Forum Entomologi Italiani
https://www.entomologiitaliani.net/public/forum/phpBB3/

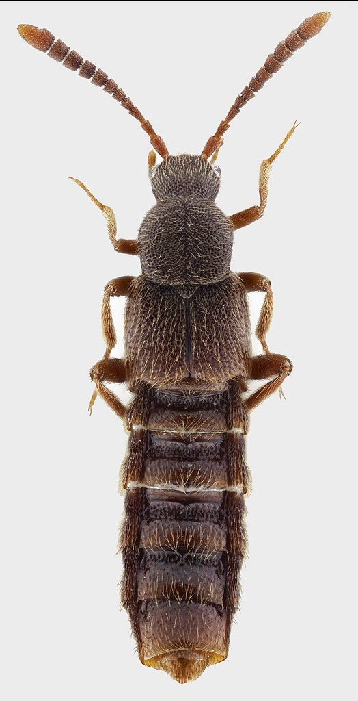
Ilyobates mech (Baudi, 1848) (cf.) - Staphylinidae
https://www.entomologiitaliani.net/public/forum/phpBB3/viewtopic.php?f=243&t=53248
Pagina 1 di 1

Autore:  Andrea Pergine [ 04/05/2014, 11:10 ]
Oggetto del messaggio:  Ilyobates mech (Baudi, 1848) (cf.) - Staphylinidae

:hi: Chiedo gentilmente aiuto per dare un nome a questa particolare bestiola. :lov2:

lunghezza: 4,8 mm
staphylinide v.jpg

staphylinide.jpg



:birra: Grazie mille :birra:

Autore:  Honza [ 04/05/2014, 13:41 ]
Oggetto del messaggio:  Re: Staphylinidino del Piemonte

Credo che Ilyobates sp.

Allegati:
Genus Ilyobates Kraatz.doc [333.5 KiB]
Scaricato 215 volte

Autore:  Honza [ 04/05/2014, 16:36 ]
Oggetto del messaggio:  Re: Staphylinidino del Piemonte

Ilyobates mech (Baudi, 1848) (N)
Ilyobates nigricollis (Paykull, 1800) (N, S?)
Ilyobates propinquus (Aubé, 1850) (N)

Autore:  Andrea Pergine [ 06/05/2014, 23:03 ]
Oggetto del messaggio:  Re: Staphylinidino del Piemonte

:birra: Grazie mille Jan! :birra:
Ho controllato al microscopio e dovrebbe essere Ilyobates mech (Baudi, 1848)
:hi: :hi: :hi:

Autore:  Andrea Pergine [ 19/03/2015, 11:29 ]
Oggetto del messaggio:  Re: Staphylinidino del Piemonte

:hi: Visto il cospicuo ed importante apporto di staphylinidae dell'ultimo periodo da parte di Alessio, rispolvero questo esemplare pregando, chi può farlo e se non arrivano ulteriori conferme o smentite, di archiviarlo almeno come Ilyobates mech cf (Baudi, 1848).
:birra: Grazie mille! :lov2:
:hi:

Autore:  Honza [ 19/03/2015, 12:18 ]
Oggetto del messaggio:  Re: Ilyobates mech (Baudi, 1848) (cf.) - Staphylinidae

Ho molto poco Ilyobates meglio species

Allegati:
DSC_0014 - Kopie.JPG


Autore:  Andrea Pergine [ 19/03/2015, 12:34 ]
Oggetto del messaggio:  Re: Ilyobates mech (Baudi, 1848) (cf.) - Staphylinidae

:birra: Grazie mille Jan, molto bella la tua immagine... :lov2:
:hi:

Autore:  Alessio89 [ 19/03/2015, 16:15 ]
Oggetto del messaggio:  Re: Ilyobates mech (Baudi, 1848) (cf.) - Staphylinidae

Molto belle pure le tue foto Andrea :ok: . Altro che quelle mie :sick: , qui si che capisce qualcosa :mrgreen: .

Pagina 1 di 1 Tutti gli orari sono UTC + 1 ora [ ora legale ]
Powered by phpBB® Forum Software © phpBB Group
http://www.phpbb.com/