Benvenuto Ospite

Forum Entomologi Italiani

www.entomologiitaliani.net/forum
 
Oggi è 26/12/2025, 13:06

Tutti gli orari sono UTC + 1 ora [ ora legale ]

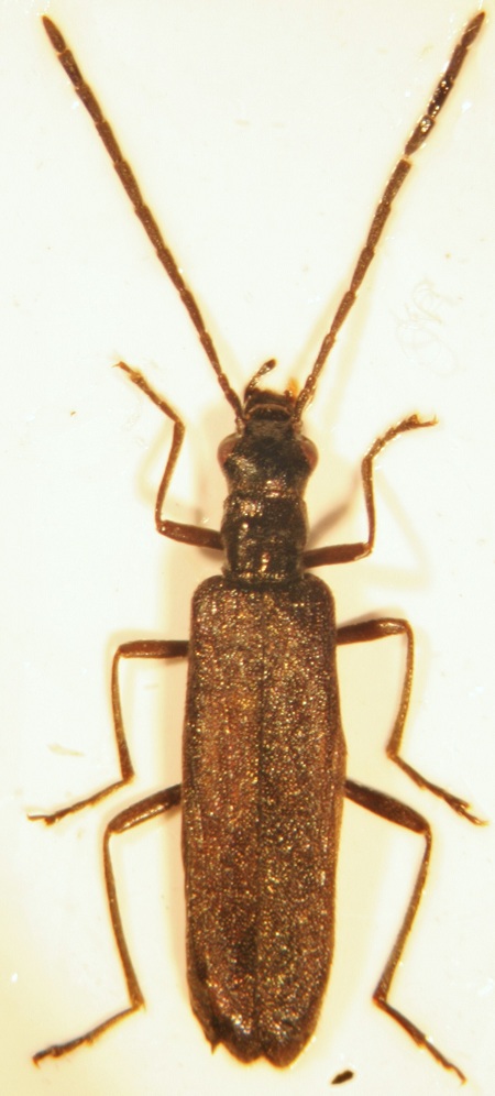
Opsimea ventralis Miller in Reitter, 1880 - Oedemeridae

29.V.2011 - GRECIA - EE, Alonistena ad Vitina / Menalo Mount


nuovo argomento
rispondi
Pagina 1 di 1 [ 5 messaggi ]
Autore Messaggio
MessaggioInviato: 23/12/2012, 22:56 
Avatar utente

Iscritto il: 17/06/2012, 8:30
Messaggi: 418
Nome: Tomasz Gazurek
dimensione: 5 mm


20121215_014319_R=8_S=4.jpg

Top
profilo
 Oggetto del messaggio: Re: Oedemeridae
MessaggioInviato: 24/12/2012, 0:46 
Avatar utente

Iscritto il: 16/02/2009, 23:39
Messaggi: 1368
Località: Mirano (Venezia)
Nome: Enrico Ruzzier
From the picture is not clear :( .. In my opinion could be a female of Oedemera (Oedemera) virescens ( Linnaeus, 1767)

:hi:

_________________
«Discendiamo da scimmie evolute, non da angeli caduti» Robert Ardrey


Top
profilo
 Oggetto del messaggio: Re: Oedemeridae
MessaggioInviato: 24/12/2012, 17:58 
Avatar utente

Iscritto il: 13/10/2010, 18:21
Messaggi: 1990
Nome: Andrea Liberto
Più probabilmente Opsimea ventralis.
Ciao, A. :hi:


Top
profilo
 Oggetto del messaggio: Re: Oedemeridae
MessaggioInviato: 24/12/2012, 18:11 
Avatar utente

Iscritto il: 09/11/2009, 14:12
Messaggi: 5168
Località: Hradec Kralove,Czech republik
Nome: Jan Matějíček
Opsimea ventralis Miller in Reitter, 1880

viewtopic.php?f=180&t=841&view=next

Oedemera (Oedemera) virescens ( Linnaeus, 1767)

http://coleoptera.ksib.pl/kfp/search.php?img=4924

Oedemeridae key

http://www.coleo-net.de/coleo/texte/oedemeridae.htm

_________________
Research Fields
Taxonomy, ecology, biomonitoring , faunistic of Staphylinidae


Top
profilo
 Oggetto del messaggio: Re: Oedemeridae
MessaggioInviato: 29/12/2012, 0:37 
Avatar utente

Iscritto il: 17/06/2012, 8:30
Messaggi: 418
Nome: Tomasz Gazurek
immagine non era troppo buono, ma secondo il vostro parere ho potuto vedere che questo è senza dubbio Opsimea ventralis

grazie a tutti! :ok: :ok: :ok: :hi:


Top
profilo
Visualizza ultimi messaggi:  Ordina per  
nuovo argomento
rispondi
Pagina 1 di 1 [ 5 messaggi ]

Tutti gli orari sono UTC + 1 ora [ ora legale ]


Chi c’è in linea

Visitano il forum: Nessuno e 1 ospite


Non puoi aprire nuovi argomenti
Non puoi rispondere negli argomenti
Non puoi modificare i tuoi messaggi
Non puoi cancellare i tuoi messaggi
Non puoi inviare allegati

Cerca per:
Vai a: