1, 2, 3, 4 ]

 

Velvet Ant

52

2732017

22/10/2022, 19:18

Acquarius Vedi ultimo messaggio

Nessun messaggio da leggere  
Allegato(i)
Progetto: Bibliografia ragionata dei lavori entomologici nei quali sono citati reperti apparsi su FEI

[ Vai alla paginaVai alla pagina: 1, 2, 3 ]

 

Velvet Ant

33

1648656

06/07/2023, 18:31

Orotrechus Vedi ultimo messaggio

Nessun messaggio da leggere
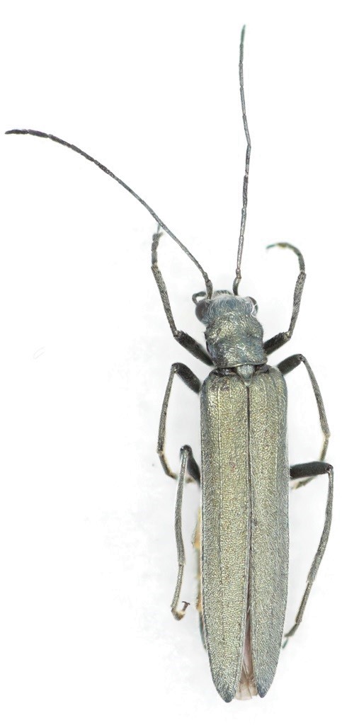
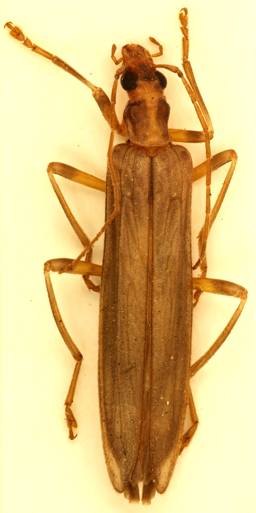
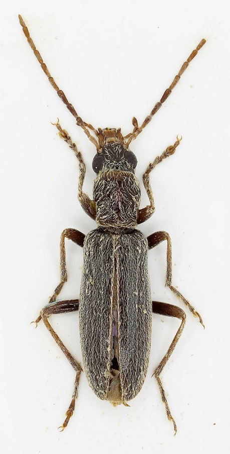
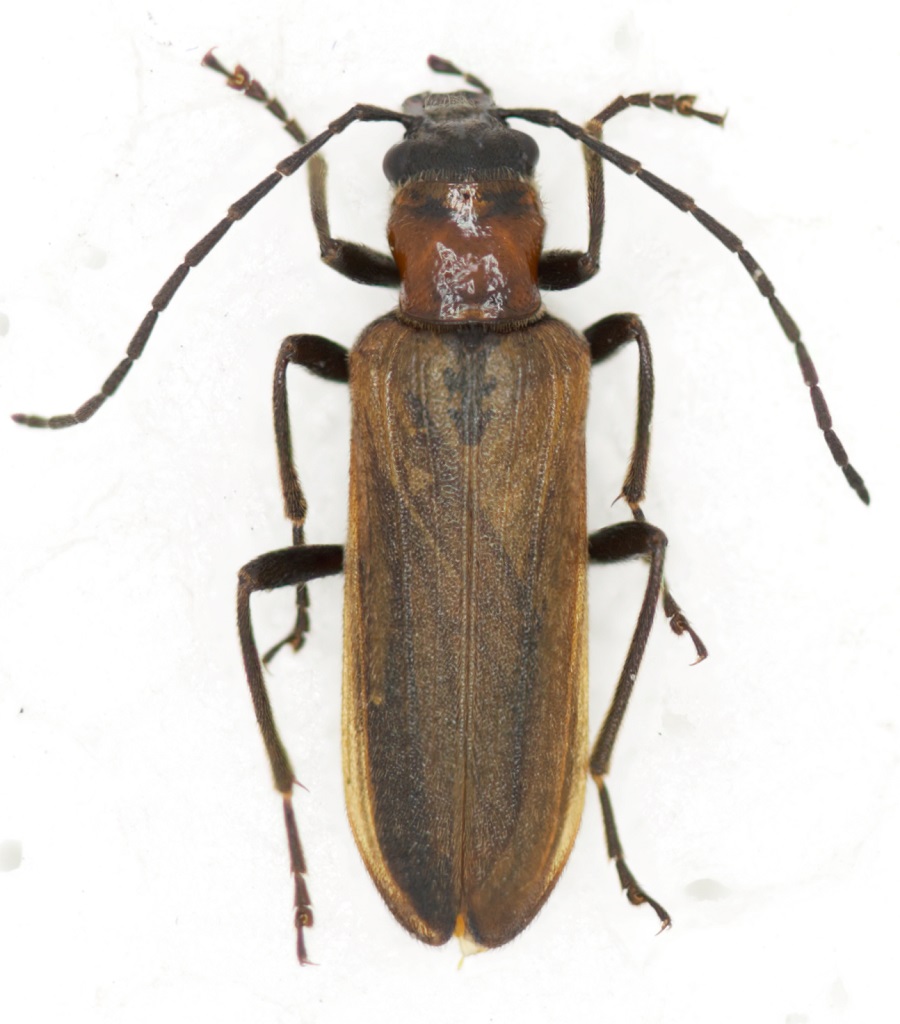
Anogcodes ruficollis (Fabricius, 1781) - Oedemeridae
27.V.2019 - ITALIA - Marche - AN
Allegato(i) Dettagli della specie
Anogcodes ruficollis (Fabricius, 1781)
Oedemeridae


27.V.2019 - ITALIA - Marche - AN
Coleoptera

StagBeetle

7

2469

12/06/2019, 14:51

Plagionotus Vedi ultimo messaggio

Nessun messaggio da leggere
Allegato(i)
Mimesi, il primo documentario cinematografico sull’entomologia in Italia: casting
 

mazzeip

1

1144721

28/02/2019, 20:26

mazzeip Vedi ultimo messaggio

Questo argomento è bloccato, non puoi modificare o inviare ulteriori messaggi.
Allegato(i)
ISTRUZIONI PUBBLICAZIONE NUOVI ARGOMENTI E FOTO

 
Altri Ordini di Insetti

Julodis

4

2965078

13/05/2015, 19:37

Julodis Vedi ultimo messaggio

Nessun messaggio da leggere
Allegato(i)
Limitatore giornaliero di messaggi, uno strumento utile e ormai indispensabile

[ Vai alla paginaVai alla pagina: 1 ... 14, 15, 16 ]

 

Velvet Ant

233

13938648

25/09/2014, 14:31

Inachis Vedi ultimo messaggio

Nessun messaggio da leggere  
NORME PER I COLLABORATORI DEL FORUM

 
 

Velvet Ant

0

675923

02/06/2011, 12:05

Velvet Ant Vedi ultimo messaggio

Nessun messaggio da leggere
Allegato(i)
NORME PER GLI UTENTI DEL FORUM

[ Vai alla paginaVai alla pagina: 1, 2, 3 ]



 
 

Velvet Ant

30

3762451

23/09/2014, 23:54

Maurizio Bollino Vedi ultimo messaggio

Nessun messaggio da leggere  
Lista degli utenti del "Forum entomologi italiani" per campi di interesse e specializzazione

 
Altri Ordini di Insetti

Velvet Ant

13

1144574

07/09/2023, 17:14

Roberto-07 Vedi ultimo messaggio

Argomenti
Questo argomento è bloccato, non puoi modificare o inviare ulteriori messaggi.  
Coleoptera Oedemeridae. Elenco delle specie presenti sul forum

 
Coleoptera

Daniele Sechi

1

1211

16/02/2011, 13:07

Daniele Sechi Vedi ultimo messaggio

Nessun messaggio da leggere
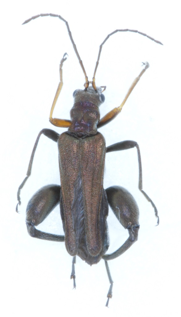
Anogcodes ruficollis (Fabricius, 1781) ♂ - Oedemeridae
18.V.2025 - ITALIA - Veneto - PD
Allegato(i)
Anogcodes ruficollis (Fabricius, 1781) ♂ - Oedemeridae

18.V.2025 - ITALIA - Veneto - PD
Coleoptera

plumipes

2

672

20/05/2025, 21:56

plumipes Vedi ultimo messaggio

Nessun messaggio da leggere
Allegato(i)
Oedemera (Oedemera) flavipes (Fabricius, 1792) ♂ - Oedemeridae

1.VII.2024 - FRANCIA - EE
Coleoptera

Michele A

2

727

09/08/2024, 9:59

Michele A Vedi ultimo messaggio

Nessun messaggio da leggere
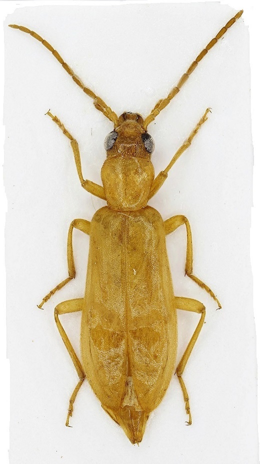
Oedemera sp. - Oedemeridae
1.VII.2024 - FRANCIA - EE
Allegato(i)
Oedemera sp. - Oedemeridae

1.VII.2024 - FRANCIA - EE
Coleoptera

Michele A

3

654

01/08/2024, 11:39

Michele A Vedi ultimo messaggio

Nessun messaggio da leggere
Oedemera (Oedemera) nobilis (Scopoli, 1763) - Oedemeridae
9.VI.2024 - ITALIA - Friuli-Venezia Giulia - UD
Allegato(i)
Oedemera (Oedemera) nobilis (Scopoli, 1763) - Oedemeridae

9.VI.2024 - ITALIA - Friuli-Venezia Giulia - UD
Coleoptera

Michele A

1

518

20/07/2024, 16:36

Max10 Vedi ultimo messaggio

Nessun messaggio da leggere
Allegato(i)
Nacerdes (Nacerdes) melanura (Linnaeus, 1758) - Oedemeridae

29.V.2024 - ITALIA - Lazio - RM
Coleoptera

soken

2

588

30/05/2024, 15:59

soken Vedi ultimo messaggio

Nessun messaggio da leggere
Chrysanthia viridissima (Linnaeus, 1758) - Oedemeridae
22.VI.2018 - ITALIA - Trentino-Alto Adige - TN
Allegato(i) Dettagli della specie
Chrysanthia viridissima (Linnaeus, 1758)
Oedemeridae


22.VI.2018 - ITALIA - Trentino-Alto Adige - TN
Coleoptera

Daniele Sechi

4

777

05/03/2024, 15:01

Plagionotus Vedi ultimo messaggio

Nessun messaggio da leggere
Allegato(i)
Ischnomera tenietensis (Abeille de Perrin, 1896) - Oedemeridae
Oedemeridae


26.V.2023 - MAROCCO - EE
Coleoptera

Daniele Sechi

2

533

25/02/2024, 20:37

Daniele Sechi Vedi ultimo messaggio

Nessun messaggio da leggere
Allegato(i) Dettagli della specie
Oedemera (Oedemera) simplex (Linnaeus, 1767) cf.
Oedemeridae


26.V.2023 - MAROCCO - EE
Coleoptera

Daniele Sechi

1

438

25/02/2024, 19:46

Plagionotus Vedi ultimo messaggio

Nessun messaggio da leggere
Allegato(i)
Nacerdes (Xanthochroa) gracilis bellieri (Reiche, 1861) - Oedemeridae
Oedemeridae


28.VI.2003 - FRANCIA - EE
Coleoptera

Daniele Sechi

2

510

21/02/2024, 23:00

Daniele Sechi Vedi ultimo messaggio

Nessun messaggio da leggere
Oedemera (Oedemera) podagrariae podagrariae (Linnaeus, 1767) - Oedemeridae
8.VIII.2023 - ITALIA - Trentino-Alto Adige - BZ
Allegato(i) Dettagli della specie
Oedemera (Oedemera) podagrariae podagrariae (Linnaeus, 1767)
Oedemeridae


8.VIII.2023 - ITALIA - Trentino-Alto Adige - BZ
Coleoptera

UlpiNov

2

622

21/02/2024, 13:13

UlpiNov Vedi ultimo messaggio

Nessun messaggio da leggere
Allegato(i) Dettagli della specie
Anogcodes ustulatus (Scopoli, 1763)
Oedemeridae


24.V.2011 - TURCHIA - EE
Coleoptera

Fumea crassiorella

6

2265

19/10/2023, 14:07

marion Vedi ultimo messaggio

Nessun messaggio da leggere
Allegato(i)
Chrysanthia flavipes Reitter, 1889 - Oedemeridae

VI - GRECIA - EE
Coleoptera

marion

4

824

04/09/2023, 15:41

Plagionotus Vedi ultimo messaggio

Nessun messaggio da leggere
Chrysanthia geniculata (W. Schmidt, 1846) - Oedemeridae
1.VIII.2023 - ITALIA - Trentino-Alto Adige - TN
Allegato(i)
Chrysanthia geniculata (W. Schmidt, 1846) - Oedemeridae

1.VIII.2023 - ITALIA - Trentino-Alto Adige - TN
Coleoptera

Syrio

2

740

16/08/2023, 18:00

Syrio Vedi ultimo messaggio

Nessun messaggio da leggere
Allegato(i)
Chrysanthia geniculata (W. Schmidt, 1846) - Oedemeridae
Oedemeridae


26.VI.2011 - ROMANIA - EE
Coleoptera

alexaandru

2

1272

12/08/2023, 11:55

alexaandru Vedi ultimo messaggio

Nessun messaggio da leggere
Anogcodes fulvicollis (Scopoli, 1763) - Oedemeridae
30.VII.2023 - ITALIA - Trentino-Alto Adige - TN
Allegato(i)
Anogcodes fulvicollis (Scopoli, 1763) - Oedemeridae

30.VII.2023 - ITALIA - Trentino-Alto Adige - TN
Coleoptera

Syrio

8

1192

11/08/2023, 21:30

Syrio Vedi ultimo messaggio

Nessun messaggio da leggere
Oedemera lurida (Marsham, 1802) - Oedemeridae Oedemerinae
10.VI.2023 - ITALIA - Calabria - VV
Allegato(i)
Oedemera lurida (Marsham, 1802) - Oedemeridae Oedemerinae

10.VI.2023 - ITALIA - Calabria - VV
Coleoptera

soken

3

706

02/07/2023, 1:27

soken Vedi ultimo messaggio

Nessun messaggio da leggere
Oedemera (Oedemera) simplex (Linnaeus, 1767) - Oedemeridae
24.VI.2008 - ITALIA - Sicilia - RG
Allegato(i) Dettagli della specie
Oedemera (Oedemera) simplex (Linnaeus, 1767)
Oedemeridae


24.VI.2008 - ITALIA - Sicilia - RG
Coleoptera

soken

2

739

29/06/2023, 17:33

soken Vedi ultimo messaggio

Nessun messaggio da leggere
Anogcodes ruficollis (Fabricius, 1781) - Oedemeridae
12.VI.2023 - ITALIA - Calabria - CZ
Allegato(i)
Anogcodes ruficollis (Fabricius, 1781) - Oedemeridae

12.VI.2023 - ITALIA - Calabria - CZ
Coleoptera

soken

0

769

26/06/2023, 18:40

soken Vedi ultimo messaggio

Nessun messaggio da leggere
Allegato(i)
Oedemera (Oedemera) flavipes (Fabricius, 1792) - Oedemeridae

25.V.2023 - ITALIA - Marche - PU
Coleoptera

plumipes

1

496

19/06/2023, 19:30

Chalybion Vedi ultimo messaggio

Nessun messaggio da leggere
Oedemera (Oedemera) flavipes (Fabricius, 1792) - Oedemeridae
10.VII.2018 - ITALIA - Marche - PU
Allegato(i)
Oedemera (Oedemera) flavipes (Fabricius, 1792) - Oedemeridae

10.VII.2018 - ITALIA - Marche - PU
Coleoptera

plumipes

2

640

12/05/2023, 9:59

plumipes Vedi ultimo messaggio

Nessun messaggio da leggere
Chrysanthia sp. - Oedemeridae
26.V.2012 - TURCHIA - EE
Allegato(i)
Chrysanthia sp. - Oedemeridae

26.V.2012 - TURCHIA - EE
Coleoptera

hsn6a

2

653

27/12/2022, 12:43

Plagionotus Vedi ultimo messaggio

Nessun messaggio da leggere
Chrysanthia sp. - Oedemeridae
25.VII.2018 - TURCHIA - EE
Allegato(i)
Chrysanthia sp. - Oedemeridae

25.VII.2018 - TURCHIA - EE
Coleoptera

hsn6a

1

485

27/12/2022, 12:29

Plagionotus Vedi ultimo messaggio

Nessun messaggio da leggere
Chrysanthia sp. - Oedemeridae
14.VI.2010 - TURCHIA - EE
Allegato(i)
Chrysanthia sp. - Oedemeridae

14.VI.2010 - TURCHIA - EE
Coleoptera

hsn6a

3

659

27/12/2022, 8:46

hsn6a Vedi ultimo messaggio

Nessun messaggio da leggere
Chrysanthia viridissima (Linnaeus, 1758) - Oedemeridae
26.VI.1994 - ITALIA - Marche - MC
Allegato(i) Dettagli della specie
Chrysanthia viridissima (Linnaeus, 1758)
Oedemeridae


26.VI.1994 - ITALIA - Marche - MC
Coleoptera

dorbodervus

2

815

08/12/2022, 15:44

dorbodervus Vedi ultimo messaggio

Nessun messaggio da leggere
Allegato(i)
Anogcodes rufiventris (Scopoli, 1763) - Oedemeridae

17.VI.2022 - SLOVENIA - EE
Coleoptera

Dicomed

2

744

07/12/2022, 23:49

Dicomed Vedi ultimo messaggio

Nessun messaggio da leggere
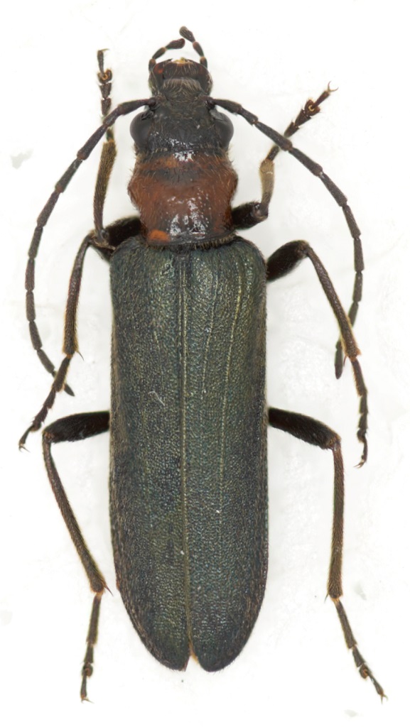
Alloxantha platytarsia (Švihla, 1983) - Oedemeridae
26.IV.2002 - IRAN, REPUBBLICA ISLAMICA DELL' - EE
Allegato(i)
Alloxantha platytarsia (Švihla, 1983) - Oedemeridae
Oedemeridae


26.IV.2002 - IRAN, REPUBBLICA ISLAMICA DELL' - EE
Coleoptera

Plagionotus

0

655

11/11/2022, 16:26

Plagionotus Vedi ultimo messaggio

Nessun messaggio da leggere
Allegato(i) Dettagli della specie
Oedemera (Oncomera) femoralis femoralis Olivier, 1803
Oedemeridae


25.IV.2014 - ITALIA - Puglia - FG
Coleoptera

Apoderus

10

2127

13/09/2022, 1:12

Clickie Vedi ultimo messaggio

Nessun messaggio da leggere
Oedemera (Oedemera) tristis W.Schmidt, 1846 - Oedemeridae
26.VI.2022 - ITALIA - Friuli-Venezia Giulia - UD
Allegato(i) Dettagli della specie
Oedemera (Oedemera) tristis W.Schmidt, 1846
Oedemeridae


26.VI.2022 - ITALIA - Friuli-Venezia Giulia - UD
Coleoptera

Michele A

3

854

10/08/2022, 18:44

Michele A Vedi ultimo messaggio

Nessun messaggio da leggere
Probosca (Proboxantha) coniuncta Poloni, 2022
10.VII.2018 - OMAN - EE
Allegato(i)
Probosca (Proboxantha) coniuncta Poloni, 2022
Oedemeridae


10.VII.2018 - OMAN - EE
Coleoptera

Enoplium

6

1677

01/08/2022, 12:55

Plagionotus Vedi ultimo messaggio

Nessun messaggio da leggere
Anogcodes fulvicollis (Scopoli, 1763) - Oedemeridae
11.VII.2022 - ITALIA - Trentino-Alto Adige - TN
Allegato(i) Dettagli della specie
Anogcodes fulvicollis (Scopoli, 1763)
Oedemeridae


11.VII.2022 - ITALIA - Trentino-Alto Adige - TN
Coleoptera

wgliinsetti

7

1104

22/07/2022, 19:24

wgliinsetti Vedi ultimo messaggio

Nessun messaggio da leggere
Anogcodes fulvicollis (Scopoli, 1763) - Oedemeridae
11.VII.2022 - ITALIA - Trentino-Alto Adige - TN
Allegato(i) Dettagli della specie
Anogcodes fulvicollis (Scopoli, 1763)
Oedemeridae


11.VII.2022 - ITALIA - Trentino-Alto Adige - TN
Coleoptera

wgliinsetti

2

619

19/07/2022, 16:58

wgliinsetti Vedi ultimo messaggio

Nessun messaggio da leggere
Oedemera (Oedemera) nobilis (Scopoli, 1763) - Oedemeridae
VI.2022 - ITALIA - Piemonte - VB
Allegato(i) Dettagli della specie
Oedemera (Oedemera) nobilis (Scopoli, 1763)
Oedemeridae


VI.2022 - ITALIA - Piemonte - VB
Coleoptera

marco_a

7

1506

13/07/2022, 14:19

plumipes Vedi ultimo messaggio

Nessun messaggio da leggere
Anogcodes seladonius alpinus (W.Schmidt, 1846) - Oedemeridae
22.VI.2022 - ITALIA - Emilia-Romagna - PR
Allegato(i) Dettagli della specie
Anogcodes seladonius alpinus (W.Schmidt, 1846)
Oedemeridae


22.VI.2022 - ITALIA - Emilia-Romagna - PR
Coleoptera

picollo

3

768

29/06/2022, 9:50

Plagionotus Vedi ultimo messaggio

Nessun messaggio da leggere
Oedemera (Oedemera) nobilis (Scopoli, 1763) - Oedemeridae
28.V.2022 - ITALIA - Friuli-Venezia Giulia - UD
Allegato(i) Dettagli della specie
Oedemera (Oedemera) nobilis (Scopoli, 1763)
Oedemeridae


28.V.2022 - ITALIA - Friuli-Venezia Giulia - UD
Coleoptera

Michele A

2

618

20/06/2022, 9:21

Michele A Vedi ultimo messaggio

Nessun messaggio da leggere
Oedemera (Oedemera) nobilis (Scopoli, 1763) - Oedemeridae
24.V.2022 - ITALIA - Marche - PU
Allegato(i) Dettagli della specie
Oedemera (Oedemera) nobilis (Scopoli, 1763)
Oedemeridae


24.V.2022 - ITALIA - Marche - PU
Coleoptera

plumipes

4

944

31/05/2022, 10:10

wgliinsetti Vedi ultimo messaggio

Nessun messaggio da leggere
Oedemera (Oedemera) flavipes (Fabricius, 1792) - Oedemeridae
30.IV.2022 - ITALIA - Sicilia - PA
Allegato(i) Dettagli della specie
Oedemera (Oedemera) flavipes (Fabricius, 1792)
Oedemeridae


30.IV.2022 - ITALIA - Sicilia - PA
Coleoptera

Marco Ferrante

2

619

13/05/2022, 20:28

Marco Ferrante Vedi ultimo messaggio

Nessun messaggio da leggere
Chrysanthia viridissima (Linnaeus, 1758) - Oedemeridae
2.VII.2019 - ITALIA - Trentino-Alto Adige - TN
Allegato(i) Dettagli della specie
Chrysanthia viridissima (Linnaeus, 1758)
Oedemeridae


2.VII.2019 - ITALIA - Trentino-Alto Adige - TN
Coleoptera

Biasi

8

1221

17/03/2022, 14:25

Biasi Vedi ultimo messaggio

Nessun messaggio da leggere
Oedemera (Oncomera) femoralis femoralis Olivier, 1803 - Oedemeridae
10.VII.2020 - ITALIA - Trentino-Alto Adige - TN
Allegato(i) Dettagli della specie
Oedemera (Oncomera) femoralis femoralis Olivier, 1803
Oedemeridae


10.VII.2020 - ITALIA - Trentino-Alto Adige - TN
Coleoptera

Biasi

6

1171

26/01/2022, 21:37

Clickie Vedi ultimo messaggio

Nessun messaggio da leggere
Allegato(i) Dettagli della specie
Oedemera (Oedemera) crassipes Ganglbauer, 1881
Oedemeridae


20.V.2021 - ITALIA - Lazio - RM
Coleoptera

wgliinsetti

12

1300

13/12/2021, 14:16

Plagionotus Vedi ultimo messaggio

Nessun messaggio da leggere
Allegato(i) Dettagli della specie
Anogcodes ruficollis (Fabricius, 1781)
Oedemeridae


17.VI.2014 - BULGARIA - EE
Coleoptera

matthew gandy

5

1363

03/11/2021, 10:41

Plagionotus Vedi ultimo messaggio

Nessun messaggio da leggere
Allegato(i) Dettagli della specie
Oedemera (Oedemera) barbara (Fabricius, 1792)
Oedemeridae


8.VI.2019 - ITALIA - Lazio - RM
Coleoptera

soken

3

881

22/10/2021, 15:21

soken Vedi ultimo messaggio

Nessun messaggio da leggere
Allegato(i)
Nacerdochroa carinatopyga Švihla, 1983 - Oedemeridae
Oedemeridae


10.VII.2018 - OMAN - EE
Coleoptera

Enoplium

4

1684

21/09/2021, 16:57

Plagionotus Vedi ultimo messaggio

Nessun messaggio da leggere
Nacerdes (Xanthochroa) carniolica carniolica (Gistl, 1834) - Oedemeridae
3.IX.2021 - ITALIA - Friuli-Venezia Giulia - PN
Allegato(i) Dettagli della specie
Nacerdes (Xanthochroa) carniolica carniolica (Gistl, 1834)
Oedemeridae


3.IX.2021 - ITALIA - Friuli-Venezia Giulia - PN
Coleoptera

Agdistis

2

964

12/09/2021, 15:58

Agdistis Vedi ultimo messaggio

Nessun messaggio da leggere
Allegato(i)
Nacerdes (Xanthochroa) carniolica peloponesiaca Švihla, 1991 - Oedemeridae
Oedemeridae


4.VIII.2012 - ITALIA - Calabria - VV
Coleoptera

Limonium calabrum

13

4461

11/09/2021, 15:49

Plagionotus Vedi ultimo messaggio

Nessun messaggio da leggere
Oedemera (Oedemera) flavipes (Fabricius, 1792) - Oedemeridae
9.VIII.2021 - ITALIA - Lazio - RM
Allegato(i) Dettagli della specie
Oedemera (Oedemera) flavipes (Fabricius, 1792)
Oedemeridae


9.VIII.2021 - ITALIA - Lazio - RM
Coleoptera

soken

2

898

13/08/2021, 14:38

soken Vedi ultimo messaggio

Nessun messaggio da leggere
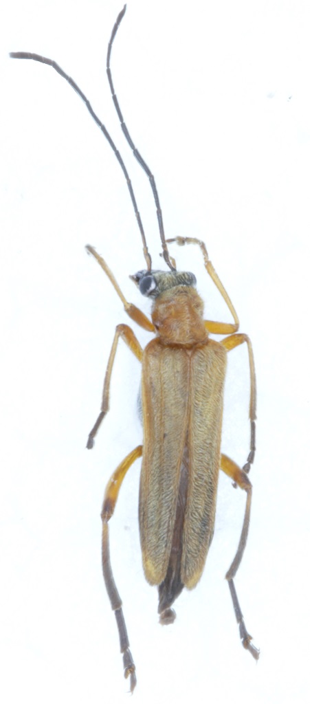
Stenostoma rostratum (Fabricius, 1787) - Oedemeridae
7.VII.2021 - ITALIA - Puglia - FG
Allegato(i) Dettagli della specie
Stenostoma rostratum (Fabricius, 1787)
Oedemeridae


7.VII.2021 - ITALIA - Puglia - FG
Coleoptera

wgliinsetti

2

905

03/08/2021, 15:36

wgliinsetti Vedi ultimo messaggio

Nessun messaggio da leggere
Allegato(i) Dettagli della specie
Oedemera (Oedemera) flavipes (Fabricius, 1792)
Oedemeridae


18.VI.2021 - ITALIA - Lazio - RM
Coleoptera

wgliinsetti

3

936

15/07/2021, 7:38

wgliinsetti Vedi ultimo messaggio

Nessun messaggio da leggere
Allegato(i) Dettagli della specie
Oedemera (Oedemera) podagrariae podagrariae (Linnaeus, 1767)
Oedemeridae


18.VI.2021 - ITALIA - Lazio - RM
Coleoptera

wgliinsetti

3

889

13/07/2021, 22:55

Clickie Vedi ultimo messaggio

Nessun messaggio da leggere
Oedemera (Oedemera) tristis W.Schmidt, 1846 - Oedemeridae
12.VII.2021 - ITALIA - Friuli-Venezia Giulia - UD
Allegato(i) Dettagli della specie
Oedemera (Oedemera) tristis W.Schmidt, 1846
Oedemeridae


12.VII.2021 - ITALIA - Friuli-Venezia Giulia - UD
Coleoptera

Agdistis

1

754

13/07/2021, 17:15

Plagionotus Vedi ultimo messaggio

Visualizza ultimi argomenti:  Ordina per  Ordine:  
nuovo argomento
Vai alla pagina 1, 2, 3, 4, 5 ... 8  Prossimo
Pagina 1 di 8 [ 363 argomenti ]

Tutti gli orari sono UTC + 1 ora [ ora legale ]


Chi c’è in linea

Visitano il forum: Nessuno e 1 ospite


Legenda
Messaggi da leggere Messaggi da leggere Nessun messaggio da leggere Nessun messaggio da leggere Annuncio Annuncio
 
Specie indeterminata / discussione generica
Messaggi non letti [ Popolari ] Messaggi non letti [ Popolari ] Nessun messaggio da leggere [ Popolare ] Nessun messaggio da leggere [ Popolare ] Importante Importante
 
Specie determinata fino al genere o cf.
Messaggi non letti [ Bloccati ] Messaggi non letti [ Bloccati ] No messaggi non letti [ Bloccati ] No messaggi non letti [ Bloccati ] Argomento spostato Argomento spostato
 
Specie correttamente determinata
Permessi
Non puoi aprire nuovi argomenti
Non puoi rispondere negli argomenti
Non puoi modificare i tuoi messaggi
Non puoi cancellare i tuoi messaggi
Non puoi inviare allegati

Cerca per:
Vai a: