Benvenuto Ospite

Forum Entomologi Italiani

www.entomologiitaliani.net/forum
 
Oggi è 28/12/2025, 19:24

Tutti gli orari sono UTC + 1 ora [ ora legale ]

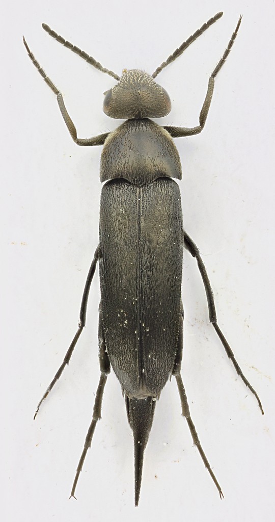
Mordellistena (Mordellistena) sp. - Mordellidae

18.V.2012 - IRAN, REPUBBLICA ISLAMICA DELL' - EE, dintorni di Sanandaj


nuovo argomento
rispondi
Pagina 1 di 1 [ 3 messaggi ]
Autore Messaggio
MessaggioInviato: 26/05/2012, 1:50 
Avatar utente

Iscritto il: 30/12/2009, 22:20
Messaggi: 31564
Località: Roma
Nome: Maurizio Gigli
Sempre dai fusti di eringio raccolti il 4.V.2010 in Iran da Daniele Baiocchi, mi è uscito questo Mordellidae

8 mm tutto compreso

Mordellidae_Iran_18-V-2012.jpg



Mordellidae_Iran_18-V-2012b.jpg


_________________
Maurizio Gigli
http://utenti.romascuola.net/bups
http://bup.xoom.it/


Top
profilo
 Oggetto del messaggio: Re: Mordellidae - Iran
MessaggioInviato: 26/05/2012, 7:54 
Avatar utente

Iscritto il: 16/02/2009, 23:39
Messaggi: 1368
Località: Mirano (Venezia)
Nome: Enrico Ruzzier
Sicuramente Mordellistena (Mordelistena) sp.
Di che colore è la peluria che ricopre le elitre? Dalla foto non capisco se è scura di suo o solo per il
fatto che è coricara.
Sarebbe utile anche una foto di tibia e tarsi posteriori in visione laterale, così da vedere le crenellature.


:hi:

_________________
«Discendiamo da scimmie evolute, non da angeli caduti» Robert Ardrey


Top
profilo
 Oggetto del messaggio: Re: Mordellidae - Iran
MessaggioInviato: 26/05/2012, 19:11 
Avatar utente

Iscritto il: 30/12/2009, 22:20
Messaggi: 31564
Località: Roma
Nome: Maurizio Gigli
Ora non ce l'ho qui, ma stasera lo fotografo di lato e ti faccio sapere. La pubescenza mi pare sia scura, ma a seconda dell'incidenza della luce sembra argentata.

_________________
Maurizio Gigli
http://utenti.romascuola.net/bups
http://bup.xoom.it/


Top
profilo
Visualizza ultimi messaggi:  Ordina per  
nuovo argomento
rispondi
Pagina 1 di 1 [ 3 messaggi ]

Tutti gli orari sono UTC + 1 ora [ ora legale ]


Chi c’è in linea

Visitano il forum: Nessuno e 1 ospite


Non puoi aprire nuovi argomenti
Non puoi rispondere negli argomenti
Non puoi modificare i tuoi messaggi
Non puoi cancellare i tuoi messaggi
Non puoi inviare allegati

Cerca per:
Vai a: