Benvenuto Ospite

Forum Entomologi Italiani

www.entomologiitaliani.net/forum
 
Oggi è 06/02/2026, 10:01

Tutti gli orari sono UTC + 1 ora [ ora legale ]

La prima vagliata della stagione



nuovo argomento
rispondi
Vai alla pagina 1, 2  Prossimo
Pagina 1 di 2 [ 22 messaggi ]
Autore Messaggio
 Oggetto del messaggio: La prima vagliata della stagione
MessaggioInviato: 28/03/2011, 11:08 
Avatar utente

Iscritto il: 06/02/2009, 9:03
Messaggi: 6378
Località: Bubano di Mordano (Bologna)
Nome: Augusto Degiovanni
Dopo la fantastica cacciata di Sabato 26 con Maurizio (Gomphus), e vista la buona vena, più le condizioni ottimali, il giorno dopo, mi ero riproposto di andare a vagliare in cerca della Typhloreicheia mingazzinii, in una località in terra Toscana per pochissimi km, che avevo scoperto diversi anni fa.

La località è il Colle di Canda (FI) 850m.

Il Monte di Canda da dove prende l' omonimo nome il Passo.
tn_0.JPG



Con mia sorpresa ho trovato ancora chiazze di neve nei posti più esposti a Nord, oltre ad essercene anche lungo la strada.

Il luogo di ritrovamento
tn_00.JPG



Il buchetto che ho fatto
tn_000.JPG



Queste condizioni mi hanno portato a catturare 6 esemplari di Typhloreicheia mingazzinii e anche con mia enorme sorpresa perchè inaspettata 2 esemplari di un Duvalius :shock: :shock: che da subito avevo supposto fosse un Duvalius bianchi cycnus, presente in alcune grotte della zona distanti 4-5 km da questi reperti.

Typhloreicheia mingazzinii in natura 1
tn_2.JPG



Typhloreicheia mingazzinii in natura 2
tn_3.JPG



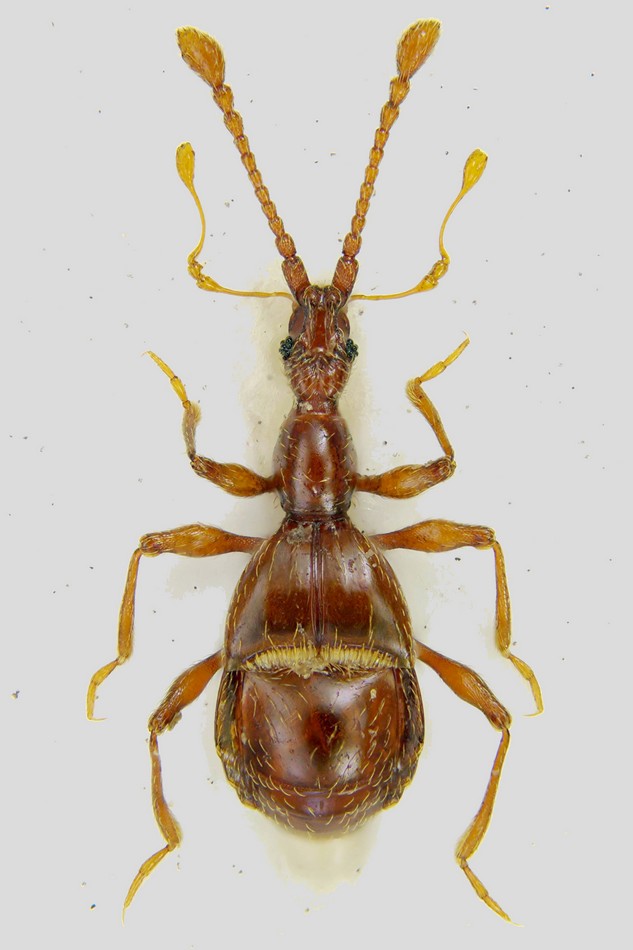
Giunto a casa invece ho appurato che i 2 esemplari un maschio e una femmina appartengono alla specie Duvalius jureceki maginianus (indubbiamente molto meglio :hp: :hp: ) per cui sarebbe la seconda stazione di ritrovamento in ambiente endogeo della specie, la prima resta il Passo Sambuca (FI) che dista 20km in linea d'aria ma più a Est.

Duvalius jureceki maginianus in natura
tn_1.JPG



Oltre alle succitate specie ho catturato anche vari esemplari di Anillus florentinus, una decina di esemplari tra Scydmaenidae e Pselafidae, per circa 6 specie.

Per cui anche oggi non posso dire che mi sia andata male :mrgreen: :mrgreen: ;) ;) .

A giorni posterò le specie su cartellino.

Scusate per le foto in natura per nulla belle, ma quando si trovano queste bestie di tempo per la messa a fuoco ce n'è veramente poco :gh: :gh:

_________________
CIAO :hi: Augusto Degiovanni

http://anthicidaeecarabidae.altervista.org


Top
profilo
 Oggetto del messaggio: Re: La prima vagliata della stagione
MessaggioInviato: 28/03/2011, 11:22 
Avatar utente

Iscritto il: 05/02/2009, 17:25
Messaggi: 4894
Località: Zola Predosa (BO)
Nome: Loris Colacurcio
:shock: spettacolari !!
Grazie mille anche per le foto dell'ambinete, utilissime per cercare di capire (ai profani come il sottoscritto) cosa devo cercare. In effetti se anche il sottobosco è simile, il terreno sottostante è tutt'altra cosa.....

Complimenti anche per queste catture. Dai, fai le foto anche a uno o due pselafidi :oops: :lov3:

Una domanda, poi non ti tedio più: non hai fatto solo quel buchetto, vero ? Quanto terreno ti sei portato dietro ...e da quale profondità hai cominciato a conservarlo ?

Grazie in anticipo e scusa ancora per la mia strabordante curiosità... :oops:

_________________
Loris


Top
profilo
 Oggetto del messaggio: Re: La prima vagliata della stagione
MessaggioInviato: 28/03/2011, 11:41 
Avatar utente

Iscritto il: 06/02/2009, 9:03
Messaggi: 6378
Località: Bubano di Mordano (Bologna)
Nome: Augusto Degiovanni
Loris di solito aspetto un paio di giorni per stendere il materiale, non so perchè ma si prepara molto ma molto meglio, quindi domani mattina li stendo e li fotografo.

Non sono 2 specie gli Pselafidi, ma almeno 4 ;)

Il buchetto che vedi in pratica rende l'idea della profondità in cui sono stati rinvenuti gli esemplari di Duvalius, l'ho voluto fotografare perchè non mi è mai capitato di trovarli così superficialmente, sicuramente complice la neve sciolta nei giorni precedenti rendendo il terreno abbastanza zuppo d'acqua.
Non ho insistito ad approfondire il buco primo, perchè come detto sopra pensavo fossero Duv. bianchi cycnus, per cui non mi interessavano molto, anzi per nulla, secondo, complice il terreno bagnato non si prestava alla vagliatura.

Di terreno ne ho prelevato poco 3 sacchetti da Cagnotti (bigattini), noi usiamo quelli per contenere la vagliatura, sono robusti non esce nulla e sono praticissimi, per cui a buon intenditor....

Questa volta complice il terreno molto bagnato ho dovuto ripiegare su zone un po più elevate (solitamente vaglio come vedi nei pianetti), e sotto a grossi massi prelevando terra fino a circa 15-20 cm.

_________________
CIAO :hi: Augusto Degiovanni

http://anthicidaeecarabidae.altervista.org


Top
profilo
 Oggetto del messaggio: Re: La prima vagliata della stagione
MessaggioInviato: 28/03/2011, 11:52 
Avatar utente

Iscritto il: 25/11/2009, 9:31
Messaggi: 8157
Località: Lecce
Nome: Maurizio Bollino
Notoxus59 ha scritto:
aspetto un paio di giorni per stendere il materiale, non so perchè ma si prepara molto ma molto meglio


Suppongo sia così perchè passa la fase del rigor mortis.

_________________
Maurizio Bollino


Top
profilo
 Oggetto del messaggio: Re: La prima vagliata della stagione
MessaggioInviato: 28/03/2011, 11:59 
Avatar utente

Iscritto il: 06/02/2009, 9:03
Messaggi: 6378
Località: Bubano di Mordano (Bologna)
Nome: Augusto Degiovanni
Maurizio Bollino ha scritto:
Notoxus59 ha scritto:
aspetto un paio di giorni per stendere il materiale, non so perchè ma si prepara molto ma molto meglio


Suppongo sia così perchè passa la fase del rigor mortis.


Potrebbe essere :ok:

_________________
CIAO :hi: Augusto Degiovanni

http://anthicidaeecarabidae.altervista.org


Top
profilo
 Oggetto del messaggio: Re: La prima vagliata della stagione
MessaggioInviato: 28/03/2011, 12:13 
Avatar utente

Iscritto il: 05/02/2009, 17:25
Messaggi: 4894
Località: Zola Predosa (BO)
Nome: Loris Colacurcio
Grazie mille per le spiegazioni.
Di terreno ne hai preso davvero poco :o dipenderà dall'occhio ;) .

Solo per fare un esempio io sabato ho prelevato 4 sporte della coop piene, non meno di 30-35 kg ti terreno da lavare :dead: ...e tutto per una 40ina di Anillus una Ferreira ed un paio di Bryaxis. Avevo raccolto anche un carabide più grandino (scuro...forse uno Stomis), ma l'ho tagliato a mezzo con la pala :cry:

Proverò a rivedere i miei metodi :ok:
:hi:

_________________
Loris


Top
profilo
 Oggetto del messaggio: Re: La prima vagliata della stagione
MessaggioInviato: 28/03/2011, 14:16 
Avatar utente

Iscritto il: 19/09/2009, 22:25
Messaggi: 5912
Località: Brescia
Nome: Vinicio Salami
Notoxus59 ha scritto:
...Per cui anche oggi non posso dire che mi sia andata male :mrgreen: :mrgreen: ;) ;)...


quello che hai scritto non è del tutto corretto...dovevi specificare "come al solito"... :gh: :gh:
dovresti deciderti ad iniziare a giocare a carte... :to: :to:


Top
profilo
 Oggetto del messaggio: Re: La prima vagliata della stagione
MessaggioInviato: 28/03/2011, 15:24 
Avatar utente

Iscritto il: 06/02/2009, 9:03
Messaggi: 6378
Località: Bubano di Mordano (Bologna)
Nome: Augusto Degiovanni
Cita:
Solo per fare un esempio io sabato ho prelevato 4 sporte della coop piene, non meno di 30-35 kg ti terreno da lavare


Heeeeeeee, in macchina con me non vieni se ti porti così tanta roba :gh: :gh: :gh:

Pensa se tu dovessi venire con noi quando andiamo in Sardegna o in Sicilia, una macchina solo per te non basterebbe :gh: :gh: :gh:

P.S. Ma tu, usi i vagli Ceki :roll:


Cita:
dovresti deciderti ad iniziare a giocare a carte...


Vinicio, pensa te che ho smesso perchè c'è solo da incazzarsi :lol: :lol: :lol: .

_________________
CIAO :hi: Augusto Degiovanni

http://anthicidaeecarabidae.altervista.org


Top
profilo
 Oggetto del messaggio: Re: La prima vagliata della stagione
MessaggioInviato: 28/03/2011, 15:31 
Avatar utente

Iscritto il: 05/02/2009, 17:25
Messaggi: 4894
Località: Zola Predosa (BO)
Nome: Loris Colacurcio
Te l'ho detto che devo fare l'occhio anche io ....poi mi basterà un cucchiaino di terra.... come capita a te :mrgreen:

:hi:

_________________
Loris


Top
profilo
 Oggetto del messaggio: Re: La prima vagliata della stagione
MessaggioInviato: 28/03/2011, 20:22 
Avatar utente

Iscritto il: 19/09/2009, 22:25
Messaggi: 5912
Località: Brescia
Nome: Vinicio Salami
Notoxus59 ha scritto:
...Vinicio, pensa te che ho smesso perchè c'è solo da incazzarsi :lol: :lol: :lol: .


io invece sarei pronto ad assumerti in pianta stabile...avresti pot-odds del 99%...solo Gastone (Walt Disney) ci arriva.

:gh: :gh: :gh:


Top
profilo
 Oggetto del messaggio: Re: La prima vagliata della stagione
MessaggioInviato: 28/03/2011, 22:22 
Avatar utente

Iscritto il: 05/02/2009, 17:31
Messaggi: 9527
Località: milano
Nome: maurizio pavesi
ciao loris
Loriscola ha scritto:
...e tutto per una 40ina di Anillus ...

:) :) :)
Loriscola ha scritto:
... Avevo raccolto anche un carabide più grandino (scuro...forse uno Stomis), ma l'ho tagliato a mezzo con la pala :cry: ...

:cry: :cry: :cry:

_________________
*****************
Immagine maurizio


Top
profilo
 Oggetto del messaggio: Re: La prima vagliata della stagione
MessaggioInviato: 29/03/2011, 13:13 
Avatar utente

Iscritto il: 06/02/2009, 9:03
Messaggi: 6378
Località: Bubano di Mordano (Bologna)
Nome: Augusto Degiovanni
Ecco le immagini.

Lunghezza: 9,5mm

Vulda o Lathrobium ?
tn_Stafilinidae.jpg



Lunghezza: 1,87mm

Scidmaenidae
tn_Schidmaenidae.jpg



Lunghezza: 1,05mm

Pselafidae 1
tn_Pselafidae 1.jpg



Lunghezza: 1,6mm

Pselafidae 2
tn_Pselafidae 2.jpg



Lunghezza: 1,38mm

Pselafidae 3 lunghe setole
tn_Pselafidae 3pg.jpg



Lunghezza: 1,32mm

Pselafidae 4
tn_Pselafidae 4pg.jpg



manca ancora uno pselafidae che è caduto questa mattina, aveva perso il treno :gh: :gh:

_________________
CIAO :hi: Augusto Degiovanni

http://anthicidaeecarabidae.altervista.org


Top
profilo
 Oggetto del messaggio: Re: La prima vagliata della stagione
MessaggioInviato: 29/03/2011, 13:45 
Avatar utente

Iscritto il: 05/02/2009, 17:25
Messaggi: 4894
Località: Zola Predosa (BO)
Nome: Loris Colacurcio
Wow, che ricco carniere !! :p
Parlo per primo così posso compromettermi ben benino....aspettiamo poi le mazzate dei veri esperti :oops:

Il primo scommetterei per Vulda i Lathrobium me li ricordavo "meno specializzati"
Il secondo è del genere Euconnus
Il terzo è un Bythinus (credo), forse il reichenbachi
Il quarto dovrebbe essere uno Pselahus heisei parvus (per sicurezza è meglio guardargli la testa di lato)
Il quinto ed il sesto dovrebbero invece apartenere algenere Tychus o qualcosa lì vicino.

Comunque sia, bravo !!

_________________
Loris


Top
profilo
 Oggetto del messaggio: Re: La prima vagliata della stagione
MessaggioInviato: 29/03/2011, 14:15 
Amministratore
Avatar utente

Iscritto il: 02/02/2009, 23:30
Messaggi: 7105
Località: Capaci (Pa)
Nome: Marcello Romano
Ciao Augusto :)
Bellissime foto e splendidi soggetti :ok:
Vale proprio la pena che tu li riproponga, uno ad uno, nella sezione sistematica, per tentarne una determinazione più accurata ;)

_________________
:hi: Marcello Romano


Top
profilo
 Oggetto del messaggio: Re: La prima vagliata della stagione
MessaggioInviato: 29/03/2011, 14:19 
Avatar utente

Iscritto il: 06/02/2009, 9:03
Messaggi: 6378
Località: Bubano di Mordano (Bologna)
Nome: Augusto Degiovanni
Ok Marcello provvedo subito :ok:

Grazie :ok: :ok:

_________________
CIAO :hi: Augusto Degiovanni

http://anthicidaeecarabidae.altervista.org


Top
profilo
Visualizza ultimi messaggi:  Ordina per  
nuovo argomento
rispondi
Vai alla pagina 1, 2  Prossimo
Pagina 1 di 2 [ 22 messaggi ]

Tutti gli orari sono UTC + 1 ora [ ora legale ]


Chi c’è in linea

Visitano il forum: Nessuno e 0 ospiti


Non puoi aprire nuovi argomenti
Non puoi rispondere negli argomenti
Non puoi modificare i tuoi messaggi
Non puoi cancellare i tuoi messaggi
Non puoi inviare allegati

Cerca per:
Vai a: