Benvenuto Ospite

Forum Entomologi Italiani

www.entomologiitaliani.net/forum
 
Oggi è 20/04/2026, 8:25

Tutti gli orari sono UTC + 1 ora [ ora legale ]

Sciomyzidae


[ AFROTROPICALE ] [ ANTARTICO ] [ AUSTRALASIANO ] [ NEARTICO ] [ NEOTROPICALE ] [ ORIENTALE ] [ PALEARTICO ]


nuovo argomento
Pagina 1 di 1 [ 47 argomenti ]
 Argomenti   Ordine   Autore   Risposte   Visite    Ultimo messaggio 
Annunci
Nessun messaggio da leggere
Allegato(i)
Incontri entomologici della Società Entomologica Italiana 2025-2026
 

Velvet Ant

0

49261

17/11/2025, 19:41

Velvet Ant Vedi ultimo messaggio

Nessun messaggio da leggere
Allegato(i)
Incontri entomologici telematici organizzati dalla Società Entomologica Italiana nel 2022 e nel 2023

[ Vai alla paginaVai alla pagina: 1, 2, 3 ]

 

Velvet Ant

44

2004693

03/03/2023, 15:55

Velvet Ant Vedi ultimo messaggio

Nessun messaggio da leggere  
Allegato(i)
Sondaggio sul declino dell'entomofauna in Italia

[ Vai alla paginaVai alla pagina: 1, 2, 3, 4 ]

 

Velvet Ant

52

2677011

22/10/2022, 19:18

Acquarius Vedi ultimo messaggio

Nessun messaggio da leggere  
Allegato(i)
Progetto: Bibliografia ragionata dei lavori entomologici nei quali sono citati reperti apparsi su FEI

[ Vai alla paginaVai alla pagina: 1, 2, 3 ]

 

Velvet Ant

33

1609339

06/07/2023, 18:31

Orotrechus Vedi ultimo messaggio

Nessun messaggio da leggere
Allegato(i)
Mimesi, il primo documentario cinematografico sull’entomologia in Italia: casting
 

mazzeip

1

1137524

28/02/2019, 20:26

mazzeip Vedi ultimo messaggio

Questo argomento è bloccato, non puoi modificare o inviare ulteriori messaggi.
Allegato(i)
ISTRUZIONI PUBBLICAZIONE NUOVI ARGOMENTI E FOTO

 
Altri Ordini di Insetti

Julodis

4

2954760

13/05/2015, 19:37

Julodis Vedi ultimo messaggio

Nessun messaggio da leggere
Allegato(i)
Limitatore giornaliero di messaggi, uno strumento utile e ormai indispensabile

[ Vai alla paginaVai alla pagina: 1 ... 14, 15, 16 ]

 

Velvet Ant

233

13785036

25/09/2014, 14:31

Inachis Vedi ultimo messaggio

Nessun messaggio da leggere  
NORME PER I COLLABORATORI DEL FORUM

 
 

Velvet Ant

0

670439

02/06/2011, 12:05

Velvet Ant Vedi ultimo messaggio

Nessun messaggio da leggere
Allegato(i)
NORME PER GLI UTENTI DEL FORUM

[ Vai alla paginaVai alla pagina: 1, 2, 3 ]



 
 

Velvet Ant

30

3725290

23/09/2014, 23:54

Maurizio Bollino Vedi ultimo messaggio

Nessun messaggio da leggere  
Lista degli utenti del "Forum entomologi italiani" per campi di interesse e specializzazione

 
Altri Ordini di Insetti

Velvet Ant

13

1125196

07/09/2023, 17:14

Roberto-07 Vedi ultimo messaggio

Argomenti
Nessun messaggio da leggere
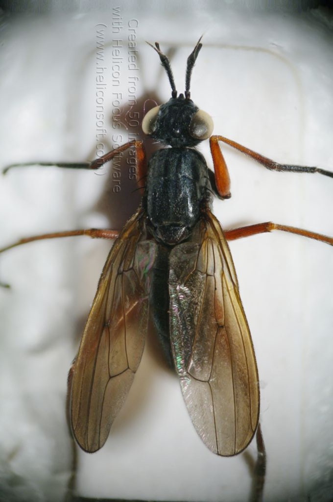
Tetanocera arrogans Meigen, 1830 (cf.) - Sciomyzidae
27.VI.2025 - ITALIA - Campania - SA
Allegato(i)
Tetanocera arrogans Meigen, 1830 (cf.) - Sciomyzidae

27.VI.2025 - ITALIA - Campania - SA
Diptera

Enzo.C

2

424

03/07/2025, 9:35

Enzo.C Vedi ultimo messaggio

Nessun messaggio da leggere
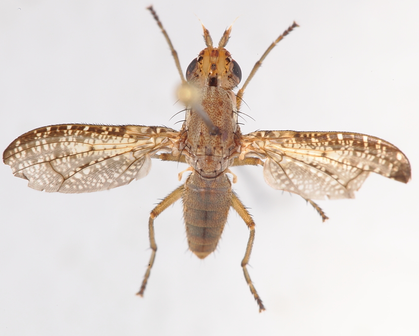
Coremacera marginata (Fabricius, 1775) (cf.) - Sciomyzidae
1.VII.2023 - ITALIA - Piemonte - CN
Allegato(i)
Coremacera marginata (Fabricius, 1775) (cf.) - Sciomyzidae

1.VII.2023 - ITALIA - Piemonte - CN
Diptera

Chalybion

2

1034

06/07/2023, 16:49

Chalybion Vedi ultimo messaggio

Nessun messaggio da leggere
Tetanocera sp. (cf.) - Sciomyzidae
30.IV.2023 - ITALIA - Marche - AN
Allegato(i)
Tetanocera sp. (cf.) - Sciomyzidae

30.IV.2023 - ITALIA - Marche - AN
Diptera

dorbodervus

1

535

28/05/2023, 7:15

Carlo Monari Vedi ultimo messaggio

Nessun messaggio da leggere
Trypetoptera punctulata (Scopoli, 1763) - Sciomyzidae
14.V.2023 - ITALIA - Emilia-Romagna - PR
Allegato(i)
Trypetoptera punctulata (Scopoli, 1763) - Sciomyzidae

14.V.2023 - ITALIA - Emilia-Romagna - PR
Diptera

picollo

2

589

17/05/2023, 12:30

picollo Vedi ultimo messaggio

Nessun messaggio da leggere
Larva di Sciomyzidae sp. (cf.)
26.I.2023 - ITALIA - Sardegna - SS
Allegato(i)
Larva di Sciomyzidae sp. (cf.)

26.I.2023 - ITALIA - Sardegna - SS
Diptera

Mauro

6

810

31/01/2023, 15:04

Mauro Vedi ultimo messaggio

Nessun messaggio da leggere
Euthycera fumigata (Scopoli, 1763) - Sciomyzidae
29.V.2021 - ITALIA - Lombardia - BS
Allegato(i)
Euthycera fumigata (Scopoli, 1763) - Sciomyzidae

29.V.2021 - ITALIA - Lombardia - BS
Diptera

Andre_photon

2

587

05/08/2022, 10:25

Andre_photon Vedi ultimo messaggio

Nessun messaggio da leggere
Trypetoptera punctulata (Scopoli, 1763) - Sciomyzidae
21.VII.2021 - ITALIA - Marche - MC
Allegato(i)
Trypetoptera punctulata (Scopoli, 1763) - Sciomyzidae

21.VII.2021 - ITALIA - Marche - MC
Diptera

dorbodervus

2

689

31/07/2021, 8:12

dorbodervus Vedi ultimo messaggio

Nessun messaggio da leggere
Tetanocera ferruginea Fallen, 1820 (cf.) - Sciomyzidae
17.V.2020 - ITALIA - Trentino-Alto Adige - BZ
Allegato(i)
Tetanocera ferruginea Fallen, 1820 (cf.) - Sciomyzidae

17.V.2020 - ITALIA - Trentino-Alto Adige - BZ
Diptera

aug

2

1661

18/05/2020, 8:44

aug Vedi ultimo messaggio

Nessun messaggio da leggere
Pherbellia cinerella (Fallen, 1820) - Sciomyzidae
3.I.2020 - ITALIA - Veneto - VE
Allegato(i)
Pherbellia cinerella (Fallen, 1820) - Sciomyzidae

3.I.2020 - ITALIA - Veneto - VE
Diptera

ghebo

1

1069

27/01/2020, 14:48

ghebo Vedi ultimo messaggio

Nessun messaggio da leggere
Pherbellia griseola (Fallen, 1820) (cf.) - Sciomyzidae
26.XI.2019 - ITALIA - Veneto - VE
Allegato(i)
Pherbellia griseola (Fallen, 1820) (cf.) - Sciomyzidae

26.XI.2019 - ITALIA - Veneto - VE
Diptera

ghebo

4

1375

01/12/2019, 1:29

ghebo Vedi ultimo messaggio

Nessun messaggio da leggere
Dichetophora obliterata (Fabricius, 1805) - Sciomyzidae
18.X.2018 - ITALIA - Lazio - FR
Allegato(i)
Dichetophora obliterata (Fabricius, 1805) - Sciomyzidae

18.X.2018 - ITALIA - Lazio - FR
Diptera

algeva

3

1423

24/10/2018, 9:28

Carlo Monari Vedi ultimo messaggio

Nessun messaggio da leggere
Allegato(i)
Pherbellia schoenherri (Fallen, 1826) (cf) - Sciomyzidae

12.VI.2018 - BELGIO - EE
Diptera

Jay

3

1601

16/06/2018, 9:25

Jay Vedi ultimo messaggio

Nessun messaggio da leggere
Sepedon sphegea (Fabricius, 1775) - Sciomyzidae
10.X.2017 - ITALIA - Sardegna - OR
Allegato(i)
Sepedon sphegea (Fabricius, 1775) - Sciomyzidae

10.X.2017 - ITALIA - Sardegna - OR
Diptera

Adriana49

3

1511

22/02/2018, 13:24

Adriana49 Vedi ultimo messaggio

Nessun messaggio da leggere
Pherbina mediterranea Mayer, 1953 - Sciomyzidae
30.IX.2017 - ITALIA - Sardegna - SS
Allegato(i)
Pherbina mediterranea Mayer, 1953 - Sciomyzidae

30.IX.2017 - ITALIA - Sardegna - SS
Diptera

Mauro

6

2143

01/10/2017, 11:07

Carlo Monari Vedi ultimo messaggio

Nessun messaggio da leggere
Trypetoptera punctulata (Scopoli, 1763) - Sciomyzidae
17.V.2015 - ITALIA - Liguria - SV
Allegato(i)
Trypetoptera punctulata (Scopoli, 1763) - Sciomyzidae

17.V.2015 - ITALIA - Liguria - SV
Diptera

Nymphalidae

3

1799

18/05/2015, 8:56

Nymphalidae Vedi ultimo messaggio

Nessun messaggio da leggere
Allegato(i)
Dichetophora obliterata (Fabricius 1805) - Sciomyzidae Tetanocerini

XI.2012 - ITALIA - Lazio - RM
Diptera

aesalus37

2

1405

05/06/2014, 6:43

aesalus37 Vedi ultimo messaggio

Nessun messaggio da leggere
Coremacera marginata (Fabricius 1775) - Sciomyzidae
9.V.2014 - ITALIA - Veneto - RO
Allegato(i)
Coremacera marginata (Fabricius 1775) - Sciomyzidae

9.V.2014 - ITALIA - Veneto - RO
Diptera

Umbro

5

1908

23/05/2014, 9:27

Umbro Vedi ultimo messaggio

Nessun messaggio da leggere
Tetanocera sp. - Sciomyzidae
5.V.2014 - POLONIA - EE
Allegato(i)
Tetanocera sp. - Sciomyzidae

5.V.2014 - POLONIA - EE
Diptera

GrzegorzG

1

916

21/05/2014, 8:19

Carlo Monari Vedi ultimo messaggio

Nessun messaggio da leggere
Elgiva cucularia (Linnaeus 1767) - Sciomyzidae
III.2014 - ITALIA - Lazio - RM
Allegato(i)
Elgiva cucularia (Linnaeus 1767) - Sciomyzidae

III.2014 - ITALIA - Lazio - RM
Diptera

aesalus37

2

921

27/04/2014, 11:37

aesalus37 Vedi ultimo messaggio

Nessun messaggio da leggere
Sepedon sphegea (Fabricius, 1775) - Sciomyzidae
29.III.2014 - ITALIA - Sardegna - CA
Allegato(i)
Sepedon sphegea (Fabricius, 1775) - Sciomyzidae

29.III.2014 - ITALIA - Sardegna - CA
Diptera

Palaemonetes

2

1029

31/03/2014, 18:17

Palaemonetes Vedi ultimo messaggio

Nessun messaggio da leggere
Pherbellia dorsata (Zetterstedt 1846) - Sciomyzidae
20.III.2014 - ITALIA - Sardegna - SS
Allegato(i)
Pherbellia dorsata (Zetterstedt 1846) - Sciomyzidae

[ Vai alla paginaVai alla pagina: 1, 2 ]



20.III.2014 - ITALIA - Sardegna - SS
Diptera

alex83het

15

2622

23/03/2014, 21:15

Carlo Monari Vedi ultimo messaggio

Nessun messaggio da leggere
Euthycera sticticaria (Mayer, 1953) - Sciomyzidae
10.X.2010 - ITALIA - Toscana - LI
Allegato(i)
Euthycera sticticaria (Mayer, 1953) - Sciomyzidae

10.X.2010 - ITALIA - Toscana - LI
Diptera

FORBIX

2

1004

15/02/2014, 19:02

FORBIX Vedi ultimo messaggio

Nessun messaggio da leggere
Euthycera chaerophylli (Fabricius 1798) - Sciomyzidae
20.X.2013 - ITALIA - Piemonte - AT
Allegato(i)
Euthycera chaerophylli (Fabricius 1798) - Sciomyzidae

20.X.2013 - ITALIA - Piemonte - AT
Diptera

Pandaproject

4

1411

21/10/2013, 7:18

Carlo Monari Vedi ultimo messaggio

Nessun messaggio da leggere
Sepedon sphegea (Fabricius, 1775) ♀ - Sciomyzidae
16.VIII.2013 - ITALIA - Marche - PU
Allegato(i)
Sepedon sphegea (Fabricius, 1775) ♀ - Sciomyzidae

16.VIII.2013 - ITALIA - Marche - PU
Diptera

marco paglialunga

0

742

04/09/2013, 17:27

marco paglialunga Vedi ultimo messaggio

Nessun messaggio da leggere
Coremacera marginata (Fabricius 1775) (cf) - Sciomyzidae
16.VI.2013 - ITALIA - Emilia-Romagna - PC
Allegato(i)
Coremacera marginata (Fabricius 1775) (cf) - Sciomyzidae

16.VI.2013 - ITALIA - Emilia-Romagna - PC
Diptera

Simona83

2

928

16/06/2013, 21:40

Simona83 Vedi ultimo messaggio

Nessun messaggio da leggere
Euthycera zelleri (Loew, 1847) cf. - Sciomyzidae
19.V.2013 - ITALIA - Marche - PU
Allegato(i)
Euthycera zelleri (Loew, 1847) cf. - Sciomyzidae

19.V.2013 - ITALIA - Marche - PU
Diptera

marco paglialunga

10

1712

28/05/2013, 10:29

marco paglialunga Vedi ultimo messaggio

Nessun messaggio da leggere
Trypetoptera punctulata (Scopoli, 1763) - Sciomyzidae
1.V.2013 - ITALIA - Emilia-Romagna - RA
Allegato(i)
Trypetoptera punctulata (Scopoli, 1763) - Sciomyzidae

1.V.2013 - ITALIA - Emilia-Romagna - RA
Diptera

Mammut

4

1292

08/05/2013, 22:48

Mammut Vedi ultimo messaggio

Nessun messaggio da leggere
Euthycera chaerophylli (Fabricius 1798) - Sciomyzidae
21.V.2011 - ITALIA - Lazio - VT
Allegato(i)
Euthycera chaerophylli (Fabricius 1798) - Sciomyzidae

21.V.2011 - ITALIA - Lazio - VT
Diptera

soken

2

1024

13/04/2013, 21:21

soken Vedi ultimo messaggio

Nessun messaggio da leggere
Sciomyzidae
22.X.2012 - ITALIA - Sicilia - PA
Allegato(i)
Sciomyzidae

22.X.2012 - ITALIA - Sicilia - PA
Diptera

Marco Ferrante

4

1076

26/11/2012, 11:47

Marco Ferrante Vedi ultimo messaggio

Nessun messaggio da leggere
Pherbellia sp. (cf.) - Sciomyzidae
19.IV.2011 - ITALIA - Lazio - RM
Allegato(i)
Pherbellia sp. (cf.) - Sciomyzidae

19.IV.2011 - ITALIA - Lazio - RM
Diptera

soken

2

797

15/11/2012, 16:01

soken Vedi ultimo messaggio

Nessun messaggio da leggere
Coremacera marginata (Fabricius 1775) - Sciomyzidae
19.VI.2011 - ITALIA - Lazio - RM
Allegato(i)
Coremacera marginata (Fabricius 1775) - Sciomyzidae

19.VI.2011 - ITALIA - Lazio - RM
Diptera

soken

0

718

24/07/2012, 14:48

soken Vedi ultimo messaggio

Nessun messaggio da leggere
Trypetoptera punctulata (Scopoli, 1763) - Sciomyzidae
27.VI.2012 - ITALIA - Piemonte - AT
Allegato(i)
Trypetoptera punctulata (Scopoli, 1763) - Sciomyzidae

27.VI.2012 - ITALIA - Piemonte - AT
Diptera

Pandaproject

4

1342

27/06/2012, 12:59

Pandaproject Vedi ultimo messaggio

Nessun messaggio da leggere
Coremacera marginata (Fabricius 1775) (cf) - Sciomyzidae
30.V.2012 - ITALIA - Veneto - VE
Allegato(i)
Coremacera marginata (Fabricius 1775) (cf) - Sciomyzidae

30.V.2012 - ITALIA - Veneto - VE
Diptera

ghebo

2

913

04/06/2012, 16:31

ghebo Vedi ultimo messaggio

Nessun messaggio da leggere
Allegato(i)
Sciomyzidae

 
Diptera

silvio1953

1

779

25/05/2012, 15:02

Sara21392 Vedi ultimo messaggio

Nessun messaggio da leggere
Trypetoptera punctulata (Scopoli, 1763) - Sciomyzidae
5.V.2012 - ITALIA - Marche - PU
Allegato(i)
Trypetoptera punctulata (Scopoli, 1763) - Sciomyzidae

5.V.2012 - ITALIA - Marche - PU
Diptera

marco paglialunga

0

660

17/05/2012, 18:32

marco paglialunga Vedi ultimo messaggio

Nessun messaggio da leggere
Tetanocera sp. - Sciomyzidae
21.IV.2012 - ITALIA - Lombardia - MI
Allegato(i)
Tetanocera sp. - Sciomyzidae

21.IV.2012 - ITALIA - Lombardia - MI
Diptera

wildrocker

1

797

06/05/2012, 15:08

Carlo Monari Vedi ultimo messaggio

Nessun messaggio da leggere
Tetanocera arrogans Meigen 1830 (cf) - Sciomyzidae
15.IX.2011 - ITALIA - Lombardia - MI
Allegato(i)
Tetanocera arrogans Meigen 1830 (cf) - Sciomyzidae

15.IX.2011 - ITALIA - Lombardia - MI
Diptera

carlos

1

764

19/11/2011, 0:30

Carlo Monari Vedi ultimo messaggio

Nessun messaggio da leggere
Euthycera chaerophylli (Fabricius, 1798) (cf.) - Sciomyzidae
9.VII.2011 - ITALIA - Emilia-Romagna - BO
Allegato(i)
Euthycera chaerophylli (Fabricius, 1798) (cf.) - Sciomyzidae

9.VII.2011 - ITALIA - Emilia-Romagna - BO
Diptera

Olaffio

4

1154

15/11/2011, 8:27

Olaffio Vedi ultimo messaggio

Nessun messaggio da leggere
Allegato(i)
Coremacera marginata (Fabricius, 1775) (cf.) - Sciomyzidae

20.V.2010 - ITALIA - Lazio - RM
Diptera

soken

1

836

21/03/2011, 0:23

Julodis Vedi ultimo messaggio

Nessun messaggio da leggere
Coremacera marginata (Fabricius 1775) - Sciomyzidae
10.X.2010 - ITALIA - Toscana - LI
Allegato(i)
Coremacera marginata (Fabricius 1775) - Sciomyzidae

10.X.2010 - ITALIA - Toscana - LI
Diptera

FORBIX

3

1078

14/11/2010, 19:20

Andricus Vedi ultimo messaggio

Nessun messaggio da leggere
Allegato(i)
Coremacera ? - Sciomyzidae - Molise
Diptera

Franco ROSSI

3

887

27/10/2010, 11:58

gigi58 Vedi ultimo messaggio

Nessun messaggio da leggere
Allegato(i)
Sepedon (Sepedon) spinipes (Scopoli, 1763) ♀ - Sciomyzidae
Diptera

carlos

1

933

22/05/2010, 19:20

carlos Vedi ultimo messaggio

Nessun messaggio da leggere
Allegato(i)
Tetanocera sp. (accoppiamento) - Sciomyzidae
Diptera

mdbr

6

1233

27/04/2010, 10:08

clido Vedi ultimo messaggio

Nessun messaggio da leggere
Sciomyzidae
27.III.2010 - ITALIA - Lazio - RM
Allegato(i)
Sciomyzidae

27.III.2010 - ITALIA - Lazio - RM
Diptera

soken

5

1225

04/04/2010, 10:26

soken Vedi ultimo messaggio

Nessun messaggio da leggere
Allegato(i)
cfr. Tetanocera sp. - Sciomyzidae
Diptera

nikoname

4

1064

14/03/2010, 8:56

Pietro Niolu Vedi ultimo messaggio

Nessun messaggio da leggere
Allegato(i)
? Dichetophora sp. - Diptera, Sciomyzidae
Diptera

Danius

2

771

12/12/2009, 15:21

Danius Vedi ultimo messaggio

Nessun messaggio da leggere
Euthycera cf. zelleri (Loew 1847) - Sciomyzidae
4.X.2009 - ITALIA - Sicilia - TP
Allegato(i)
Euthycera cf. zelleri (Loew 1847) - Sciomyzidae

4.X.2009 - ITALIA - Sicilia - TP
Diptera

gigi58

3

951

04/10/2009, 22:28

gigi58 Vedi ultimo messaggio

Visualizza ultimi argomenti:  Ordina per  Ordine:  
nuovo argomento
Pagina 1 di 1 [ 47 argomenti ]

Tutti gli orari sono UTC + 1 ora [ ora legale ]


Chi c’è in linea

Visitano il forum: Nessuno e 1 ospite


Legenda
Messaggi da leggere Messaggi da leggere Nessun messaggio da leggere Nessun messaggio da leggere Annuncio Annuncio
 
Specie indeterminata / discussione generica
Messaggi non letti [ Popolari ] Messaggi non letti [ Popolari ] Nessun messaggio da leggere [ Popolare ] Nessun messaggio da leggere [ Popolare ] Importante Importante
 
Specie determinata fino al genere o cf.
Messaggi non letti [ Bloccati ] Messaggi non letti [ Bloccati ] No messaggi non letti [ Bloccati ] No messaggi non letti [ Bloccati ] Argomento spostato Argomento spostato
 
Specie correttamente determinata
Permessi
Non puoi aprire nuovi argomenti
Non puoi rispondere negli argomenti
Non puoi modificare i tuoi messaggi
Non puoi cancellare i tuoi messaggi
Non puoi inviare allegati

Cerca per:
Vai a: