Benvenuto Ospite

Forum Entomologi Italiani

www.entomologiitaliani.net/forum
 
Oggi è 30/05/2026, 13:55

Tutti gli orari sono UTC + 1 ora [ ora legale ]

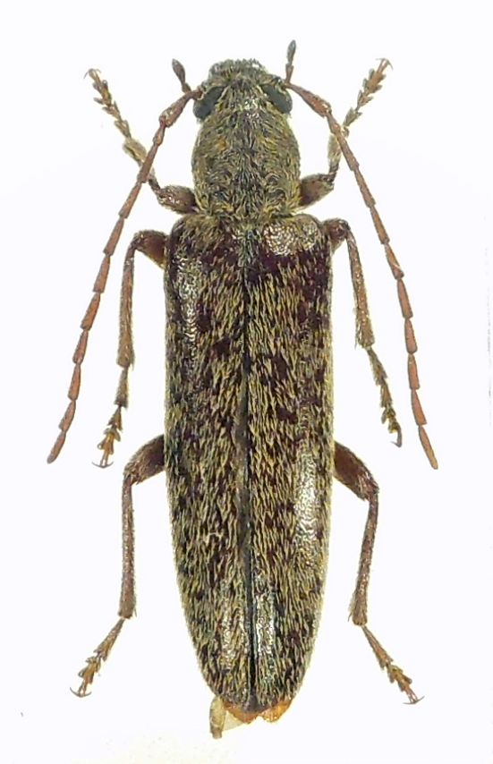
Sparedrus orsinii A. Costa, 1852 - Oedemeridae

30.VI.2012 - ITALIA - Toscana - FI, Campigno, 550 m, sopra Marradi


nuovo argomento
rispondi
Pagina 1 di 1 [ 1 messaggio ]
Autore Messaggio
MessaggioInviato: 27/11/2015, 22:43 
 

Iscritto il: 08/12/2013, 1:52
Messaggi: 7728
Località: Bagnacavallo (RA)
Nome: Giorgio Pezzi
Vorrei sapere se ci sono altre segnalazioni in Romagna di questa elusiva specie giunta alla luce bianca del telo. mm 12. Grazie. Giorgio. :hi:
DSCF2124.JPG



Top
profilo
Visualizza ultimi messaggi:  Ordina per  
nuovo argomento
rispondi
Pagina 1 di 1 [ 1 messaggio ]

Tutti gli orari sono UTC + 1 ora [ ora legale ]


Chi c’è in linea

Visitano il forum: Nessuno e 2 ospiti


Non puoi aprire nuovi argomenti
Non puoi rispondere negli argomenti
Non puoi modificare i tuoi messaggi
Non puoi cancellare i tuoi messaggi
Non puoi inviare allegati

Cerca per:
Vai a: