Benvenuto Ospite

Forum Entomologi Italiani

www.entomologiitaliani.net/forum
 
Oggi è 22/03/2026, 13:32

Tutti gli orari sono UTC + 1 ora [ ora legale ]

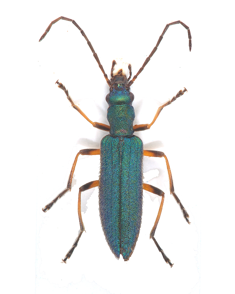
Chrisanthia geniculata (Heyden, 1877) - Oedemeridae

VII.2011 - ITALIA - Toscana - PI, Orto Botanico di San rossore


nuovo argomento
rispondi
Pagina 1 di 1 [ 4 messaggi ]
Autore Messaggio
MessaggioInviato: 20/09/2011, 13:52 
Avatar utente

Iscritto il: 17/02/2009, 0:05
Messaggi: 8524
Località: Isola d'Elba - Arcipelago Toscano
Nome: Leonardo Forbicioni
Mi aiutate a determinare questa Chrysanthia sp. (almeno credo che il genere sia quello).

Chrysanthia Oedemeridae xweb.jpg


_________________
"Stay hungry, stay foolish".
Steve Jobs, 2005
___________________
jjuniper8(at)gmail.com
Twitter: @weevil_forbix
cell. 339/5275910
___________________


Top
profilo
 Oggetto del messaggio: Re: Chrysanthia da ID - Oedemeridae
MessaggioInviato: 20/09/2011, 14:52 
Avatar utente

Iscritto il: 16/02/2009, 23:39
Messaggi: 1369
Località: Mirano (Venezia)
Nome: Enrico Ruzzier
A mio modesto parere si tratta di una forma cromatica azzurra di Chrisanthia geniculata (Heyden, 1877)

:hi:

_________________
«Discendiamo da scimmie evolute, non da angeli caduti» Robert Ardrey


Top
profilo
 Oggetto del messaggio: Re: Chrysanthia da ID - Oedemeridae
MessaggioInviato: 20/09/2011, 15:04 
Avatar utente

Iscritto il: 17/02/2009, 0:05
Messaggi: 8524
Località: Isola d'Elba - Arcipelago Toscano
Nome: Leonardo Forbicioni
Grazie Enrico! :lov2:
Anche io avevo pensato alla geniculata, visto che l'unica altra specie simile, almeno a quanto ne so' io, dovrebbe essere Chrysanthia nigricornis West., 1881, che però non dovrebbe far parte della nostra fauna, giusto??

P.S. - Ma c'eri ad Entomodena?? Avevo portato qualche Mordellidae elbano per te....ma purtroppo nulla dal Giglio e da Pianosa, perchè nei primi giorni di aprile, quando sono andato, non ne ho visti neanche uno. Spero di poterti trovare qualcosa la prossima primavera, visto che dovrò tornare al Giglio nella seconda decade del mese di maggio!! :hp: :hp:

_________________
"Stay hungry, stay foolish".
Steve Jobs, 2005
___________________
jjuniper8(at)gmail.com
Twitter: @weevil_forbix
cell. 339/5275910
___________________


Top
profilo
 Oggetto del messaggio: Re: Chrysanthia da ID - Oedemeridae
MessaggioInviato: 20/09/2011, 16:08 
Avatar utente

Iscritto il: 16/02/2009, 23:39
Messaggi: 1369
Località: Mirano (Venezia)
Nome: Enrico Ruzzier
Le specie in italia se non ricordo male dovrebbero esser due C. geniculata e C. viridissima!
La C. nigricornis attualmente da catalogo è sinonimo di C. geniculata.
Devo poi correggere la mia risposta precedente Chrysanthia genicultata è per questioni di priorità di (Schmidt, 1846)

Mi spiace non esserci incontrati a Entomodena, ero presente entrambi i giorni, solo che il sabato sono riuscito a fare solo
qualche breve e fugace apparizione sul palco del Forum... ho raccolto materiale un pò di corsa, infatti devo ringraziare tutti
quelli che mi han passato qualcosa! Con la scusa che seguivo un banchetto non sono riuscito a far le cose con calma come avrei voluto!

Grazie comunque per l'impegno nella ricerca del materiale da isole dell'arcipelago toscano, ogni singolo esemplare per me è assai prezioso!! Anzi spero di poter ricambiare la cortesia

_________________
«Discendiamo da scimmie evolute, non da angeli caduti» Robert Ardrey


Top
profilo
Visualizza ultimi messaggi:  Ordina per  
nuovo argomento
rispondi
Pagina 1 di 1 [ 4 messaggi ]

Tutti gli orari sono UTC + 1 ora [ ora legale ]


Chi c’è in linea

Visitano il forum: Nessuno e 1 ospite


Non puoi aprire nuovi argomenti
Non puoi rispondere negli argomenti
Non puoi modificare i tuoi messaggi
Non puoi cancellare i tuoi messaggi
Non puoi inviare allegati

Cerca per:
Vai a: