Benvenuto Ospite

Forum Entomologi Italiani

www.entomologiitaliani.net/forum
 
Oggi è 12/12/2025, 15:54

Tutti gli orari sono UTC + 1 ora [ ora legale ]

Typhloreicheia (Typhloreicheia) magrinii Degiovanni, Bastianini & Petrioli, 2010 Dettagli della specie

27.VI.2009 - ITALIA - Lazio - FR, Prato di Campoli (Monti Ernici, Veroli)


nuovo argomento
rispondi
Vai alla pagina 1, 2  Prossimo
Pagina 1 di 2 [ 16 messaggi ]
Autore Messaggio
MessaggioInviato: 15/03/2011, 0:55 
Avatar utente

Iscritto il: 18/02/2009, 0:24
Messaggi: 3909
Località: Asciano (Siena)
Nome: Andrea Petrioli
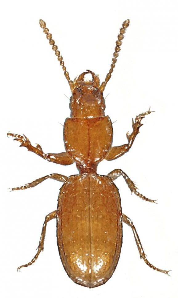
Finalmente riesco a trovare un po' di tempo per inserire questa nuova specie di Typhloreicheia descritta con gli amici Degiovanni e Bastianini e dedicata con immenso piacere al quarto "compagno di merende", nonché promotore principale delle nostre uscite entomologiche, Paolo Magrini. :lov2:

La nuova specie proviene da Prato di Campoli (Monti Ernici) ed è stata raccolta vagliando il terreno in faggeta (quota 1000 m).


Ed ecco l'habitus; anche per questa foto ringrazio l'amico Magrini :ok:


habitus magrinii rid.jpg





Questo è il p.d.f. scaricabile:
Typhloreicheia magrinii.pdf [321.37 KiB]
Scaricato 145 volte

_________________
:hi:
______
Andrea


Top
profilo
MessaggioInviato: 15/03/2011, 0:58 
Avatar utente

Iscritto il: 09/11/2010, 19:52
Messaggi: 4518
Località: Brescia
Nome: Luca Bodei
:ok: :ok: :ok: :ok: :ok: :ok: :p Complimenti a tutti e 4 (az come i moschettieri..tutti per uno e....),bella bestiolina :p :ok: :ok: :ok: :ok: :ok: :ok: :hi: :birra:

_________________
Tc70


Top
profilo
MessaggioInviato: 15/03/2011, 1:30 
Avatar utente

Iscritto il: 14/01/2010, 0:10
Messaggi: 3603
Località: Liguria, Genova
Nome: Giovanni Ratto
Continua la carrellata di nuove specie italiane!!! :hp:
Evviva.gif


Complimenti! :ok:

:hi:

_________________
ImmagineGiovanni
Pactolinus gigas (Paykull, 1811)


Top
profilo
MessaggioInviato: 15/03/2011, 1:38 
Avatar utente

Iscritto il: 01/07/2010, 22:26
Messaggi: 5650
Località: Viterbo
Nome: Marco Selis
Complimenti! Bellissima specie :p
Credi che si possa trovare nelle zone di Viterbo? C'è una faggeta a 1024m e mi capita di andarci spesso a caccia di Scolopendre, quindi potrei approfittarne per prendere un po' di terriccio da vagliare in cerca di questa specie.


Top
profilo
MessaggioInviato: 15/03/2011, 1:59 
Avatar utente

Iscritto il: 09/11/2010, 19:52
Messaggi: 4518
Località: Brescia
Nome: Luca Bodei
Andricus ha scritto:
Complimenti! Bellissima specie :p
Credi che si possa trovare nelle zone di Viterbo? C'è una faggeta a 1024m e mi capita di andarci spesso a caccia di Scolopendre, quindi potrei approfittarne per prendere un po' di terriccio da vagliare in cerca di questa specie.



Vaglia,vaglia :ses ,può darsi pure che anche tu insistendo riesca a trovare un qualcosa di interessante :ok: good luck :hi: :birra:

_________________
Tc70


Top
profilo
MessaggioInviato: 15/03/2011, 5:19 
Avatar utente

Iscritto il: 19/09/2009, 22:25
Messaggi: 5913
Località: Brescia
Nome: Vinicio Salami
complimenti. :birra: :birra: :birra:


Top
profilo
MessaggioInviato: 15/03/2011, 8:04 
Avatar utente

Iscritto il: 30/12/2009, 22:20
Messaggi: 31564
Località: Roma
Nome: Maurizio Gigli
Andricus ha scritto:
Complimenti! Bellissima specie :p
Credi che si possa trovare nelle zone di Viterbo? C'è una faggeta a 1024m e mi capita di andarci spesso a caccia di Scolopendre, quindi potrei approfittarne per prendere un po' di terriccio da vagliare in cerca di questa specie.

Dubito che nel viterbese tu possa trovare questa specie. Come puoi vedere anche dalla cartina nel pdf, le specie di questo genere hanno una distribuzione molto limitata, in certi casi comprendente un solo gruppo montuoso. E' molto più probabile che tu possa trovare la T. usslaubi, che mi sembra sia quella più diffusa, o forse la T. damone, o magari, con molta fortuna, una specie ancora non descritta.

_________________
Maurizio Gigli
http://utenti.romascuola.net/bups
http://bup.xoom.it/


Top
profilo
MessaggioInviato: 15/03/2011, 8:54 
Avatar utente

Iscritto il: 05/02/2009, 17:25
Messaggi: 4894
Località: Zola Predosa (BO)
Nome: Loris Colacurcio
Altra splendida bestiola....devo riuscire a trovare anche io uno di questi "carabidi da setaccio"; ho già in mente un paio di posti qui sull'Appennino bolognese, basta aspettare il disgelo primaverile, poi vedremo se c'è qualche cosa :lol1:


Typhloreicheia a parte caro Andricus, vaglia pure (ed in ogni dove); nella peggiore delle ipotesi troverai senza dubbio pselafidi e scydmenidi.....e di sicuro a qualcuno interesseranno :p !!!

:hi:

_________________
Loris


Top
profilo
MessaggioInviato: 15/03/2011, 10:46 
Avatar utente

Iscritto il: 05/02/2009, 17:31
Messaggi: 9527
Località: milano
Nome: maurizio pavesi
Loriscola ha scritto:
... nella peggiore delle ipotesi troverai senza dubbio pselafidi e scydmenidi.....e di sicuro a qualcuno interesseranno :p !!!

buono a sapersi ;) ...

_________________
*****************
Immagine maurizio


Top
profilo
MessaggioInviato: 15/03/2011, 13:17 
Avatar utente

Iscritto il: 05/02/2009, 17:47
Messaggi: 7252
Località: Cagliari
Nome: Piero Leo
Complimenti a tutti!
:birra:
Notevole la forma dell'edeago e delle strutture interne.

:) Ciao
Piero


Top
profilo
MessaggioInviato: 15/03/2011, 16:20 
Avatar utente

Iscritto il: 18/06/2009, 16:54
Messaggi: 1093
Località: Casalecchio di Reno (BO)
Nome: Iuri Zappi
Complimentoni agli autori!!!
:birra: :birra: :birra: :birra: :birra:
Un premio più che meritato viste le immense fatiche di questo gruppo di scavatori e super movimentatori di pietroni.
:lol: :lol:

_________________
:hi: :hi: :hi:
Iuri


Top
profilo
MessaggioInviato: 15/03/2011, 16:33 
Avatar utente

Iscritto il: 21/05/2009, 14:59
Messaggi: 6994
Località: Parigi
Nome: Riccardo Poloni
Complimenti davvero sinceri :hp: :hp: :birra: :birra: :lov1: :lov1: :lov2: :lov2: . Un esempio per tutti. Io proporrei di fare una colletta nel forum e di regalare ai quattro della Tiphloreicheia un'escavatore di quelli piccolini che vanno che è una maraviglia :lol: :lol: :lol1: :lol1: :mrgreen: :mrgreen: :gh: :gh:

_________________
Riccardo Poloni
La dignità degli elementi
la libertà della poesia,
al di là dei tradimenti degli uomini
è magia, è magia, è magia...
Negrita, Rotolando verso sud


Top
profilo
MessaggioInviato: 15/03/2011, 22:05 
Avatar utente

Iscritto il: 10/05/2010, 22:31
Messaggi: 4371
Località: Gavorrano (GR)
Nome: marco bastianini
[quote="Plagionotus"]Io proporrei di fare una colletta nel forum
Caro Riccardo
iniziativa lodevole e benemerita;su come eventualmente spendere la cifra realizzata io avrei pensato ad un finanziamento per la mia gita in Sardegna dell'anno prossimo( ovviamente poi io sarei ben lieto di dividere parte delle catture con gli iscritti al forum) :mrgreen: :mrgreen: :mrgreen:

_________________
:to: Marco
"Le foreste a precedere le civiltà, i deserti a seguire."
François-René de Chateaubriand


Top
profilo
MessaggioInviato: 15/03/2011, 23:09 
Avatar utente

Iscritto il: 23/06/2010, 11:11
Messaggi: 2784
Località: Cagliari
Nome: Gianpaolo Ruzzante
Grazie per questa nuova specie
:birra: :birra: :birra: :birra:


Top
profilo
MessaggioInviato: 15/03/2011, 23:17 
Avatar utente

Iscritto il: 01/07/2010, 22:26
Messaggi: 5650
Località: Viterbo
Nome: Marco Selis
Ok, proverò a vagliare vari ambienti. Magari ho una botta di C..O e scopro una nuova specie(mi piace sognare :gh: ).


Top
profilo
Visualizza ultimi messaggi:  Ordina per  
nuovo argomento
rispondi
Vai alla pagina 1, 2  Prossimo
Pagina 1 di 2 [ 16 messaggi ]

Tutti gli orari sono UTC + 1 ora [ ora legale ]


Chi c’è in linea

Visitano il forum: Nessuno e 5 ospiti


Non puoi aprire nuovi argomenti
Non puoi rispondere negli argomenti
Non puoi modificare i tuoi messaggi
Non puoi cancellare i tuoi messaggi
Non puoi inviare allegati

Cerca per:
Vai a: