| Autore |
Messaggio |
|
conan
|
Inviato: 02/09/2010, 20:07 |
|
Iscritto il: 09/06/2009, 13:19 Messaggi: 1229 Località: Modena
Nome: Omar Pacchioni
|
|
Località Rocca Malatina (MO) 600 m slm Emilia Romagna - 1 agosto 2010
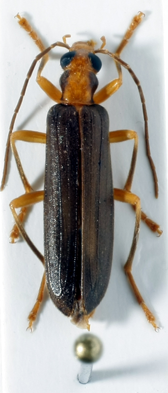
Secondo me questo non è un cerambiciade
_________________ ..OOOO.......OOO.....OO......OOO......OOOO OO.....OO....OO..O.O..O....OO....O....OO....O OO.....OO....OO....O...O....OOOOO....OOOO ..OOOO.......OO.........O....OO....O....OO....O
|
|
| Top |
|
 |
|
marco paglialunga
|
Inviato: 02/09/2010, 20:32 |
|
Iscritto il: 11/11/2009, 20:54 Messaggi: 4850 Località: Pesaro
Nome: Marco Paglialunga
|
Già.... Xanthochroa carniolica (Gisti, 1834) Oedemeridae
_________________ O voi ch'avete li 'ntelletti sani, mirate la dottrina che s'asconde sotto 'l velame de li versi strani (InfeRRno - canto IX - vv. 61-63)
|
|
| Top |
|
 |
|
Isotomus
|
Inviato: 02/09/2010, 21:18 |
|
Iscritto il: 05/09/2009, 7:56 Messaggi: 3445 Località: Cesena
Nome: Gianfranco Sama
|
E' comunque interessante 
_________________ Gianfranco Sama
"Benedetto colui che ti aiuta a correggere i tuoi errori invece di scagliarteli contro" ___________________________________ Gershom Sholem
|
|
| Top |
|
 |
|
conan
|
Inviato: 02/09/2010, 21:23 |
|
Iscritto il: 09/06/2009, 13:19 Messaggi: 1229 Località: Modena
Nome: Omar Pacchioni
|
|
perchè Gianfranco dici che è interessante?
_________________ ..OOOO.......OOO.....OO......OOO......OOOO OO.....OO....OO..O.O..O....OO....O....OO....O OO.....OO....OO....O...O....OOOOO....OOOO ..OOOO.......OO.........O....OO....O....OO....O
|
|
| Top |
|
 |
|
Plagionotus
|
Inviato: 02/09/2010, 23:29 |
|
Iscritto il: 21/05/2009, 14:59 Messaggi: 6994 Località: Parigi
Nome: Riccardo Poloni
|
Con le trappole ne ho trovate ma non ne ho tenute tranne forse una o due 
_________________ Riccardo Poloni La dignità degli elementi la libertà della poesia, al di là dei tradimenti degli uomini è magia, è magia, è magia... Negrita, Rotolando verso sud
|
|
| Top |
|
 |
|
Isotomus
|
Inviato: 03/09/2010, 9:14 |
|
Iscritto il: 05/09/2009, 7:56 Messaggi: 3445 Località: Cesena
Nome: Gianfranco Sama
|
Non so se sia la Nacerdes (Xanthochroa) carniolica Gist l (bisognerebbe sottoporla a identificazione certa), ma, se è questa, ha una distribuzione piuttosto limitata lungo l'Appennino. Io l'ho allevata da Abies alba e questo (la pianta ospite) potrebbe spiegarne la distribuzione puntiforme in tutto l'areale di distribuzione. Ricordo che esistono tre ssp.: oletre alla ssp. tipica, anche pelopennesica Svihla, 1993 e atlantica (Allemand, 1993). Bisognerebbe recuperare le revisioni di Svihla (1991) e di Allemand (1993). Qualche neofita degli Oedemeridae potrebbe farsi avanti e illuminarci  Vedi anche http://www.sea-entomologia.org/PDF/ZAPA ... 03-035.pdf
_________________ Gianfranco Sama
"Benedetto colui che ti aiuta a correggere i tuoi errori invece di scagliarteli contro" ___________________________________ Gershom Sholem
|
|
| Top |
|
 |
|
FORBIX
|
Inviato: 03/09/2010, 9:26 |
|
Iscritto il: 17/02/2009, 0:05 Messaggi: 8524 Località: Isola d'Elba - Arcipelago Toscano
Nome: Leonardo Forbicioni
|
Se a qualcuno interessano ne ho moltissimi esemplari (un centinaio), conservati in alcool, catturati con le trappole dolci, su Leccio. Se qualcuno se le vuole studiare, gliele passo ben volentieri.......per di più sono Elbane!!! 
_________________ "Stay hungry, stay foolish". Steve Jobs, 2005 ___________________ jjuniper8(at)gmail.com Twitter: @weevil_forbixcell. 339/5275910 ___________________
|
|
| Top |
|
 |
|