|
Tutti gli orari sono UTC + 1 ora [ ora legale ] |

|
| Autore | Messaggio | ||
|---|---|---|---|
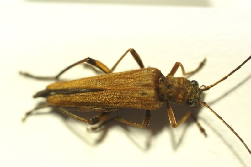
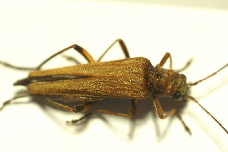
| Andream |
|
||
|
Iscritto il: 09/08/2013, 15:35 Messaggi: 1260 Nome: Andrea marata |
|
||
| Top |
|
||
| Chalybion |
|
||
|
Iscritto il: 08/12/2013, 1:52 Messaggi: 7688 Località: Bagnacavallo (RA) Nome: Giorgio Pezzi |
|
||
| Top |
|
||
| Andream |
|
||
|
Iscritto il: 09/08/2013, 15:35 Messaggi: 1260 Nome: Andrea marata |
|
||
| Top |
|
||
|
Tutti gli orari sono UTC + 1 ora [ ora legale ] |
Chi c’è in linea |
Visitano il forum: Nessuno e 2 ospiti |
Non puoi aprire nuovi argomenti Non puoi rispondere negli argomenti Non puoi modificare i tuoi messaggi Non puoi cancellare i tuoi messaggi Non puoi inviare allegati |