Benvenuto Ospite

Forum Entomologi Italiani

www.entomologiitaliani.net/forum
 
Oggi è 24/05/2026, 20:06

Tutti gli orari sono UTC + 1 ora [ ora legale ]

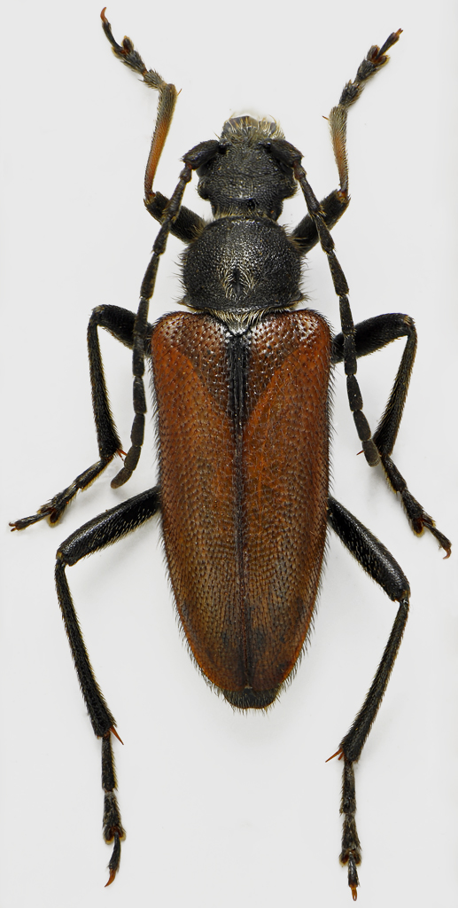
Cortodera steineri Sama, 1997 - Cerambycidae - Grecia

6.VI.2011 - GRECIA - EE, Mt. Parnassos – Lüka Plateau - m. 1050


nuovo argomento
rispondi
Pagina 1 di 1 [ 13 messaggi ]
Autore Messaggio
MessaggioInviato: 14/08/2011, 22:36 
Avatar utente

Iscritto il: 25/11/2009, 9:31
Messaggi: 8159
Località: Lecce
Nome: Maurizio Bollino
Raccolti alcuni esemplari su Centaurea.

Dimensioni: 11 mm
Cortodera-Luka-Plateau.jpg


_________________
Maurizio Bollino


Top
profilo
MessaggioInviato: 14/08/2011, 23:19 
Avatar utente

Iscritto il: 16/05/2010, 14:26
Messaggi: 761
Località: United Kingdom
Nome: Zdenko Lucbauer
finaly my friend ! :ok: Anyway, Pierpaolo has got them from me, so juts wait for his reply.
:hi:


Top
profilo
MessaggioInviato: 14/08/2011, 23:22 
Avatar utente

Iscritto il: 25/11/2009, 9:31
Messaggi: 8159
Località: Lecce
Nome: Maurizio Bollino
zdeno ha scritto:
finaly my friend ! :ok: Anyway, Pierpaolo has got them from me, so juts wait for his reply.
:hi:

And I will wait for his opinion .......

:hi: :hi: :hi:

_________________
Maurizio Bollino


Top
profilo
MessaggioInviato: 15/08/2011, 11:48 
Avatar utente

Iscritto il: 25/11/2009, 9:31
Messaggi: 8159
Località: Lecce
Nome: Maurizio Bollino
Visto che Gianfranco circola sul Forum, spero che mi possa illuminare su questo.

_________________
Maurizio Bollino


Top
profilo
MessaggioInviato: 15/08/2011, 12:36 
Avatar utente

Iscritto il: 05/09/2009, 7:56
Messaggi: 3445
Località: Cesena
Nome: Gianfranco Sama
Ciao Maurizio, ma visto che Pierpaolo è stato interessato volevo lasciare a lui la parola, dopo avere esaminato gli esemplari.
Comunque mi sa tanto di Cortodera steineri. Ci sono anche esemplari neri ?

_________________
Gianfranco Sama

"Benedetto colui che ti aiuta a correggere i tuoi errori invece di scagliarteli contro"
___________________________________
Gershom Sholem


Top
profilo
MessaggioInviato: 15/08/2011, 12:55 
Avatar utente

Iscritto il: 16/05/2010, 14:26
Messaggi: 761
Località: United Kingdom
Nome: Zdenko Lucbauer
Isotomus ha scritto:
Ci sono anche esemplari neri ?



sì Gianfranco. Males and females as well.


Top
profilo
MessaggioInviato: 17/08/2011, 14:43 
 

Iscritto il: 13/09/2009, 18:04
Messaggi: 882
Nome: Pierpaolo Rapuzzi
Scusate il ritardo....
confermo Cortodera steineri Sama, 1997 come gli esemplari che mi ha inviato Zdeno
Pierpaolo


Top
profilo
MessaggioInviato: 17/08/2011, 15:11 
Avatar utente

Iscritto il: 25/11/2009, 9:31
Messaggi: 8159
Località: Lecce
Nome: Maurizio Bollino
Grazie Pierpaolo.

:hi: :hi:

_________________
Maurizio Bollino


Top
profilo
MessaggioInviato: 17/08/2011, 15:59 
Avatar utente

Iscritto il: 16/05/2010, 14:26
Messaggi: 761
Località: United Kingdom
Nome: Zdenko Lucbauer
Interesting Pierpaolo ! What about those black specimens ? I havent seen black steineri from Peloponnese. Is that any local form ? Here were collected in ratio 50-50%.

Thanks for confirmation, Mr. Xylosteus !

:hi:


Top
profilo
MessaggioInviato: 17/08/2011, 16:58 
 

Iscritto il: 13/09/2009, 18:04
Messaggi: 882
Nome: Pierpaolo Rapuzzi
Hi Zdeno,
according the black specimens that you collected in continental Greece in my opinion they belong to steineri. The color of the different population can be different, for example we (Gianfranco and me) collected many specimens of Cortodera cfr umbripennis in eastern Turkey in different places and in different years. In some places we found only black specimens, in other places black and yellow together and so on. It is impossible that they are different animals but it is sure that they show local forms in quite any place.
Ciao
Pierpaolo


Top
profilo
MessaggioInviato: 17/08/2011, 17:33 
Avatar utente

Iscritto il: 05/09/2009, 7:56
Messaggi: 3445
Località: Cesena
Nome: Gianfranco Sama
Hi Zdeno,
I can confirm that the type series of C. steineri contains both reddish and black specimens. These dimorphic phenotypes are very common in Cortodera: you can find black and reddish specimens (often in the same locality and on the same flowers) in many species: C. discolor Fairmaire (whose reddish form was described under the name C. discolorVar. b - elytris obscure rufis” and later named by Pic C. discolor var. differens J'ai donné le nom differens aux individus à élytres d'un rouge acajou, indiqués brièvement par Fairmaire et qui ne me paraissent pas différer specifiquement de la race representant la forme type), or also in C. kochi Pic, 1935, C. cirsii Holzschuh, 1975, C. umbripennis, Reitter, 1890, C. colchica, Reitter 1890, ecc.
I also have specimens of C. steineri from continental Greece: Konitza: Tymphi, Drakolimni (unpublished data). Furthermore, the occurrence of closely related species in NE Greece have recently been showed in our Forum by our friend Cosmin Manci, published from Romania (under the wrong name C. differens Pic) by Magda Dascalu, and mentioned from Bulgaria by M. Rejzek. All these populations need verification.

_________________
Gianfranco Sama

"Benedetto colui che ti aiuta a correggere i tuoi errori invece di scagliarteli contro"
___________________________________
Gershom Sholem


Top
profilo
MessaggioInviato: 17/08/2011, 18:09 
Avatar utente

Iscritto il: 16/05/2010, 14:26
Messaggi: 761
Località: United Kingdom
Nome: Zdenko Lucbauer
ooohhhh I didnt know that ! Thanks for the explanation, gentlemans !!!

Gianfranco, I have carefully translated that discusion about discolor/differens/steineri. I`m more or less clear on that. I just never heard about black steineri.

Ok, once again, thanks ! 1 more labelled species from this year trips :lov1: :birra: :ok:

:hi:


Top
profilo
MessaggioInviato: 01/04/2012, 10:43 
Avatar utente

Iscritto il: 28/07/2010, 11:11
Messaggi: 236
Località: Poland
Nome: Jacek Kurzawa
Hi,

I enclose some species of Cortodera with black and yellow coloured elytra.

First C.steineri Sama, 1997 (Greece)
Cortodera steineri.jpg


C.cirsii Holzschuh, 1975 (TR, Hasanbeyli) 1:1
Cortodera cirsii.jpg


Cortodera syriaca Pic (TR, Nemrut Dagi) - black specimens are rare, ca. 1:6
Cortodera syriaca.jpg


Cortodera omophloides Holzschuh, 1975 (TR, Aydinlar) - black form is very rare ca 1:100
Cortodera omophloides.jpg



Top
profilo
Visualizza ultimi messaggi:  Ordina per  
nuovo argomento
rispondi
Pagina 1 di 1 [ 13 messaggi ]

Tutti gli orari sono UTC + 1 ora [ ora legale ]


Chi c’è in linea

Visitano il forum: Nessuno e 3 ospiti


Non puoi aprire nuovi argomenti
Non puoi rispondere negli argomenti
Non puoi modificare i tuoi messaggi
Non puoi cancellare i tuoi messaggi
Non puoi inviare allegati

Cerca per:
Vai a: