Benvenuto Ospite

Forum Entomologi Italiani

www.entomologiitaliani.net/forum
 
Oggi è 14/05/2026, 12:03

Tutti gli orari sono UTC + 1 ora [ ora legale ]

Ripiphoridae


[ AFROTROPICALE ] [ ANTARTICO ] [ AUSTRALASIANO ] [ NEARTICO ] [ NEOTROPICALE ] [ ORIENTALE ] [ PALEARTICO ]


nuovo argomento
Pagina 1 di 1 [ 46 argomenti ]
 Argomenti   Ordine   Autore   Risposte   Visite    Ultimo messaggio 
Annunci
Nessun messaggio da leggere
Allegato(i)
Incontri entomologici della Società Entomologica Italiana 2025-2026
 

Velvet Ant

0

60078

17/11/2025, 19:41

Velvet Ant Vedi ultimo messaggio

Nessun messaggio da leggere
Allegato(i)
Incontri entomologici telematici organizzati dalla Società Entomologica Italiana nel 2022 e nel 2023

[ Vai alla paginaVai alla pagina: 1, 2, 3 ]

 

Velvet Ant

44

2098202

03/03/2023, 15:55

Velvet Ant Vedi ultimo messaggio

Nessun messaggio da leggere  
Allegato(i)
Sondaggio sul declino dell'entomofauna in Italia

[ Vai alla paginaVai alla pagina: 1, 2, 3, 4 ]

 

Velvet Ant

52

2780633

22/10/2022, 19:18

Acquarius Vedi ultimo messaggio

Nessun messaggio da leggere  
Allegato(i)
Progetto: Bibliografia ragionata dei lavori entomologici nei quali sono citati reperti apparsi su FEI

[ Vai alla paginaVai alla pagina: 1, 2, 3 ]

 

Velvet Ant

33

1683864

06/07/2023, 18:31

Orotrechus Vedi ultimo messaggio

Nessun messaggio da leggere
Allegato(i)
Mimesi, il primo documentario cinematografico sull’entomologia in Italia: casting
 

mazzeip

1

1152707

28/02/2019, 20:26

mazzeip Vedi ultimo messaggio

Questo argomento è bloccato, non puoi modificare o inviare ulteriori messaggi.
Allegato(i)
ISTRUZIONI PUBBLICAZIONE NUOVI ARGOMENTI E FOTO

 
Altri Ordini di Insetti

Julodis

4

2975480

13/05/2015, 19:37

Julodis Vedi ultimo messaggio

Nessun messaggio da leggere
Allegato(i)
Limitatore giornaliero di messaggi, uno strumento utile e ormai indispensabile

[ Vai alla paginaVai alla pagina: 1 ... 14, 15, 16 ]

 

Velvet Ant

233

14192173

25/09/2014, 14:31

Inachis Vedi ultimo messaggio

Nessun messaggio da leggere  
NORME PER I COLLABORATORI DEL FORUM

 
 

Velvet Ant

0

682897

02/06/2011, 12:05

Velvet Ant Vedi ultimo messaggio

Nessun messaggio da leggere
Allegato(i)
NORME PER GLI UTENTI DEL FORUM

[ Vai alla paginaVai alla pagina: 1, 2, 3 ]



 
 

Velvet Ant

30

3796772

23/09/2014, 23:54

Maurizio Bollino Vedi ultimo messaggio

Nessun messaggio da leggere  
Lista degli utenti del "Forum entomologi italiani" per campi di interesse e specializzazione

 
Altri Ordini di Insetti

Velvet Ant

13

1159676

07/09/2023, 17:14

Roberto-07 Vedi ultimo messaggio

Argomenti
Nessun messaggio da leggere
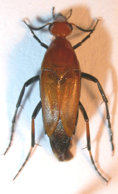
Macrosiagon tricuspidatum (Lepechin, 1774) - Ripiphoridae
6.VI.2012 - ITALIA - Sardegna - CA
Allegato(i)
Macrosiagon tricuspidatum (Lepechin, 1774) - Ripiphoridae

[ Vai alla paginaVai alla pagina: 1, 2 ]



6.VI.2012 - ITALIA - Sardegna - CA
Coleoptera

Fumea crassiorella

15

4747

16/10/2023, 17:43

cosmln Vedi ultimo messaggio

Nessun messaggio da leggere
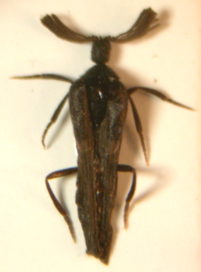
Ripiphoridae - Gabon
XI.2019 - GABON - EE
Allegato(i)
Ripiphoridae - Gabon

XI.2019 - GABON - EE
Coleoptera

Daniele Sechi

2

1249

16/08/2020, 13:57

Enrico Ruzzier Vedi ultimo messaggio

Nessun messaggio da leggere
Ripiphoridae
XII.2013 - GABON - EE
Allegato(i)
Ripiphoridae

XII.2013 - GABON - EE
Coleoptera

Apoderus

6

2419

14/08/2020, 19:27

Apoderus Vedi ultimo messaggio

Nessun messaggio da leggere
Macrosiagon ferrugineum (Fabricius, 1775) (cf.) - Ripiphoridae
10.VII.2019 - ITALIA - Toscana - GR
Allegato(i)
Macrosiagon ferrugineum (Fabricius, 1775) (cf.) - Ripiphoridae

10.VII.2019 - ITALIA - Toscana - GR
Coleoptera

Giuseppe Zanetti

3

1509

13/11/2019, 9:34

Giuseppe Zanetti Vedi ultimo messaggio

Nessun messaggio da leggere
Allegato(i)
Macrosiagon praeustum (Gebler, 1830) (cf.) - Ripiphoridae

20.VI.2019 - SPAGNA - EE
Coleoptera

Dicomed

1

1146

21/10/2019, 7:48

Carlo Monari Vedi ultimo messaggio

Nessun messaggio da leggere
Macrosiagon ferrugineum (Fabricius, 1775) - Ripiphoridae
26.VIII.2019 - ITALIA - Veneto - PD
Allegato(i)
Macrosiagon ferrugineum (Fabricius, 1775) - Ripiphoridae

26.VIII.2019 - ITALIA - Veneto - PD
Coleoptera

Glaphyrus

2

1543

12/09/2019, 21:24

Glaphyrus Vedi ultimo messaggio

Nessun messaggio da leggere
Ptilophorus sp. - Ripiphoridae
23.V.2018 - ITALIA - Sardegna - NU
Allegato(i)
Ptilophorus sp. - Ripiphoridae

23.V.2018 - ITALIA - Sardegna - NU
Coleoptera

Adriana49

2

1365

12/10/2018, 7:30

Adriana49 Vedi ultimo messaggio

Nessun messaggio da leggere
Allegato(i)
Ptilophorus dufouri (Latreille, 1817) - Ripiphoridae

15.V.2018 - TURCHIA - EE
Coleoptera

ozgur70

2

1540

01/08/2018, 20:28

ozgur70 Vedi ultimo messaggio

Nessun messaggio da leggere
Allegato(i)
Ptilophorus dufouri (Latreille, 1817) - Ripiphoridae

11.V.2017 - MAROCCO - EE
Coleoptera

Fumea crassiorella

4

1820

26/10/2017, 21:01

Plagionotus Vedi ultimo messaggio

Nessun messaggio da leggere
Macrosiagon ferrugineum (Fabricius, 1775) - Ripiphoridae
28.VIII.2017 - ITALIA - Lazio - RM
Allegato(i)
Macrosiagon ferrugineum (Fabricius, 1775) - Ripiphoridae

28.VIII.2017 - ITALIA - Lazio - RM
Coleoptera

Edo

4

1618

18/09/2017, 6:53

Julodis Vedi ultimo messaggio

Nessun messaggio da leggere
Allegato(i)
Macrosiagon tricuspidatum (Lepechin, 1774) - Ripiphoridae

20.VI.2017 - GRECIA - EE
Coleoptera

Il Baratelli

3

1429

20/07/2017, 22:31

Il Baratelli Vedi ultimo messaggio

Nessun messaggio da leggere
Rhipiphorus subdipterus Bosc d'Antic, 1792 - Rhipiphoridae
10.VII.2016 - ITALIA - Lazio - RM
Allegato(i)
Rhipiphorus subdipterus Bosc d'Antic, 1792 - Rhipiphoridae

10.VII.2016 - ITALIA - Lazio - RM
Coleoptera

giuseppe55

8

2180

14/07/2016, 19:03

giuseppe55 Vedi ultimo messaggio

Nessun messaggio da leggere
Macrosiagon sp. - Ripiphoridae
10.VI.2016 - ITALIA - Sardegna - CA
Allegato(i)
Macrosiagon sp. - Ripiphoridae

10.VI.2016 - ITALIA - Sardegna - CA
Coleoptera

Palaemonetes

3

1302

12/06/2016, 8:32

Julodis Vedi ultimo messaggio

Nessun messaggio da leggere
Ptilophorus dufouri (Latreille, 1817) - Ripiphoridae
26.V.2015 - ITALIA - Basilicata - MT
Allegato(i)
Ptilophorus dufouri (Latreille, 1817) - Ripiphoridae

[ Vai alla paginaVai alla pagina: 1, 2 ]



26.V.2015 - ITALIA - Basilicata - MT
Coleoptera

aguaplano

16

4531

17/10/2015, 19:48

Fumea crassiorella Vedi ultimo messaggio

Nessun messaggio da leggere
Macrosiagon tricuspidatum (Lepechin, 1774) - Ripiphoridae
28.VI.2015 - ITALIA - Sardegna - OT
Allegato(i)
Macrosiagon tricuspidatum (Lepechin, 1774) - Ripiphoridae

28.VI.2015 - ITALIA - Sardegna - OT
Coleoptera

elleelle

0

1259

15/10/2015, 20:22

elleelle Vedi ultimo messaggio

Nessun messaggio da leggere
Macrosiagon ferrugineum (Fabricius, 1775) - Rhipiphoridae
1.IX.2015 - ITALIA - Emilia-Romagna - RA
Allegato(i)
Macrosiagon ferrugineum (Fabricius, 1775) - Rhipiphoridae

1.IX.2015 - ITALIA - Emilia-Romagna - RA
Coleoptera

Chalybion

7

4050

14/09/2015, 18:22

Chalybion Vedi ultimo messaggio

Nessun messaggio da leggere
Macrosiagon ferrugineum (Fabricius, 1775) - Ripiphoridae
27.VIII.2015 - ITALIA - Emilia-Romagna - RA
Allegato(i)
Macrosiagon ferrugineum (Fabricius, 1775) - Ripiphoridae

27.VIII.2015 - ITALIA - Emilia-Romagna - RA
Coleoptera

marco villa

5

3631

11/09/2015, 10:09

marco villa Vedi ultimo messaggio

Nessun messaggio da leggere
Ripiphorus subdipterus Bosc d'Antic, 1792 - Ripiphoridae
10.VII.2015 - ITALIA - Lazio - RM
Allegato(i)
Ripiphorus subdipterus Bosc d'Antic, 1792 - Ripiphoridae

10.VII.2015 - ITALIA - Lazio - RM
Coleoptera

giuseppe55

9

2381

19/07/2015, 16:15

aphodius Vedi ultimo messaggio

Nessun messaggio da leggere
Macrosiagon tricuspidatum (Lepechin, 1774) - Ripiphoridae
29.V.2015 - ITALIA - Sardegna - CA
Allegato(i)
Macrosiagon tricuspidatum (Lepechin, 1774) - Ripiphoridae

29.V.2015 - ITALIA - Sardegna - CA
Coleoptera

Palaemonetes

6

1808

01/06/2015, 14:49

elleelle Vedi ultimo messaggio

Nessun messaggio da leggere
Ptilophorus dufourii Latreille, 1817 - Ripiphoridae
1.IV.2014 - IRAN, REPUBBLICA ISLAMICA DELL' - EE
Allegato(i)
Ptilophorus dufourii Latreille, 1817 - Ripiphoridae

1.IV.2014 - IRAN, REPUBBLICA ISLAMICA DELL' - EE
Coleoptera

apameini

3

1399

09/02/2015, 1:51

apameini Vedi ultimo messaggio

Nessun messaggio da leggere
Ripiphorus subdipterus Bosc d'Antic, 1792 - Ripiphoridae
2.VIII.2014 - ITALIA - Friuli-Venezia Giulia - GO
Allegato(i)
Ripiphorus subdipterus Bosc d'Antic, 1792 - Ripiphoridae

2.VIII.2014 - ITALIA - Friuli-Venezia Giulia - GO
Altri Artropodi

Agdistis

8

2916

03/08/2014, 10:50

marco villa Vedi ultimo messaggio

Nessun messaggio da leggere
Macrosiagon sp. - Ripiphoridae
V.2012 - FILIPPINE - EE
Allegato(i)
Macrosiagon sp. - Ripiphoridae

V.2012 - FILIPPINE - EE
Coleoptera

Fumea crassiorella

6

2035

24/01/2014, 21:02

Enrico Ruzzier Vedi ultimo messaggio

Nessun messaggio da leggere
Macrosiagon sp. - Ripiphoridae (Gabon)
XII.2013 - GABON - EE
Allegato(i)
Macrosiagon sp. - Ripiphoridae (Gabon)

XII.2013 - GABON - EE
Coleoptera

Apoderus

2

1291

12/01/2014, 11:05

Apoderus Vedi ultimo messaggio

Nessun messaggio da leggere
Macrosiagon ferrugineum (Fabricius, 1775) - Ripiphoridae
15.VII.2003 - ITALIA - Lazio - RM
Allegato(i)
Macrosiagon ferrugineum (Fabricius, 1775) - Ripiphoridae

15.VII.2003 - ITALIA - Lazio - RM
Coleoptera

Diablo

9

2244

04/10/2013, 15:20

elleelle Vedi ultimo messaggio

Nessun messaggio da leggere
Macrosiagon ferrugineum (Fabricius, 1775) - Ripiphoridae
14.VIII.2013 - ITALIA - Umbria - PG
Allegato(i)
Macrosiagon ferrugineum (Fabricius, 1775) - Ripiphoridae

14.VIII.2013 - ITALIA - Umbria - PG
Coleoptera

Loriscola

2

1220

26/08/2013, 18:31

Loriscola Vedi ultimo messaggio

Nessun messaggio da leggere
Ripiphorus subdipterus Bosc d'Antic, 1792 - Ripiphoridae
19.VIII.2013 - ITALIA - Abruzzo - PE
Allegato(i)
Ripiphorus subdipterus Bosc d'Antic, 1792 - Ripiphoridae

[ Vai alla paginaVai alla pagina: 1, 2 ]



19.VIII.2013 - ITALIA - Abruzzo - PE
Coleoptera

Alessio89

18

4549

25/08/2013, 14:31

Alessio89 Vedi ultimo messaggio

Nessun messaggio da leggere
Metoecus paradoxus (Linnaeus, 1761) - Ripiphoridae
VIII.2004 - REPUBBLICA CECA - EE
Allegato(i)
Metoecus paradoxus (Linnaeus, 1761) - Ripiphoridae

VIII.2004 - REPUBBLICA CECA - EE
Coleoptera

Fumea crassiorella

13

3343

26/02/2013, 0:32

Andricus Vedi ultimo messaggio

Nessun messaggio da leggere
Allegato(i)
Ripidius quadriceps Abeille de Perrin 1872 - Ripiphoridae

9.VII.2012 - FRANCIA - EE
Coleoptera

Fumea crassiorella

3

1578

22/10/2012, 15:13

Fumea crassiorella Vedi ultimo messaggio

Nessun messaggio da leggere
Allegato(i)
Macrosiagon tricuspidatum (Lepechin, 1774) - Ripiphoridae

25.VI.2011 - ROMANIA - EE
Coleoptera

cosmln

7

3288

21/10/2012, 13:56

elleelle Vedi ultimo messaggio

Nessun messaggio da leggere
Macrosiagon praeustum (Gebler, 1830) - Ripiphoridae
14.VII.2012 - ITALIA - Sardegna - OT
Allegato(i)
Macrosiagon praeustum (Gebler, 1830) - Ripiphoridae

14.VII.2012 - ITALIA - Sardegna - OT
Coleoptera

elleelle

2

1302

15/10/2012, 20:36

elleelle Vedi ultimo messaggio

Nessun messaggio da leggere
Ripiphorus subdipterus Bosc d'Antic, 1792 - Ripiphoridae
8.IX.2012 - ITALIA - Lazio - VT
Allegato(i)
Ripiphorus subdipterus Bosc d'Antic, 1792 - Ripiphoridae

8.IX.2012 - ITALIA - Lazio - VT
Coleoptera

Andricus

10

2540

09/09/2012, 14:34

Mikiphasmide Vedi ultimo messaggio

Nessun messaggio da leggere
Allegato(i)
Ptilophorus dufouri (Latreille, 1817) - Ripiphoridae

24.V.1994 - ARMENIA - EE
Coleoptera

Fumea crassiorella

0

1066

10/08/2012, 12:27

Fumea crassiorella Vedi ultimo messaggio

Nessun messaggio da leggere
Ripiphorus subdipterus Bosc d'Antic, 1792 - Ripiphoridae
26.VII.2012 - ITALIA - Sardegna - CA
Allegato(i)
Ripiphorus subdipterus Bosc d'Antic, 1792 - Ripiphoridae

26.VII.2012 - ITALIA - Sardegna - CA
Coleoptera

Palaemonetes

4

1653

26/07/2012, 20:20

Palaemonetes Vedi ultimo messaggio

Nessun messaggio da leggere
Allegato(i)
Macrosiagon ferrugineum (Fabricius, 1775) - Ripiphoridae

14.VII.2012 - PORTOGALLO - EE
Coleoptera

Velvet Ant

5

1815

26/07/2012, 13:57

Andricus Vedi ultimo messaggio

Nessun messaggio da leggere
Ripiphorus subdipterus Bosc d'Antic, 1792 - Ripiphoridae
3.VI.2012 - ITALIA - Sardegna - CA
Allegato(i)
Ripiphorus subdipterus Bosc d'Antic, 1792 - Ripiphoridae

[ Vai alla paginaVai alla pagina: 1, 2 ]



3.VI.2012 - ITALIA - Sardegna - CA
Coleoptera

Fumea crassiorella

20

5032

20/06/2012, 20:10

Fumea crassiorella Vedi ultimo messaggio

Nessun messaggio da leggere
Macrosiagon ferrugineum (Fabricius, 1775) - Ripiphoridae
6.VI.2012 - ITALIA - Sardegna - CA
Allegato(i)
Macrosiagon ferrugineum (Fabricius, 1775) - Ripiphoridae

6.VI.2012 - ITALIA - Sardegna - CA
Coleoptera

Fumea crassiorella

7

2350

06/06/2012, 23:57

Julodis Vedi ultimo messaggio

Nessun messaggio da leggere
Ripiphorus subdipterus Bosc d'Antic, 1792 - Ripiphoridae
6.VI.2012 - ITALIA - Lazio - VT
Allegato(i)
Ripiphorus subdipterus Bosc d'Antic, 1792 - Ripiphoridae

6.VI.2012 - ITALIA - Lazio - VT
Coleoptera

Andricus

1

1376

06/06/2012, 20:33

hypotyphlus Vedi ultimo messaggio

Nessun messaggio da leggere
Macrosiagon ferrugineum (Fabricius, 1775) - Ripiphoridae
VI.2007 - ITALIA - Sicilia - ME
Allegato(i)
Macrosiagon ferrugineum (Fabricius, 1775) - Ripiphoridae

VI.2007 - ITALIA - Sicilia - ME
Coleoptera

Velvet Ant

2

1759

06/06/2012, 20:08

Andricus Vedi ultimo messaggio

Nessun messaggio da leggere
Allegato(i)
Ripiphorus subdipterus Bosc d'Antic, 1792, ♀- Ripiphoridae

11.IX.2011 - ITALIA - Lazio - RM
Coleoptera

andreah

8

2293

12/09/2011, 21:47

Velvet Ant Vedi ultimo messaggio

Nessun messaggio da leggere
Allegato(i)
Ripiphorus subdipterus Bosc d'Antic, 1792, ♂ - Ripiphoridae

11.IX.2011 - ITALIA - Lazio - RM
Coleoptera

andreah

8

2874

11/09/2011, 21:03

Julodis Vedi ultimo messaggio

Nessun messaggio da leggere
Ripiphorus subdipterus Bosc d'Antic, 1792 - Ripiphoridae
1.IX.2011 - ITALIA - Lazio - RM
Allegato(i)
Ripiphorus subdipterus Bosc d'Antic, 1792 - Ripiphoridae

1.IX.2011 - ITALIA - Lazio - RM
Coleoptera

mauriziomei

5

1824

02/09/2011, 17:20

Fumea crassiorella Vedi ultimo messaggio

Nessun messaggio da leggere
Ripiphorus subdipterus Bosc d'Antic, 1792 - Ripiphoridae
26.VII.1967 - ITALIA - Sicilia - ME
Allegato(i)
Ripiphorus subdipterus Bosc d'Antic, 1792 - Ripiphoridae

26.VII.1967 - ITALIA - Sicilia - ME
Coleoptera

Velvet Ant

8

3471

09/03/2011, 20:37

hpl Vedi ultimo messaggio

Nessun messaggio da leggere
Ptilophorus dufouri (Latreille, 1817) - Ripiphoridae
16.V.2010 - IRAN, REPUBBLICA ISLAMICA DELL' - EE
Allegato(i)
Ptilophorus dufouri (Latreille, 1817) - Ripiphoridae

16.V.2010 - IRAN, REPUBBLICA ISLAMICA DELL' - EE
Coleoptera

Isotomus

1

1214

31/07/2010, 23:28

krep Vedi ultimo messaggio

Nessun messaggio da leggere
Ripiphorus subdipterus Bosc d'Antic 1792 - Ripiphoridae
2.VIII.2009 - ITALIA - Sardegna - SS
Allegato(i)
Ripiphorus subdipterus Bosc d'Antic 1792 - Ripiphoridae

[ Vai alla paginaVai alla pagina: 1, 2 ]



2.VIII.2009 - ITALIA - Sardegna - SS
Coleoptera

Pietro Niolu

25

4818

08/09/2009, 8:55

Glaphyrus Vedi ultimo messaggio

Nessun messaggio da leggere
Macrosiagon tricuspidatum (Lepechin, 1774) - Rhipiphoridae
2.VII.2009 - ITALIA - Sardegna - NU
Allegato(i)
Macrosiagon tricuspidatum (Lepechin, 1774) - Rhipiphoridae

2.VII.2009 - ITALIA - Sardegna - NU
Coleoptera

Daniele Sechi

0

998

27/07/2009, 11:10

Daniele Sechi Vedi ultimo messaggio

Nessun messaggio da leggere
Metoecus paradoxus (Linnaeus, 1761) - Ripiphoridae
1.XI.2008 - ITALIA - Sardegna - NU
Allegato(i)
Metoecus paradoxus (Linnaeus, 1761) - Ripiphoridae

1.XI.2008 - ITALIA - Sardegna - NU
Coleoptera

Daniele Sechi

0

1130

17/02/2009, 21:53

Daniele Sechi Vedi ultimo messaggio

Visualizza ultimi argomenti:  Ordina per  Ordine:  
nuovo argomento
Pagina 1 di 1 [ 46 argomenti ]

Tutti gli orari sono UTC + 1 ora [ ora legale ]


Chi c’è in linea

Visitano il forum: Nessuno e 1 ospite


Legenda
Messaggi da leggere Messaggi da leggere Nessun messaggio da leggere Nessun messaggio da leggere Annuncio Annuncio
 
Specie indeterminata / discussione generica
Messaggi non letti [ Popolari ] Messaggi non letti [ Popolari ] Nessun messaggio da leggere [ Popolare ] Nessun messaggio da leggere [ Popolare ] Importante Importante
 
Specie determinata fino al genere o cf.
Messaggi non letti [ Bloccati ] Messaggi non letti [ Bloccati ] No messaggi non letti [ Bloccati ] No messaggi non letti [ Bloccati ] Argomento spostato Argomento spostato
 
Specie correttamente determinata
Permessi
Non puoi aprire nuovi argomenti
Non puoi rispondere negli argomenti
Non puoi modificare i tuoi messaggi
Non puoi cancellare i tuoi messaggi
Non puoi inviare allegati

Cerca per:
Vai a: