Benvenuto Ospite

Forum Entomologi Italiani

www.entomologiitaliani.net/forum
 
Oggi è 26/02/2026, 14:14

Tutti gli orari sono UTC + 1 ora [ ora legale ]

Mordellidae


[ AFROTROPICALE ] [ ANTARTICO ] [ AUSTRALASIANO ] [ NEARTICO ] [ NEOTROPICALE ] [ ORIENTALE ] [ PALEARTICO ]


nuovo argomento
Vai alla pagina 1, 2, 3  Prossimo
Pagina 1 di 3 [ 107 argomenti ]
 Argomenti   Ordine   Autore   Risposte   Visite    Ultimo messaggio 
Annunci
Nessun messaggio da leggere
Allegato(i)
Incontri entomologici della Società Entomologica Italiana 2025-2026
 

Velvet Ant

0

29129

17/11/2025, 19:41

Velvet Ant Vedi ultimo messaggio

Nessun messaggio da leggere
Allegato(i)
Incontri entomologici telematici organizzati dalla Società Entomologica Italiana nel 2022 e nel 2023

[ Vai alla paginaVai alla pagina: 1, 2, 3 ]

 

Velvet Ant

44

1838935

03/03/2023, 15:55

Velvet Ant Vedi ultimo messaggio

Nessun messaggio da leggere  
Allegato(i)
Sondaggio sul declino dell'entomofauna in Italia

[ Vai alla paginaVai alla pagina: 1, 2, 3, 4 ]

 

Velvet Ant

52

2482650

22/10/2022, 19:18

Acquarius Vedi ultimo messaggio

Nessun messaggio da leggere  
Allegato(i)
Progetto: Bibliografia ragionata dei lavori entomologici nei quali sono citati reperti apparsi su FEI

[ Vai alla paginaVai alla pagina: 1, 2, 3 ]

 

Velvet Ant

33

1477874

06/07/2023, 18:31

Orotrechus Vedi ultimo messaggio

Nessun messaggio da leggere
Allegato(i)
Mimesi, il primo documentario cinematografico sull’entomologia in Italia: casting
 

mazzeip

1

1110731

28/02/2019, 20:26

mazzeip Vedi ultimo messaggio

Questo argomento è bloccato, non puoi modificare o inviare ulteriori messaggi.
Allegato(i)
ISTRUZIONI PUBBLICAZIONE NUOVI ARGOMENTI E FOTO

 
Altri Ordini di Insetti

Julodis

4

2917902

13/05/2015, 19:37

Julodis Vedi ultimo messaggio

Nessun messaggio da leggere
Allegato(i)
Limitatore giornaliero di messaggi, uno strumento utile e ormai indispensabile

[ Vai alla paginaVai alla pagina: 1 ... 14, 15, 16 ]

 

Velvet Ant

233

13063107

25/09/2014, 14:31

Inachis Vedi ultimo messaggio

Nessun messaggio da leggere  
NORME PER I COLLABORATORI DEL FORUM

 
 

Velvet Ant

0

650320

02/06/2011, 12:05

Velvet Ant Vedi ultimo messaggio

Nessun messaggio da leggere
Allegato(i)
NORME PER GLI UTENTI DEL FORUM

[ Vai alla paginaVai alla pagina: 1, 2, 3 ]



 
 

Velvet Ant

30

3592714

23/09/2014, 23:54

Maurizio Bollino Vedi ultimo messaggio

Nessun messaggio da leggere  
Lista degli utenti del "Forum entomologi italiani" per campi di interesse e specializzazione

 
Altri Ordini di Insetti

Velvet Ant

13

1062537

07/09/2023, 17:14

Roberto-07 Vedi ultimo messaggio

Argomenti
Nessun messaggio da leggere
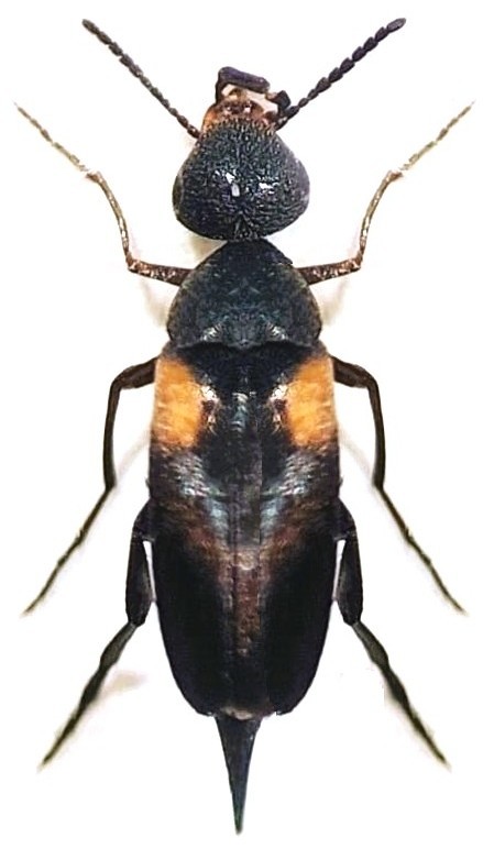
Mediimorda bipunctata (Germar, 1827) - Mordellidae
20.VII.2025 - ITALIA - Lazio - RM
Allegato(i)
Mediimorda bipunctata (Germar, 1827) - Mordellidae

20.VII.2025 - ITALIA - Lazio - RM
Coleoptera

soken

0

382

21/07/2025, 17:39

soken Vedi ultimo messaggio

Nessun messaggio da leggere
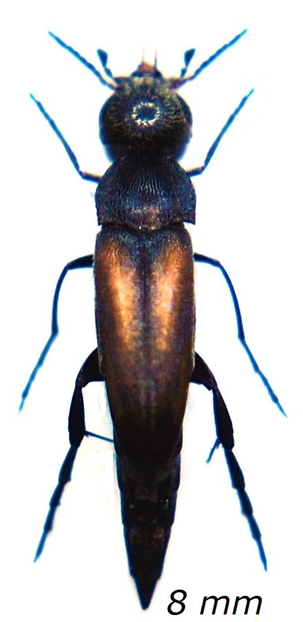
Mediimorda sp. - Mordellidae
2.VI.2025 - ITALIA - Sicilia - CT
Allegato(i)
Mediimorda sp. - Mordellidae

2.VI.2025 - ITALIA - Sicilia - CT
Coleoptera

Chalybion

2

357

19/07/2025, 20:35

Chalybion Vedi ultimo messaggio

Nessun messaggio da leggere
Variimorda ragusai (Emery, 1876) - Mordellidae
2.VI.2025 - ITALIA - Sicilia - CT
Allegato(i)
Variimorda ragusai (Emery, 1876) - Mordellidae

2.VI.2025 - ITALIA - Sicilia - CT
Coleoptera

Chalybion

2

385

19/07/2025, 20:33

Chalybion Vedi ultimo messaggio

Nessun messaggio da leggere
Allegato(i)
Mordellochroa humerosa (Rosenhauer, 1847) - Mordellidae

16.VI.2025 - GRECIA - EE
Coleoptera

Honza

4

473

22/06/2025, 10:52

Honza Vedi ultimo messaggio

Nessun messaggio da leggere
Mordellaria aurofasciata (Comolli, 1837) - Mordellidae
15.VIII.2024 - ITALIA - Friuli-Venezia Giulia - PN
Allegato(i)
Mordellaria aurofasciata (Comolli, 1837) - Mordellidae

15.VIII.2024 - ITALIA - Friuli-Venezia Giulia - PN
Coleoptera

Gabriele

2

665

03/12/2024, 12:01

Gabriele Vedi ultimo messaggio

Nessun messaggio da leggere
Variimorda sp. - Mordellidae
21.VIII.2023 - ITALIA - Emilia-Romagna - RA
Allegato(i)
Variimorda sp. - Mordellidae

21.VIII.2023 - ITALIA - Emilia-Romagna - RA
Coleoptera

Chalybion

1

466

01/09/2023, 10:56

Enrico Ruzzier Vedi ultimo messaggio

Nessun messaggio da leggere
Mediimorda bipunctata (Germar, 1827) (cf.) - Mordellidae
17.VIII.2023 - ITALIA - Emilia-Romagna - RA
Allegato(i)
Mediimorda bipunctata (Germar, 1827) (cf.) - Mordellidae

17.VIII.2023 - ITALIA - Emilia-Romagna - RA
Coleoptera

Chalybion

2

569

23/08/2023, 19:09

Chalybion Vedi ultimo messaggio

Nessun messaggio da leggere
Stenalia sp. - Mordellidae Spain
27.V.2022 - SPAGNA - EE
Allegato(i)
Stenalia sp. - Mordellidae Spain

27.V.2022 - SPAGNA - EE
Coleoptera

Dicomed

4

900

12/12/2022, 19:57

Dicomed Vedi ultimo messaggio

Nessun messaggio da leggere
Curtimorda maculosa (Neazen, 1794) - Mordellidae
7.VII.2022 - ITALIA - Lombardia - SO
Allegato(i)
Curtimorda maculosa (Neazen, 1794) - Mordellidae

7.VII.2022 - ITALIA - Lombardia - SO
Coleoptera

soken

3

631

30/08/2022, 12:06

soken Vedi ultimo messaggio

Nessun messaggio da leggere
Allegato(i)
Mordella meridionalis Méquignon, 1946 (cf.) - Mordellidae

13.VII.2021 - ROMANIA - EE
Coleoptera

alexaandru

1

530

07/01/2022, 13:50

alexaandru Vedi ultimo messaggio

Nessun messaggio da leggere
Allegato(i)
Mordellistena transtroemeriana (Mikael Sörensson)

VI.1981 - SVEZIA - EE
Coleoptera

Tommaso Lisa

2

665

19/04/2021, 22:13

Tommaso Lisa Vedi ultimo messaggio

Nessun messaggio da leggere
Mordella sp. - Mordellidae
20.VII.2020 - BULGARIA - EE
Allegato(i)
Mordella sp. - Mordellidae

20.VII.2020 - BULGARIA - EE
Coleoptera

Joro

1

602

11/04/2021, 9:56

Enrico Ruzzier Vedi ultimo messaggio

Nessun messaggio da leggere
Allegato(i)
Mordellochroa abdominalis (Fabricius, 1775) - Mordellidae

18.VI.2020 - BULGARIA - EE
Coleoptera

Joro

1

559

11/04/2021, 9:54

Enrico Ruzzier Vedi ultimo messaggio

Nessun messaggio da leggere
Mordellistena sp. - Mordellidae
29.VI.2019 - ITALIA - Sicilia - TP
Allegato(i)
Mordellistena sp. - Mordellidae

29.VI.2019 - ITALIA - Sicilia - TP
Coleoptera

Chalybion

2

561

15/02/2021, 19:57

Chalybion Vedi ultimo messaggio

Nessun messaggio da leggere
Allegato(i)
Mediimorda batteni Plaza-lnfante, 1985 - Mordellidae

6.VI.2018 - SPAGNA - EE
Coleoptera

Miguel Ángel

4

770

08/02/2021, 14:48

Miguel Ángel Vedi ultimo messaggio

Nessun messaggio da leggere
Variimorda villosa (Schrank,1781) (cf.) - Mordellidae
18.VI.2012 - ITALIA - Friuli-Venezia Giulia - PN
Allegato(i)
Variimorda villosa (Schrank,1781) (cf.) - Mordellidae

18.VI.2012 - ITALIA - Friuli-Venezia Giulia - PN
Coleoptera

Gabriele

2

630

25/01/2021, 10:50

Gabriele Vedi ultimo messaggio

Nessun messaggio da leggere
Allegato(i)
Ophthalmoglipa aurocaudata (Fairmaire, 1897) - Mordellidae - Gabon

XI.2019 - GABON - EE
Coleoptera

Daniele Sechi

1

764

19/08/2020, 15:53

Enrico Ruzzier Vedi ultimo messaggio

Nessun messaggio da leggere
Mordellidae - Gabon
XI.2019 - GABON - EE
Allegato(i)
Mordellidae - Gabon

XI.2019 - GABON - EE
Coleoptera

Daniele Sechi

0

610

16/08/2020, 10:26

Daniele Sechi Vedi ultimo messaggio

Nessun messaggio da leggere
Mordellochroa milleri (Emery, 1876) - Mordellidae
23.V.2020 - ITALIA - Emilia-Romagna - BO
Allegato(i)
Mordellochroa milleri (Emery, 1876) - Mordellidae

23.V.2020 - ITALIA - Emilia-Romagna - BO
Coleoptera

Chalybion

3

1497

04/06/2020, 21:54

Chalybion Vedi ultimo messaggio

Nessun messaggio da leggere
Allegato(i)
Variimorda (Variimorda) briantea (Comolli, 1837) - Mordellidae

4.VI.2018 - SPAGNA - EE
Coleoptera

Miguel Ángel

2

1306

06/02/2020, 10:09

Miguel Ángel Vedi ultimo messaggio

Nessun messaggio da leggere
Allegato(i)
Brodskyella konvickai Ruzzier and Yeshwanth 2019 - Mordellidae

24.V.2010 - INDIA - EE
Coleoptera

Enrico Ruzzier

6

2055

26/12/2019, 0:17

Anillus Vedi ultimo messaggio

Nessun messaggio da leggere
Allegato(i)
Stenalia testacea (Fabricius, 1787) - Mordellidae

23.VI.2019 - GRECIA - EE
Coleoptera

Honza

2

1240

09/11/2019, 22:27

Honza Vedi ultimo messaggio

Nessun messaggio da leggere
Mordellidae sp.
11.VII.2019 - ITALIA - Veneto - PD
Allegato(i)
Mordellidae sp.

11.VII.2019 - ITALIA - Veneto - PD
Coleoptera

Makarov

1

1050

14/07/2019, 22:35

ruzzpa Vedi ultimo messaggio

Nessun messaggio da leggere
Variimorda sp. - Mordellidae
12.VI.2018 - SPAGNA - EE
Allegato(i)
Variimorda sp. - Mordellidae

12.VI.2018 - SPAGNA - EE
Coleoptera

Miguel Ángel

5

1523

18/12/2018, 11:23

Miguel Ángel Vedi ultimo messaggio

Nessun messaggio da leggere
Mordellidae sp.
14.VI.2018 - SPAGNA - EE
Allegato(i)
Mordellidae sp.

14.VI.2018 - SPAGNA - EE
Coleoptera

Miguel Ángel

0

857

23/11/2018, 12:53

Miguel Ángel Vedi ultimo messaggio

Nessun messaggio da leggere
Mordellidae sp.
27.VI.2018 - ITALIA - Liguria - GE
Allegato(i)
Mordellidae sp.

27.VI.2018 - ITALIA - Liguria - GE
Coleoptera

fiocchino

1

833

29/06/2018, 19:05

Tc70 Vedi ultimo messaggio

Nessun messaggio da leggere
Mordellochroa milleri Emery, 1876 - Mordellidae
30.V.2018 - ITALIA - Liguria - GE
Allegato(i)
Mordellochroa milleri Emery, 1876 - Mordellidae

30.V.2018 - ITALIA - Liguria - GE
Coleoptera

clido

2

1020

01/06/2018, 11:00

clido Vedi ultimo messaggio

Nessun messaggio da leggere
Mordellidae sp.
13.VIII.2016 - ITALIA - Lazio - RI
Allegato(i)
Mordellidae sp.

13.VIII.2016 - ITALIA - Lazio - RI
Coleoptera

wgliinsetti

0

702

30/11/2017, 12:52

wgliinsetti Vedi ultimo messaggio

Nessun messaggio da leggere
Mordellidae sp.
4.VII.2016 - ITALIA - Lazio - RM
Allegato(i)
Mordellidae sp.

4.VII.2016 - ITALIA - Lazio - RM
Coleoptera

wgliinsetti

2

918

29/11/2017, 13:15

wgliinsetti Vedi ultimo messaggio

Nessun messaggio da leggere
Mordellidae sp.
4.VII.2016 - ITALIA - Lazio - RM
Allegato(i)
Mordellidae sp.

4.VII.2016 - ITALIA - Lazio - RM
Coleoptera

wgliinsetti

2

969

29/11/2017, 13:15

wgliinsetti Vedi ultimo messaggio

Nessun messaggio da leggere
Mordellidae sp.
10.VI.2016 - ROMANIA - EE
Allegato(i)
Mordellidae sp.

10.VI.2016 - ROMANIA - EE
Coleoptera

Entomola

3

1294

17/10/2017, 18:41

Entomola Vedi ultimo messaggio

Nessun messaggio da leggere
Mediimorda sp. - Mordellidae
6.VIII.2016 - ITALIA - Lazio - RI
Allegato(i)
Mediimorda sp. - Mordellidae

6.VIII.2016 - ITALIA - Lazio - RI
Coleoptera

wgliinsetti

3

1266

16/10/2017, 13:47

wgliinsetti Vedi ultimo messaggio

Nessun messaggio da leggere
Mordella sp. - Mordellidae
15.VI.2017 - ITALIA - Lazio - RM
Allegato(i)
Mordella sp. - Mordellidae

15.VI.2017 - ITALIA - Lazio - RM
Coleoptera

Michael Becker

2

1099

18/07/2017, 13:19

Michael Becker Vedi ultimo messaggio

Nessun messaggio da leggere
Stenalia testacea (Fabricius, 1787) Mordellidae Stenaliini
15.VI.2017 - ITALIA - Lazio - RM
Allegato(i)
Stenalia testacea (Fabricius, 1787) Mordellidae Stenaliini

15.VI.2017 - ITALIA - Lazio - RM
Coleoptera

Michael Becker

2

1222

16/07/2017, 18:51

Michael Becker Vedi ultimo messaggio

Nessun messaggio da leggere
Allegato(i)
Ophthalmoglipa aurocaudata (Fairmaire, 1897) - Mordellidae - Gabon

XII.2013 - GABON - EE
Coleoptera

Apoderus

5

2139

10/07/2017, 9:37

Apoderus Vedi ultimo messaggio

Nessun messaggio da leggere
Mordellidae sp.
15.V.2017 - ITALIA - Campania - NA
Allegato(i)
Mordellidae sp.

15.V.2017 - ITALIA - Campania - NA
Coleoptera

Mustang

2

1121

20/05/2017, 15:35

Mustang Vedi ultimo messaggio

Nessun messaggio da leggere
Allegato(i)
Mordellistena (Mordellistena) sp. - Mordellidae

7.VI.2016 - TURCHIA - EE
Coleoptera

gokwolf

4

1689

08/02/2017, 15:18

gokwolf Vedi ultimo messaggio

Nessun messaggio da leggere
Hoshihananomia sp. - Mordellidae
19.VII.2015 - BULGARIA - EE
Allegato(i)
Hoshihananomia sp. - Mordellidae

19.VII.2015 - BULGARIA - EE
Coleoptera

Joro

1

919

17/05/2016, 17:54

Enrico Ruzzier Vedi ultimo messaggio

Nessun messaggio da leggere
Larva di Mordellidae sp. (cf.)
19.II.2016 - ITALIA - Emilia-Romagna - RA
Allegato(i)
Larva di Mordellidae sp. (cf.)

19.II.2016 - ITALIA - Emilia-Romagna - RA
Coleoptera

marco villa

8

2195

21/02/2016, 20:32

Julodis Vedi ultimo messaggio

Nessun messaggio da leggere
Tomoxia bucephala Costa, 1854 - Mordellidae
12.VI.2013 - GERMANIA - EE
Allegato(i)
Tomoxia bucephala Costa, 1854 - Mordellidae

12.VI.2013 - GERMANIA - EE
Coleoptera

gstalker

2

1172

03/02/2016, 19:13

gstalker Vedi ultimo messaggio

Nessun messaggio da leggere
Mordellidae sp.
17.V.2014 - ITALIA - Emilia-Romagna - RE
Allegato(i)
Mordellidae sp.

17.V.2014 - ITALIA - Emilia-Romagna - RE
Coleoptera

paolofon

0

605

28/01/2016, 22:47

paolofon Vedi ultimo messaggio

Nessun messaggio da leggere
Mediimorda bipuncata/angelique - Mordellidae
16.VIII.2015 - ITALIA - Sardegna - OR
Allegato(i)
Mediimorda bipuncata/angelique - Mordellidae

16.VIII.2015 - ITALIA - Sardegna - OR
Coleoptera

Fumea crassiorella

2

982

19/01/2016, 21:49

Fumea crassiorella Vedi ultimo messaggio

Nessun messaggio da leggere
Stenalia testacea (Fabricius, 1787) - Mordellidae
3.VI.2015 - ITALIA - Sardegna - VS
Allegato(i)
Stenalia testacea (Fabricius, 1787) - Mordellidae

3.VI.2015 - ITALIA - Sardegna - VS
Coleoptera

Fumea crassiorella

4

1624

12/01/2016, 8:46

Fumea crassiorella Vedi ultimo messaggio

Nessun messaggio da leggere
Allegato(i)
Mordellistena gr. micans-gemellata - Mordellidae

9.VI.2015 - MALTA - EE
Coleoptera

Fumea crassiorella

3

976

05/01/2016, 21:24

Fumea crassiorella Vedi ultimo messaggio

Nessun messaggio da leggere
Mediimorda sp. - Mordellidae
30.VI.2013 - GRECIA - EE
Allegato(i)
Mediimorda sp. - Mordellidae

30.VI.2013 - GRECIA - EE
Coleoptera

paolofon

3

1208

05/01/2016, 13:41

paolofon Vedi ultimo messaggio

Nessun messaggio da leggere
Variimorda (Variimorda) villosa (Schrank 1781) - Mordellidae
29.VI.2002 - REPUBBLICA CECA - EE
Allegato(i)
Variimorda (Variimorda) villosa (Schrank 1781) - Mordellidae

29.VI.2002 - REPUBBLICA CECA - EE
Coleoptera

Frantisek

2

1006

13/05/2015, 23:31

Frantisek Vedi ultimo messaggio

Nessun messaggio da leggere
Allegato(i)
Mordellistena (Mordellistena) perroudi Mulsant 1856 - Mordellidae

11.V.2008 - TUNISIA - EE
Coleoptera

Frantisek

8

1366

12/05/2015, 21:52

Frantisek Vedi ultimo messaggio

Nessun messaggio da leggere
Allegato(i)
Stenalia stipae Chobaut, 1924 (cf.) - Mordellidae

16.V.2008 - TUNISIA - EE
Coleoptera

Frantisek

2

773

07/05/2015, 20:21

Frantisek Vedi ultimo messaggio

Nessun messaggio da leggere
Allegato(i)
Stenalia testacea var. biskrensis (cf.) - Mordellidae

19.V.2008 - TUNISIA - EE
Coleoptera

Frantisek

4

1379

07/05/2015, 19:37

Frantisek Vedi ultimo messaggio

Nessun messaggio da leggere
Allegato(i)
Mordellistena teneriffensis Ermisch, 1965 - Mordellidae

28.III.2015 - SPAGNA - EE
Coleoptera

Isidro

4

1325

07/04/2015, 13:50

Isidro Vedi ultimo messaggio

Visualizza ultimi argomenti:  Ordina per  Ordine:  
nuovo argomento
Vai alla pagina 1, 2, 3  Prossimo
Pagina 1 di 3 [ 107 argomenti ]

Tutti gli orari sono UTC + 1 ora [ ora legale ]


Chi c’è in linea

Visitano il forum: Nessuno e 1 ospite


Legenda
Messaggi da leggere Messaggi da leggere Nessun messaggio da leggere Nessun messaggio da leggere Annuncio Annuncio
 
Specie indeterminata / discussione generica
Messaggi non letti [ Popolari ] Messaggi non letti [ Popolari ] Nessun messaggio da leggere [ Popolare ] Nessun messaggio da leggere [ Popolare ] Importante Importante
 
Specie determinata fino al genere o cf.
Messaggi non letti [ Bloccati ] Messaggi non letti [ Bloccati ] No messaggi non letti [ Bloccati ] No messaggi non letti [ Bloccati ] Argomento spostato Argomento spostato
 
Specie correttamente determinata
Permessi
Non puoi aprire nuovi argomenti
Non puoi rispondere negli argomenti
Non puoi modificare i tuoi messaggi
Non puoi cancellare i tuoi messaggi
Non puoi inviare allegati

Cerca per:
Vai a: