Benvenuto Ospite

Forum Entomologi Italiani

www.entomologiitaliani.net/forum
 
Oggi è 22/12/2025, 11:26

Tutti gli orari sono UTC + 1 ora [ ora legale ]

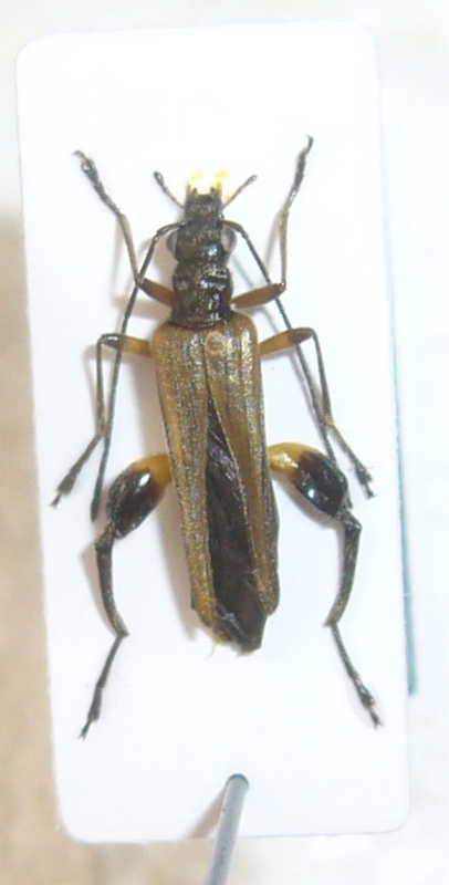
Oedemera sp. - Oedemeridae

21.VII.2012 - AZERBAIJAN - EE, Azerbaijan : Gadabay rayon : Gadabay (near)


nuovo argomento
rispondi
Pagina 1 di 1 [ 2 messaggi ]
Autore Messaggio
 Oggetto del messaggio: Oedemera sp. - Oedemeridae
MessaggioInviato: 06/10/2012, 10:16 
Avatar utente

Iscritto il: 31/08/2010, 7:16
Messaggi: 3040
Località: Romania
Nome: Pintilioaie Alexandru Mihai
Hi :hi: , this week I meet Cosmin after a long time :D and I received a few beetles, some of them from Azerbaijan :lov2: :lov2:

This is a male, I think a male of O. podagrariae, but a confirmation whould be welcome :D
lenght : ~ 9 mm

:hi: :hi:

P1350938.JPG



P1350936.JPG


_________________
alexandrupintilioaie(AT)gmail.com


Top
profilo
MessaggioInviato: 19/10/2012, 6:52 
Avatar utente

Iscritto il: 31/08/2010, 7:16
Messaggi: 3040
Località: Romania
Nome: Pintilioaie Alexandru Mihai
up ! :hi:

_________________
alexandrupintilioaie(AT)gmail.com


Top
profilo
Visualizza ultimi messaggi:  Ordina per  
nuovo argomento
rispondi
Pagina 1 di 1 [ 2 messaggi ]

Tutti gli orari sono UTC + 1 ora [ ora legale ]


Chi c’è in linea

Visitano il forum: Nessuno e 1 ospite


Non puoi aprire nuovi argomenti
Non puoi rispondere negli argomenti
Non puoi modificare i tuoi messaggi
Non puoi cancellare i tuoi messaggi
Non puoi inviare allegati

Cerca per:
Vai a: