|
Tutti gli orari sono UTC + 1 ora [ ora legale ] |

|
| Autore | Messaggio | ||
|---|---|---|---|
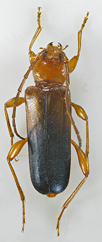
| ilio |
|
||
|
Iscritto il: 02/02/2011, 11:51 Messaggi: 275 Località: Magione (PG) Nome: ilio rocchi |
|
||
| Top |
|
||
| Plagionotus |
|
||
|
Iscritto il: 21/05/2009, 14:59 Messaggi: 6995 Località: Parigi Nome: Riccardo Poloni |
|
||
| Top |
|
||
| ilio |
|
||
|
Iscritto il: 02/02/2011, 11:51 Messaggi: 275 Località: Magione (PG) Nome: ilio rocchi |
|
||
| Top |
|
||
|
Tutti gli orari sono UTC + 1 ora [ ora legale ] |
Chi c’è in linea |
Visitano il forum: Nessuno e 7 ospiti |
Non puoi aprire nuovi argomenti Non puoi rispondere negli argomenti Non puoi modificare i tuoi messaggi Non puoi cancellare i tuoi messaggi Non puoi inviare allegati |