Benvenuto Ospite

Forum Entomologi Italiani

www.entomologiitaliani.net/forum
 
Oggi è 23/05/2026, 23:51

Tutti gli orari sono UTC + 1 ora [ ora legale ]

Scolopostethus pictus (Schilling, 1829)



nuovo argomento
rispondi
Pagina 1 di 1 [ 6 messaggi ]
Autore Messaggio
MessaggioInviato: 18/10/2009, 21:32 
Avatar utente

Iscritto il: 05/02/2009, 17:25
Messaggi: 4894
Località: Zola Predosa (BO)
Nome: Loris Colacurcio
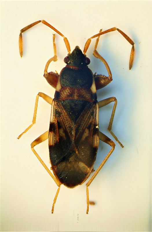
Dopo che Ranatra mi ha gentilmente spiegato cosa sono, ho voluto provare anche io la trappola-fascia.
Ho quindi fasciato alcuni alberi e ieri ho fatto i primi controlli, lasciando in loco le trappole (visto che erano praticamente vuote). Comunque ho preso i miei primi tre heterotteri.

Questo, viste le precedenti determinazioni, azzardo dicendo che si tratta di un Scolopostethus: solo che ha le antenne colorate diversamente dall'affinis ed il pronoto difforme dal pictus.....altre due specie della zona.

Sasso Marconi (BO) Palazzo Rossi ottobre 2009
trappola a fascia su Ailanto

Heterottero nuovo 1.JPG


_________________
Loris


Top
profilo
 Oggetto del messaggio: Re: Heterottero Ailanto
MessaggioInviato: 18/10/2009, 21:38 
Avatar utente

Iscritto il: 02/02/2009, 23:32
Messaggi: 5645
Località: da Ferrara ad Alghero
Nome: Roberto A. Pantaleoni
Scusa Loris ma la scelta dell'ailanto l'hai fatta per un motivo speciale o per "masochismo" entomologico :D ? Se volevi studiarne la biocenosi hai fatto naturalmente benissimo, ma se cercavi semplicemente insetti direi che un palo della luce dovrebbe portare agli stessi risultati :gh: .

Ciao Roberto :to:

_________________
verum stabile cetera fumus


Top
profilo
 Oggetto del messaggio: Re: Heterottero Ailanto
MessaggioInviato: 18/10/2009, 21:42 
Avatar utente

Iscritto il: 05/02/2009, 17:25
Messaggi: 4894
Località: Zola Predosa (BO)
Nome: Loris Colacurcio
L'ho fatto proprio con caparbia sfrontatezza.....se c'è un albero avaro di abitanti, quello è proprio l'ailanto !!
Oltre ad essere puzzolente, alieno, infestante e con una spropositata velocità di crescita....un mostro insomma.

Volevo e voglio vedere se ha qualche inquilino fisso, oltre alla cicaletta americana.

Saluti, Loris

_________________
Loris


Top
profilo
 Oggetto del messaggio: Re: Heterottero Ailanto
MessaggioInviato: 18/10/2009, 21:55 
Avatar utente

Iscritto il: 06/02/2009, 9:07
Messaggi: 1706
Località: W-Mediterraneo
Nome: Davide Badano
Bè ci sarebbe la larva della Samia cynthia (il motivo per cui l'Ailanto è stato introdotto in Europa :devil: ) ma è rara...


Top
profilo
 Oggetto del messaggio: Re: Heterottero Ailanto
MessaggioInviato: 18/10/2009, 22:01 
Avatar utente

Iscritto il: 06/02/2009, 8:59
Messaggi: 305
Località: Sassari
Nome: Laura Loru
Loriscola ha scritto:
Dopo che Ranatra mi ha gentilmente spiegato cosa sono, ho voluto provare anche io la trappola-fascia.
. Comunque ho preso i miei primi tre heterotteri.


Ciao Loris, prendere proprio eterotteri dopo che la spiegazione te l'ho data io mi sembrava il minimo :lol: :lol: :lol:
Piuttosto, anche io direi che si tratta di uno Scolopostethus, ci assomiglia tanto, sempre che misuri attorno ai 4 mm.....
Visto i miei recenti trascorsi con questo genere non oso andare oltre :? :? :? :? :? :? :? e resto con te in attesa di Chi sà!

Laura


Top
profilo
 Oggetto del messaggio: Re: Heterottero Ailanto
MessaggioInviato: 19/10/2009, 0:30 
Avatar utente

Iscritto il: 05/02/2009, 17:36
Messaggi: 781
Nome: Attilio Carapezza
Scolopostethus pictus (Schilling, 1829); ovviamente, la sua presenza sull'ailanto è assolutamente casuale.


Top
profilo
Visualizza ultimi messaggi:  Ordina per  
nuovo argomento
rispondi
Pagina 1 di 1 [ 6 messaggi ]

Tutti gli orari sono UTC + 1 ora [ ora legale ]


Chi c’è in linea

Visitano il forum: Nessuno e 1 ospite


Non puoi aprire nuovi argomenti
Non puoi rispondere negli argomenti
Non puoi modificare i tuoi messaggi
Non puoi cancellare i tuoi messaggi
Non puoi inviare allegati

Cerca per:
Vai a: