Benvenuto Ospite

Forum Entomologi Italiani

www.entomologiitaliani.net/forum
 
Oggi è 20/04/2026, 23:18

Tutti gli orari sono UTC + 1 ora [ ora legale ]

Filtro località

Filtro località

In questo pannello è possibile effettuare delle ricerche mirate in base alle località inserite nel forum.

Statistiche

Statistiche
In totale ci sono 90096 taxa:
- 86151 taxa con dati completi
- 2740 taxa con dati parziali, riconducibili ad un paese
- 1205 taxa con dati incompleti


escludi dalla ricerca i subforum
Distribuzione in Europa
Distribuzione in Italia
Filtro applicato: CROAZIA

Pagina 1 di 2 [ 16 messaggi ]

# A B C D E F G H I J K L M N O P Q R S T U V W X Y Z
 Argomenti   Autore   Risposte   Visite    Ultimo messaggio 
Anthicus laeviceps Baudi di Selve, 1877 - Anthicidae
7.VIII.2019 - CROAZIA - EE, fallow land near Liznjan (Lisignano), Istria
Allegato(i) Dettagli della specie
Anthicus laeviceps Baudi di Selve, 1877 - Anthicidae

in Anthicidae


Dati di raccolta: 7.VIII.2019 - CROAZIA - EE, fallow land near Liznjan (Lisignano), Istria

Michael Becker

2

1253

23/10/2019, 5:00

Michael Becker Vedi ultimo messaggio

Asida (Asida) sabulosa sabulosa (Fuessly, 1775) - Tenebrionidae
15.VI.1999 - CROAZIA - EE, Umag, Kanegra
Allegato(i)
Asida (Asida) sabulosa sabulosa (Fuessly, 1775) - Tenebrionidae

in Tenebrionidae


Dati di raccolta: 15.VI.1999 - CROAZIA - EE, Umag, Kanegra

karia

2

747

14/12/2012, 10:37

karia Vedi ultimo messaggio

Allegato(i)
Helops (Helops) rossii Germar, 1817 - Tenebrionidae Tenebrioninae Helopini

in Tenebrionidae


Dati di raccolta: CROAZIA - EE

papuina

3

700

19/10/2010, 23:18

papuina Vedi ultimo messaggio

Helops rossii Germar, 1817 - Tenebrionidae
14.VIII.2014 - CROAZIA - EE, Dramalj
Allegato(i)
Helops rossii Germar, 1817 - Tenebrionidae

in Tenebrionidae


Dati di raccolta: 14.VIII.2014 - CROAZIA - EE, Dramalj

gstalker

2

672

06/02/2016, 17:19

gstalker Vedi ultimo messaggio

Hymenalia rufipes (Fabricius, 1792) - Tenebrionidae Alleculinae
1.VII.1997 - CROAZIA - EE, Croatia - Istria, Labin env.
Allegato(i)
Hymenalia rufipes (Fabricius, 1792) - Tenebrionidae Alleculinae

in Tenebrionidae


Dati di raccolta: 1.VII.1997 - CROAZIA - EE, Croatia - Istria, Labin env.

ivo

1

305

19/03/2026, 19:35

Enrico Ruzzier Vedi ultimo messaggio

Hymenorus doublieri (Mulsant,1851) (cf.) - Tenebrionidae Alleculinae
10.VIII.2018 - CROAZIA - EE, Riviera di Makarska
Allegato(i)
Hymenorus doublieri (Mulsant,1851) (cf.) - Tenebrionidae Alleculinae

in Tenebrionidae


Dati di raccolta: 10.VIII.2018 - CROAZIA - EE, Riviera di Makarska

Coleoptera Poland

0

1017

23/10/2018, 11:50

Coleoptera Poland Vedi ultimo messaggio

Meloe (Meloe) proscarabaeus proscarabaeus Linnaeus, 1758 - Meloidae
16.IV.2001 - CROAZIA - EE, Isola di Cres
Allegato(i) Dettagli della specie
Meloe (Meloe) proscarabaeus proscarabaeus Linnaeus, 1758 - Meloidae

in Meloidae


Dati di raccolta: 16.IV.2001 - CROAZIA - EE, Isola di Cres

Chalybion

4

1444

25/10/2016, 15:08

Marco A. Bologna Vedi ultimo messaggio

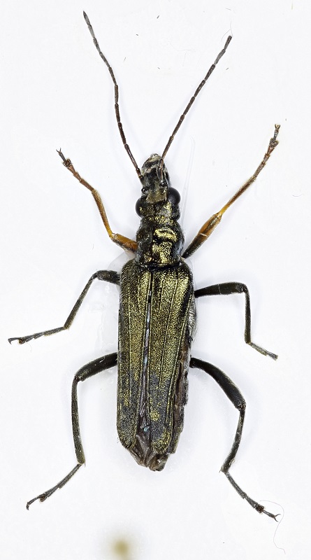
Mycterus curculioides (Fabricius, 1781) - Mycteridae
21.V.2017 - CROAZIA - EE, Sibenik-Tenin, Lozovac, Krka 100m
Allegato(i)
Mycterus curculioides (Fabricius, 1781) - Mycteridae

in Mycteridae


Dati di raccolta: 21.V.2017 - CROAZIA - EE, Sibenik-Tenin, Lozovac, Krka 100m

Plagionotus

5

1722

29/01/2018, 20:55

Plagionotus Vedi ultimo messaggio

Mylabris (Mylabris) variabilis (Pallas, 1781) - Meloidae
4.VI.2017 - CROAZIA - EE, Krivi Put 53271
Allegato(i) Dettagli della specie
Mylabris (Mylabris) variabilis (Pallas, 1781) - Meloidae

in Meloidae


Dati di raccolta: 4.VI.2017 - CROAZIA - EE, Krivi Put 53271

gstalker

4

1608

23/10/2017, 15:50

Marco A. Bologna Vedi ultimo messaggio

Mylabris variabilis (Pallas, 1781) - Meloidae
10.VIII.2014 - CROAZIA - EE, Dragozetici - Cres Is.
Allegato(i)
Mylabris variabilis (Pallas, 1781) - Meloidae

in Meloidae


Dati di raccolta: 10.VIII.2014 - CROAZIA - EE, Dragozetici - Cres Is.

Giuseppe

4

829

11/02/2024, 13:46

Marco A. Bologna Vedi ultimo messaggio

Oedemera (Oedemera) flavipes (Fabricius, 1792) - Oedemeridae
28.VI.2017 - CROAZIA - EE, Krivi Put 53271
Allegato(i) Dettagli della specie
Oedemera (Oedemera) flavipes (Fabricius, 1792) - Oedemeridae

in Oedemeridae


Dati di raccolta: 28.VI.2017 - CROAZIA - EE, Krivi Put 53271

gstalker

2

1063

29/08/2017, 20:03

gstalker Vedi ultimo messaggio

Osphya bipunctata (Fabricius, 1775) - Melandryidae
17.VI.2013 - CROAZIA - EE, Crni Lug-Gerovo 600-700m
Allegato(i)
Osphya bipunctata (Fabricius, 1775) - Melandryidae

in Melandryidae


Dati di raccolta: 17.VI.2013 - CROAZIA - EE, Crni Lug-Gerovo 600-700m

Plagionotus

7

2269

21/03/2018, 23:40

Clickie Vedi ultimo messaggio

Otolelus pruinosus pruinosus (Kiesenwetter, 1861) - Aderidae
11.VIII.2019 - CROAZIA - EE, costa vicino a Liznjan (Lisignano), Istria
Allegato(i)
Otolelus pruinosus pruinosus (Kiesenwetter, 1861) - Aderidae

in Aderidae


Dati di raccolta: 11.VIII.2019 - CROAZIA - EE, costa vicino a Liznjan (Lisignano), Istria

Michael Becker

3

1867

17/10/2019, 7:26

Michael Becker Vedi ultimo messaggio

Pedinus sp. - Tenebrionidae
5.II.2021 - CROAZIA - EE, Rudine
Allegato(i)
Pedinus sp. - Tenebrionidae

in Tenebrionidae indeterminati


Dati di raccolta: 5.II.2021 - CROAZIA - EE, Rudine

Antonjo

8

1218

08/02/2021, 21:03

Antonjo Vedi ultimo messaggio

Pentaphyllus sp. - Tenebrionidae
30.III.2021 - CROAZIA - EE, Split
Allegato(i)
Pentaphyllus sp. - Tenebrionidae

in Tenebrionidae indeterminati


Dati di raccolta: 30.III.2021 - CROAZIA - EE, Split

Antonjo

2

664

30/03/2021, 18:09

Antonjo Vedi ultimo messaggio



Inserisci un link per questa ricerca

Inserisci un link per questa ricerca URL
BBCode
HTML
Vai a: