Benvenuto Ospite

Forum Entomologi Italiani

www.entomologiitaliani.net/forum
 
Oggi è 30/03/2026, 15:04

Tutti gli orari sono UTC + 1 ora [ ora legale ]

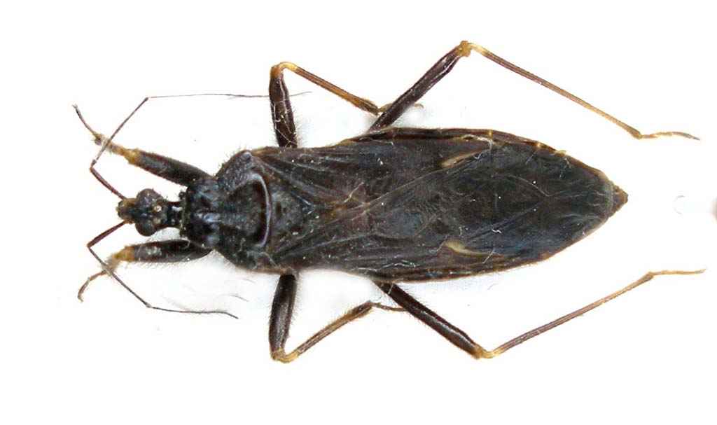
Reduvius personatus (Linnaeus 1758) - Reduviidae Reduviinae

21.VII.2010 - ITALIA - Basilicata - PZ, Terranova del Pollino, loc. Casa del Conte


nuovo argomento
rispondi
Pagina 1 di 1 [ 7 messaggi ]
Autore Messaggio
MessaggioInviato: 21/06/2011, 11:31 
Avatar utente

Iscritto il: 05/09/2009, 7:56
Messaggi: 3445
Località: Cesena
Nome: Gianfranco Sama
Basilicata (PZ): Terranova del Pollino, loc. Casa del Conte, 1080 m,
21.VII.2010, leg. G. Magnani
Lunghezza 18 mm
E' possibile arrivare alla determinazione ?
Reduvvidae_Basilicata_Gianluca 005.jpg


_________________
Gianfranco Sama

"Benedetto colui che ti aiuta a correggere i tuoi errori invece di scagliarteli contro"
___________________________________
Gershom Sholem


Top
profilo
MessaggioInviato: 21/06/2011, 11:49 
Amministratore
Avatar utente

Iscritto il: 06/02/2009, 9:16
Messaggi: 6919
Località: Portici (Napoli)
Nome: Claudio Labriola
Ciao Gianfranco,
si tratta di Reduvius personatus (Linnaeus, 1758) - Reduviidae Reduviinae :)

_________________
Immagine Claudio Labriola
Buona Vita!!!!


Top
profilo
MessaggioInviato: 21/06/2011, 11:53 
Avatar utente

Iscritto il: 17/02/2009, 0:05
Messaggi: 8524
Località: Isola d'Elba - Arcipelago Toscano
Nome: Leonardo Forbicioni
Sembrerebbe Reduvius personatus (Linnaeus, 1758)....con beneficio d'inventario! ;)

_________________
"Stay hungry, stay foolish".
Steve Jobs, 2005
___________________
jjuniper8(at)gmail.com
Twitter: @weevil_forbix
cell. 339/5275910
___________________


Top
profilo
MessaggioInviato: 21/06/2011, 12:07 
Avatar utente

Iscritto il: 17/02/2009, 0:05
Messaggi: 8524
Località: Isola d'Elba - Arcipelago Toscano
Nome: Leonardo Forbicioni
Anticipato! :oooner:
In questo periodo vado un po' a rilento...... :lol: :lol:
Comunque, revocherei anche il beneficio d'inventario che ho espresso, visto che, a quanto leggo, le altre specie (che tra l'altro non ho mai visto) : minutus, pallipes, tabidus, villosus?, dovrebbero stare solo in Sicilia. :hi: :hi:

_________________
"Stay hungry, stay foolish".
Steve Jobs, 2005
___________________
jjuniper8(at)gmail.com
Twitter: @weevil_forbix
cell. 339/5275910
___________________


Top
profilo
MessaggioInviato: 21/06/2011, 12:50 
Avatar utente

Iscritto il: 05/09/2009, 7:56
Messaggi: 3445
Località: Cesena
Nome: Gianfranco Sama
Grazie ad entrambi, anche a nome del raccoglitore :ok:

_________________
Gianfranco Sama

"Benedetto colui che ti aiuta a correggere i tuoi errori invece di scagliarteli contro"
___________________________________
Gershom Sholem


Top
profilo
MessaggioInviato: 21/06/2011, 13:03 
Avatar utente

Iscritto il: 08/07/2010, 10:53
Messaggi: 3171
Località: Matera
Nome: Domenico Cardinale
Mooooooolto familiare come luogo!!!! :D :D :D :D Ci sono stato 2 volte l'hanno scorso a Casa del Conte (Terranova del Pollino) e ci andrò questo Sabato! L'hai raccolto tu Gianfranco?

_________________
Saluti :hi: Mimmo


Top
profilo
MessaggioInviato: 21/06/2011, 13:07 
Amministratore
Avatar utente

Iscritto il: 06/02/2009, 9:16
Messaggi: 6919
Località: Portici (Napoli)
Nome: Claudio Labriola
Ciao Mimmo,

Mimmo011 ha scritto:
... L'hai raccolto tu Gianfranco?


Isotomus ha scritto:
... , leg. G. Magnani ...


:hi:

_________________
Immagine Claudio Labriola
Buona Vita!!!!


Top
profilo
Visualizza ultimi messaggi:  Ordina per  
nuovo argomento
rispondi
Pagina 1 di 1 [ 7 messaggi ]

Tutti gli orari sono UTC + 1 ora [ ora legale ]


Chi c’è in linea

Visitano il forum: Nessuno e 1 ospite


Non puoi aprire nuovi argomenti
Non puoi rispondere negli argomenti
Non puoi modificare i tuoi messaggi
Non puoi cancellare i tuoi messaggi
Non puoi inviare allegati

Cerca per:
Vai a: